Dit huis op Funda: https://www.funda.nl/detail/koop/apeldoorn/huis-bosweg-13/43158692/

Omschrijving
BOSWEG 13 TE APELODORN
Op een schitterende locatie aan de westkant van Apeldoorn, is deze royale, zeer karaktervolle vrijstaande villa gelegen met een paviljoen, voldoende parkeergelegenheid op eigen terrein en een fraaie en bovenal zonnig gesitueerde tuin. De uitstekend onderhouden villa, beschikt als gemeentelijk monument over veel authentieke details.
Het paviljoen (49 m²) met schouw, lambrisering, toilet en zolder, is uitermate geschikt als gastenverblijf of kantoor aan huis, echter dient aan de binnenzijde wel te worden gemoderniseerd. Het geheel is gesitueerd op een prachtige perceel van 723 m² en heeft een woonoppervlakte van 213 m² exclusief het paviljoen!
Indeling
Begane grond: vestibule en hal met fraaie granieten vloer en toilet. Royale, sfeervolle woonkamer met een visgraat parketvloer, open haard en een serre met een mooie werkhoek en openslaande deuren naar de tuin. Aan de voorzijde van de woning bevindt zich nog een mooie werkkamer met schouw. De royale, luxe handgemaakte woonkeuken is voorzien van diverse inbouwapparatuur. Vanuit de keuken heeft men toegang tot de kelder en aparte kelderkast. De gehele begane grond is voorzien van stucwerk wandafwerking, schitterende stucwerk ornamentenplafonds en mooie glas in lood raampartijen.
1e Verdieping: via een fraaie bordestrap met schitterende glas in lood ramen bereikt u de ruime overloop met apart toilet. 3 Slaapkamers, waarvan de master bedroom is voorzien van een kleedruimte en openslaande deuren naar het balkon. Lichte badkamer voorzien van een ligbad, separate douche, bidet en 2 wastafels. Separaat een mooie royale wasruimte.
2e Verdieping: Ruime zolder met een zeer royale, fraai afgewerkte slaapkamer en veel bergruimte.
Door de prachtige karakteristieke bouwstijl, de fraaie ligging ten opzichte van het centrum, de bossen en de uitstekende staat van onderhoud is deze villa absoluut een bezichtiging waard!
Kenmerken
Overdracht
- Laatste vraagprijs
- € 1.295.000 kosten koper
- Vraagprijs per m²
- € 6.080
- Status
- Verkocht
Bouw
- Soort woonhuis
- Villa, vrijstaande woning
- Soort bouw
- Bestaande bouw
- Bouwjaar
- 1915
- Specifiek
- Monument
- Soort dak
- Samengesteld dak bedekt met pannen
Oppervlakten en inhoud
- Gebruiksoppervlakten
- Wonen
- 213 m²
- Overige inpandige ruimte
- 10 m²
- Gebouwgebonden buitenruimte
- 8 m²
- Externe bergruimte
- 49 m²
- Perceel
- 723 m²
- Inhoud
- 834 m³
Indeling
- Aantal kamers
- 6 kamers (4 slaapkamers)
- Aantal badkamers
- 1 badkamer en 2 aparte toiletten
- Badkamervoorzieningen
- Douche, dubbele wastafel, ligbad, en toilet
- Aantal woonlagen
- 2 woonlagen, een zolder, en een kelder
- Voorzieningen
- Rookkanaal en TV kabel
Energie
- Energielabel
- Isolatie
- Dakisolatie, HR-glas, muurisolatie en vloerisolatie
- Verwarming
- Cv-ketel en gedeeltelijke vloerverwarming
- Warm water
- Cv-ketel
- Cv-ketel
- Atag (gas gestookt combiketel uit 2014, eigendom)
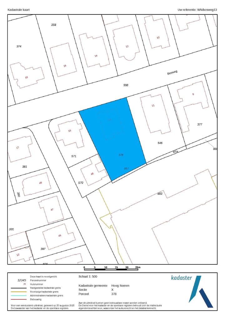
Kadastrale gegevens
- HOOG SOEREN X 378
- Kadastrale kaart
- Oppervlakte
- 704 m²
- Eigendomssituatie
- Volle eigendom
- HOOG SOEREN X 857
- Kadastrale kaart
- Oppervlakte
- 19 m²
- Eigendomssituatie
- Volle eigendom
Buitenruimte
- Ligging
- Aan rustige weg en in bosrijke omgeving
- Tuin
- Achtertuin, tuin rondom, voortuin en zijtuin
- Balkon/dakterras
- Balkon aanwezig
Bergruimte
- Schuur/berging
- Aangebouwde houten berging
Parkeergelegenheid
- Soort parkeergelegenheid
- Op eigen terrein
Foto's 65
© 2001-2026 funda
































































