Dit huis op Funda: https://www.funda.nl/detail/koop/almelo/huis-de-fazant-97/43158627/

Omschrijving
Wat gaaf! Kom je snel kennis maken met jouw nieuwe huis?!
Jouw nieuwe woning staat in de Windmolenbroek, is vrij gelegen aan de achterzijde en heeft het winkelcentrum om de hoek!
Wat zeg je daarvan?
Dit zijn toch zo al redenen genoeg om maar eens uitgebreid kennis te maken met de binnenkant van dit toffe huis?!
Kijk bijvoorbeeld mee tijdens onze live-video! Met deze video die we live voor je streamen op Facebook kun je direct een eerste indruk krijgen van jouw nieuwe huis. Uiteraard hebben we deze video ook opgeslagen op deze site. Onder het kopje video op deze site kun je hem terug kijken zoveel als je wilt.
Zelf binnen kijken! Doen! Onze makelaars staan voor je klaar. Bel, mail of app voor jouw persoonlijke afspraak met ons.
Deze leuke woning is super rustig gelegen met veel voorzieningen in de directe omgeving zoals scholen, winkelcentrum en fiets- en wandelpaden naar het buitengebied van Almelo.
Wist je trouwens dat er 11 zonnepanelen aan de achterzijde liggen?
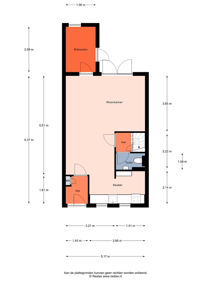
Indeling:
entree, hal, meterkast en toegang woonkamer en keuken. De moderne keuken is aan de voorzijde en heeft zicht op het pleintje aan de voorkant van de woning. De woonkamer is tuingericht, is afgewerkt met een plavuizen vloer en biedt via kunststof tuindeuren toegang tot de vrij gelegen tuin.
Aansluitend aan de woonkamer is de bijkeuken met ook toegang tot de tuin.
1e verdieping:
overloop, drie volwaardige slaapkamers en de badkamer met toilet, wastafel en douchehoek.
2e verdieping:
vaste trap, overloop/bergruimte en ruime vierde slaapkamer met groot dakraam
Wij zijn de makelaar van verkoper. Wij adviseren je om je eigen makelaar mee te nemen voor jouw belangenbehartiging bij de aankoop van je toekomstige woonhuis!
Download de uitgebreide brochure voor alle details en info via deze site, ook het meetrapport van jouw nieuwe huis stellen we je graag ter hand. Wist je trouwens dat er pas een overeenkomst is gesloten wanneer de afspraken schriftelijk zijn vastgelegd tussen koper en verkoper. In deze overeenkomst zal een waarborgsom of bankgarantie van 10% van de koopsom dienen te worden gesteld door de koper.
Onze uitingen zijn met de grootste zorg en zorgvuldigheid samengesteld. Het interne Kamphuis Makelaars kwaliteitskeurmerk is hierop van toepassing en sluit foutjes vrijwel uit. Maar.... eventuele onjuistheden geven geen rechten of anderszins aanspraken. Wij adviseren je dan ook alle informatie te controleren en zo nodig na te meten. Aan deze aanbieding of onze overige uitingen op Facebook, Instagram, Tik Tok of gelijkwaardig kunnen geen rechten worden ontleend.
Kenmerken
Overdracht
- Laatste vraagprijs
- € 289.000 kosten koper
- Vraagprijs per m²
- € 2.833
- Status
- Verkocht
Bouw
- Soort woonhuis
- Eengezinswoning, tussenwoning
- Soort bouw
- Bestaande bouw
- Bouwjaar
- 1983
- Soort dak
- Zadeldak bedekt met pannen
Oppervlakten en inhoud
- Gebruiksoppervlakten
- Wonen
- 102 m²
- Externe bergruimte
- 4 m²
- Perceel
- 146 m²
- Inhoud
- 356 m³
Indeling
- Aantal kamers
- 6 kamers (4 slaapkamers)
- Aantal badkamers
- 1 badkamer en 1 apart toilet
- Badkamervoorzieningen
- Douche, toilet, en wastafel
- Aantal woonlagen
- 2 woonlagen en een zolder
- Voorzieningen
- Buitenzonwering, glasvezelkabel, natuurlijke ventilatie, en zonnepanelen
Energie
- Energielabel
- B
- Isolatie
- Dakisolatie en dubbel glas
- Verwarming
- Cv-ketel
- Warm water
- Cv-ketel
- Cv-ketel
- Hr combi ( combiketel, lease)
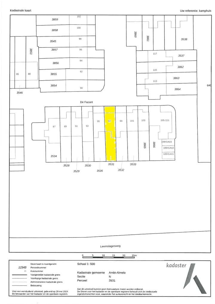
Kadastrale gegevens
- AMBT-ALMELO N 3531
- Kadastrale kaart
- Oppervlakte
- 146 m²
- Eigendomssituatie
- Volle eigendom
Buitenruimte
- Ligging
- Aan rustige weg en in woonwijk
- Tuin
- Achtertuin en voortuin
- Achtertuin
- 68 m² (13,50 meter diep en 5,00 meter breed)
- Ligging tuin
- Gelegen op het zuiden bereikbaar via achterom
Bergruimte
- Schuur/berging
- Vrijstaande houten berging
Parkeergelegenheid
- Soort parkeergelegenheid
- Openbaar parkeren
Foto's 33
© 2001-2025 funda
































