Dit huis op Funda: https://www.funda.nl/detail/koop/assen/huis-vredeveldseweg-8/43945349/

Omschrijving
Waar vindt je dit nog? Een unieke kans!
Deze heerlijke vrijstaande woning met garage ligt op steenworp afstand van het centraal station en van de bruisende binnenstad van Assen. Rustig wonen, dichtbij alle voorzieningen.
De woning en tuin kunt u geheel naar eigen wens aanpassen. Ze bieden vele mogelijkheden. De royale tuin biedt ruimte voor een moestuin, speeltuin of misschien zelfs een zwembad?
In de wijk Assen-Oost is het heel plezierig wonen. Daarnaast ligt winkelcentrum Vredeveld aan dezelfde straat, met bijna alles voor uw dagelijkse benodigdheden. Binnen enkele minuten fietst of loopt u naar het centrum van Assen, en ook het prachtige Nationaal Park Drentsche Aa ligt op slechts 10 minuten fietsen. Dankzij de gunstige ligging ten opzichte van het station reist u in ongeveer 20 minuten met de trein naar Groningen of in zo’n 45 minuten naar Zwolle. Parkeren kan op eigen terrein.
De woning is degelijk gebouwd, goed onderhouden en voorzien van een praktisch woonoppervlak. Allemaal eigenschappen die perfect passen bij wat misschien wel uw nieuwe thuis wordt. We laten het u graag zien tijdens een uitgebreide bezichtiging!
Indeling
Begane grond:
Hal/entree, meterkast, bergkasten en trapopgang.
Een straatgerichte, ruime en lichte woon- en eetkamer en een separate keuken. Aansluitend aan de keuken bevindt zich aan de achterzijde van de woning een bijkeuken, doucheruimte en een afzonderlijk toilet.
Eerste verdieping:
Overloop met toegang tot vier slaapkamers. Van deze slaapkamers zijn er twee heerlijk groot.
Tweede verdieping:
Een grote vliering op stahoogte, gelegen over de gehele woning.
De vrijstaande garage beschikt over een eigen oprit en is tevens vanuit de tuin bereikbaar. Achter in de tuin staat een grote gemetselde berging.
De woning is in de loop der jaren meerdere malen verbouwd en onder meer voorzien van een geïsoleerde betonvloer, grotendeels dubbele beglazing en gasgestookte HR-combiketel. Op het dak liggen 8 zonnepanelen.
De woning is keurig onderhouden en biedt volop mogelijkheden om er een moderne en eigentijdse woning van te maken.
Kenmerken:
- Vrijstaand wonen met volop privacy
- Garage met eigen oprit
- Voorzien van 8 zonnepanelen
- Grotendeels dubbele beglazing
- Geïsoleerde betonnen vloer op de begane grond
Laat u overtuigen door de prachtige locatie en de vele mogelijkheden!
Kenmerken
Overdracht
- Laatste vraagprijs
- € 485.000 kosten koper
- Vraagprijs per m²
- € 3.674
- Status
- Verkocht
Bouw
- Soort woonhuis
- Eengezinswoning, vrijstaande woning
- Soort bouw
- Bestaande bouw
- Bouwjaar
- 1935
- Specifiek
- Gedeeltelijk gestoffeerd
- Soort dak
- Zadeldak bedekt met pannen
Oppervlakten en inhoud
- Gebruiksoppervlakten
- Wonen
- 132 m²
- Overige inpandige ruimte
- 55 m²
- Externe bergruimte
- 21 m²
- Perceel
- 855 m²
- Inhoud
- 632 m³
Indeling
- Aantal kamers
- 5 kamers (4 slaapkamers)
- Aantal badkamers
- 1 badkamer en 1 apart toilet
- Badkamervoorzieningen
- Douche en wastafel
- Aantal woonlagen
- 2 woonlagen, een vliering, en een kelder
- Voorzieningen
- Zonnepanelen
Energie
- Energielabel
- Isolatie
- Dakisolatie, dubbel glas en vloerisolatie
- Verwarming
- Cv-ketel
- Warm water
- Cv-ketel
- Cv-ketel
- Intergas Kombi Kompact HRE 36/30 A (gas gestookt combiketel uit 2015, eigendom)
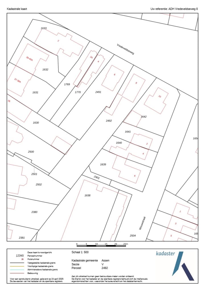
Kadastrale gegevens
- ASSEN V 2492
- Kadastrale kaart
- Oppervlakte
- 855 m²
- Eigendomssituatie
- Volle eigendom
Buitenruimte
- Ligging
- Aan rustige weg, beschutte ligging, in centrum en in woonwijk
- Tuin
- Achtertuin, voortuin en zijtuin
- Achtertuin
- 600 m² (55,00 meter diep en 13,40 meter breed)
- Ligging tuin
- Gelegen op het zuiden bereikbaar via achterom
Bergruimte
- Schuur/berging
- Vrijstaande stenen berging
- Voorzieningen
- Elektra
Garage
- Soort garage
- Aangebouwde stenen garage
- Capaciteit
- 1 auto
- Voorzieningen
- Elektra
Parkeergelegenheid
- Soort parkeergelegenheid
- Op eigen terrein
Foto's 61
© 2001-2026 funda




























































