Dit huis op Funda: https://www.funda.nl/detail/koop/arnemuiden/huis-kanaaldijk-1/43848734/

Kanaaldijk 14341 RD ArnemuidenBuitengebied
€ 795.000 k.k.
Omschrijving
Op prachtige locatie in het buitengebied gelegen sfeervolle woonboerderij op perceel van ruim 2.000 m2.
Gesitueerd dicht bij Middelburg, dicht bij het Veerse Meer en ook op korte afstand van de belangrijke uitvalswegen A58 en N57.
Deze woning beschikt o.a. over:
- een gelijkvloers woonprogramma
- landelijke ligging
- een woonoppervlak van circa 266 m2
- serre met uitzicht over landerijen
- energielabel D
- bergingen en een overdekte houtopslag
- 27 eigen zonnepanelen (265 Wp)
- diverse zonneterrassen
- vijver
- grote oprit voor meerdere auto's
De globale indeling als volgt:
Begane grond: Entree, hal, meterkast. Masterbedroom met grote vaste kast en toegang tot eigen badkamer (toilet, wastafel en douche). Aan de achterzijde gelegen woonkeuken met mooi uitzicht. De nette keuken is in lichte kleurstelling uitgevoerd en uitgerust met diverse inbouwapparatuur. Via gang is voormalige schuur te bereiken, die gerenoveerd is tot bijzonder fraaie woonruimte en waarbij het dak is geïsoleerd en vloerverwarming is aangelegd. De ruime eethoek aan de achterzijde loopt over in een zithoek aan de voorzijde met open haard. Richting de serre een fijne half afgesloten werkhoek. Serre van waaruit men een prachtig uitzicht heeft over de landerijen. Via een gang naar achteren is een bijkeuken met bergruimte en de c.v.-opstelling te bereiken, alsmede een praktische wasruimte. Tenslotte treft u nog 2 bergingen aan op de begane grond.
- Verdieping: Ruime leuke lichte vide met veel werk- of hobbyruimte. Twee slaapkamers. Badkamer met toilet, douche en wastafel.
Rondom de woning is een prachtige tuin aangelegd met verschillende terrassen en zitjes, vijver en een overkapping met houtopslag en plaats voor de zitmaaier.
Een unieke mogelijkheid om op heerlijke plek landelijk te wonen in een comfortabele woonboerderij!!
Bezichtigingen vinden op afspraak plaats.
De oplevering geschiedt in overleg.
Kenmerken
Overdracht
- Oorspronkelijke vraagprijs
- € 895.000 kosten koper
- Aangeboden sinds
- Aanvaarding
- In overleg
- Vraagprijs
- € 795.000 kosten koper
- Vraagprijs per m²
- € 2.989
- Status
- Beschikbaar
Bouw
- Soort woonhuis
- Woonboerderij, vrijstaande woning
- Soort bouw
- Bestaande bouw
- Bouwjaar
- 1931
- Toegankelijkheid
- Toegankelijk voor mensen met een beperking en toegankelijk voor ouderen
Oppervlakten en inhoud
- Gebruiksoppervlakten
- Wonen
- 266 m²
- Overige inpandige ruimte
- 19 m²
- Gebouwgebonden buitenruimte
- 42 m²
- Perceel
- 2.159 m²
- Inhoud
- 1.056 m³
Indeling
- Aantal kamers
- 5 kamers (3 slaapkamers)
- Aantal badkamers
- 2 badkamers en 1 apart toilet
- Badkamervoorzieningen
- 2 douches, 2 toiletten, en 2 wastafels
- Aantal woonlagen
- 2 woonlagen
- Voorzieningen
- Mechanische ventilatie en zonnepanelen
Energie
- Energielabel
- D
- Isolatie
- Dakisolatie, grotendeels dubbelglas, muurisolatie en vloerisolatie
- Verwarming
- Cv-ketel, open haard en gedeeltelijke vloerverwarming
- Warm water
- Elektrische boiler (huur)
- Cv-ketel
- Atag Q51S (gas gestookt combiketel uit 2008, eigendom)
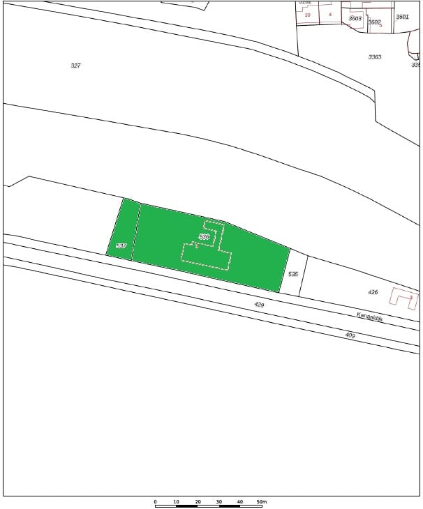
Kadastrale gegevens
- ARNEMUIDEN H 536
- Kadastrale kaart
- Oppervlakte
- 1.870 m²
- Eigendomssituatie
- Volle eigendom
- ARNEMUIDEN H 537
- Kadastrale kaart
- Oppervlakte
- 289 m²
- Eigendomssituatie
- Volle eigendom
Buitenruimte
- Ligging
- Buiten bebouwde kom en landelijk gelegen
- Tuin
- Tuin rondom
Bergruimte
- Schuur/berging
- Aangebouwde stenen berging
- Voorzieningen
- Elektra
Parkeergelegenheid
- Soort parkeergelegenheid
- Op eigen terrein
Foto's 76
Plattegronden 2
© 2001-2026 funda













































































