Dit huis op Funda: https://www.funda.nl/detail/koop/borculo/huis-lijsterbesstraat-51/43262115/

Omschrijving
HEERLIJK WONEN MET JE GEZIN IN HET GELIEFDE HAMBROEK!
Stap binnen in deze uitstekend onderhouden hoekwoning en ervaar direct het gevoel van ruimte, comfort en privacy. Met maar liefst 5 slaapkamers is dit de perfecte gezinswoning waar iedereen zijn eigen plekje vindt.
De woning is voorzien van grotendeels kunststof kozijnen, wat zorgt voor een strakke uitstraling en weinig onderhoud. Achter het huis vind je een heerlijk beschutte tuin waar je in alle privacy kunt relaxen en spelen.
Een groot pluspunt is de bijgebouwde stenen garage – ideaal voor hobby’s, extra opslag of het parkeren van je auto.
De ligging is net zo aantrekkelijk: in de rustige en kindvriendelijke wijk Het Hambroek, met het centrum, winkels, scholen en diverse voorzieningen op loop- en fietsafstand.
Kortom: een verrassend ruime, verzorgde en heerlijk lichte woning. Dé ideale plek voor gezinnen die op zoek zijn naar ruimte, comfort en een toplocatie!
PERCEEL
Het perceel biedt eveneens volop voordelen. Via de gedeelde oprit bereik je de vrijstaande stenen garage, ideaal voor het stallen van voertuigen, fietsen of het inrichten van een hobbyruimte.
De onderhoudsvriendelijke en verzorgde voortuin geeft de woning een nette, uitnodigende uitstraling en vraagt weinig onderhoud.
Achter het huis vind je een fijne, besloten tuin waar je heerlijk kunt genieten van rust en privacy. Dankzij de ligging en het ontbreken van directe inkijk kun je hier onbezorgd buiten zitten, spelen of ontspannen – een echte verlenging van je wooncomfort.
INDELING
Begane grond: Bij binnenkomst word je verwelkomd via een overdekte entree in de hal, voorzien van de meterkast. Vanuit de hal kom je in de lichte woon- en eetkamer met een fraaie laminaatvloer, die naadloos overloopt in de open keuken. Deze keuken is uitgerust met moderne inbouwapparatuur, waaronder een inductiekookplaat met afzuigkap, magnetron en koelkast.
Een open opgaande trap leidt naar de eerste verdieping. Daarnaast biedt de trapkast praktische bergruimte.
Via een tussengang bereik je de toiletruimte met fontein en de bijkeuken, waar de wasmachine netjes is geplaatst. Vanuit de bijkeuken is er een deur naar de achtertuin/het terras, waardoor binnen en buiten op een prettige manier met elkaar verbonden zijn.
1e Verdieping: Op de eerste verdieping kom je op de overloop met vaste kast en die toegang biedt tot drie slaapkamers, waarvan één slaapkamer beschikt over een prettig balkon. Alle kamers beschikken over rolluiken.
De badkamer is modern ingericht en voorzien van een inloopdouche, wastafelmeubel en zwevend toilet.
Een opgaande trap leidt naar de tweede verdieping.
2e Verdieping: Op de tweede verdieping vind je een overloop met twee slaapkamers, beide voorzien van grote dakramen en rolluiken, waardoor de kamers licht, ruimtelijk en comfortabel zijn.
Daarnaast is hier de cv-opstelling netjes geplaatst, waardoor technische voorzieningen goed toegankelijk zijn.
KENMERKEN
Bouwjaar: 1979. Perceel: 251 m². Inhoud: ca. 412 m³. Woonoppervlakte: ca. 115 m². Gebouwgeb. buitenruimte: ca. 2 m². Externe bergruimte: ca. 22 m². Nefit HR-107 (2025). grotendeels HR++ glas, muur- en dakisolatie, nageïsoleerd. Energielabel: C. Bijzonderheden: Garage bijgebouwd, kunststofkozijnen, rolluiken (2024)
Kenmerken
Overdracht
- Laatste vraagprijs
- € 325.000 kosten koper
- Vraagprijs per m²
- € 2.826
- Status
- Verkocht
Bouw
- Soort woonhuis
- Eengezinswoning, hoekwoning
- Soort bouw
- Bestaande bouw
- Bouwjaar
- 1979
- Specifiek
- Gestoffeerd
- Soort dak
- Samengesteld dak bedekt met bitumineuze dakbedekking en pannen
Oppervlakten en inhoud
- Gebruiksoppervlakten
- Wonen
- 115 m²
- Gebouwgebonden buitenruimte
- 2 m²
- Externe bergruimte
- 22 m²
- Perceel
- 251 m²
- Inhoud
- 412 m³
Indeling
- Aantal kamers
- 6 kamers (5 slaapkamers)
- Aantal badkamers
- 1 badkamer en 1 apart toilet
- Badkamervoorzieningen
- Inloopdouche, toilet, en wastafelmeubel
- Aantal woonlagen
- 3 woonlagen
- Voorzieningen
- Dakraam, glasvezelkabel, mechanische ventilatie, natuurlijke ventilatie, en rolluiken
Energie
- Energielabel
- Isolatie
- Dakisolatie en muurisolatie
- Verwarming
- Cv-ketel
- Warm water
- Cv-ketel
- Cv-ketel
- Nefit HR (gas gestookt combiketel uit 2025, eigendom)
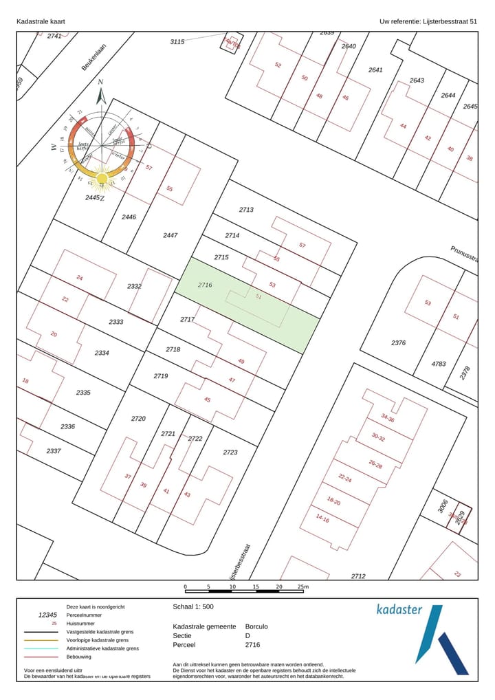
Kadastrale gegevens
- BORCULO D 2716
- Kadastrale kaart
- Oppervlakte
- 251 m²
- Eigendomssituatie
- Volle eigendom
Buitenruimte
- Ligging
- Aan rustige weg, in woonwijk en open ligging
- Tuin
- Achtertuin, voortuin en zijtuin
- Achtertuin
- 70 m² (13,91 meter diep en 5,00 meter breed)
- Ligging tuin
- Gelegen op het zuidoosten
- Balkon/dakterras
- Balkon aanwezig
Garage
- Soort garage
- Vrijstaande stenen garage
- Capaciteit
- 1 auto
- Voorzieningen
- Elektra
Parkeergelegenheid
- Soort parkeergelegenheid
- Op eigen terrein
Foto's 41
© 2001-2026 funda








































