Dit huis op Funda: https://www.funda.nl/detail/koop/borne/huis-blauwgras-74/43847457/

Omschrijving
Wonen aan de rand van Borne met aan de achterzijde vrij uitzicht over het prachtige Twentse landschap!
Bent u op zoek naar vrijheid en wonen in het groen? Dan is deze woning misschien iets voor u. Op een prachtige locatie aan de rand van de woonwijk 'Stroom-Esch, staat deze vrijstaande woning die wacht op een nieuwe eigenaar met een frisse blik. Bij binnenkomst op de begane grond vind je een ruime woonkamer met veel natuurlijk lichtinval, een woonkeuken en een extra kamer die ideaal is als werk- of slaapkamer. De bovenverdieping beschikt over maar liefst drie slaapkamers, perfect voor een gezin of om gasten te ontvangen. De achterzijde van het huis biedt een uniek weids landelijk uitzicht, waar je kunt genieten van rust en privacy. Ook aan praktische zaken is gedacht: de woning heeft een garage met kap en een royale oprit die ruimte biedt voor meerdere auto's. Deze woning is perfect voor kopers die op zoek zijn naar een huis met potentie, een prachtige ligging en mogelijkheden om hun eigen stijl toe te voegen.
Bouwjaar 1986, inhoud ca. 364 m³, woonoppervlak ca. 95 m², perceeloppervlakte 447 m².
Indeling:
Begane grond: entree, hal, meterkast, toilet met fontein, trapopgang, straatgerichte woonkamer met provisieruimte, woonkeuken met toegang tot de achtertuin, werk-/slaapkamer.
1e verdieping: overloop, 3 slaapkamers, badkamer met dakraam, aansluitingen voor de wasapparatuur, toilet, wastafelmeubel en douche.
2e verdieping: middels vlizotrap bereikbare bergzolder.
Bijzonderheden:
- Centraal gelegen nabij het centrum van Borne, scholen, uitvalswegen en het prachtige buitengebied;
- Verwarming en warm water middels CV, 2018;
- De tekeningen, maten, oppervlakte en inhoud zijn indicatief, hieraan kunnen geen rechten worden ontleend;
- In de koopovereenkomst worden clausules opgenomen in het kader van ouderdom;
- In de koopakte wordt een 10% waarborgsom of bankgarantie opgenomen;
- Woning wordt aangeboden met een bouwkundige keuring.
Kenmerken
Overdracht
- Laatste vraagprijs
- € 445.000 kosten koper
- Vraagprijs per m²
- € 4.684
- Status
- Verkocht
Bouw
- Soort woonhuis
- Eengezinswoning, vrijstaande woning
- Soort bouw
- Bestaande bouw
- Bouwjaar
- 1986
- Soort dak
- Zadeldak bedekt met pannen
Oppervlakten en inhoud
- Gebruiksoppervlakten
- Wonen
- 95 m²
- Overige inpandige ruimte
- 4 m²
- Gebouwgebonden buitenruimte
- 22 m²
- Externe bergruimte
- 28 m²
- Perceel
- 447 m²
- Inhoud
- 364 m³
Indeling
- Aantal kamers
- 5 kamers (4 slaapkamers)
- Aantal badkamers
- 1 badkamer en 1 apart toilet
- Badkamervoorzieningen
- Douche, toilet, en wastafelmeubel
- Aantal woonlagen
- 2 woonlagen en een zolder
- Voorzieningen
- Dakraam, natuurlijke ventilatie, en rolluiken
Energie
- Energielabel
- Isolatie
- Dakisolatie, gedeeltelijk dubbel glas en muurisolatie
- Verwarming
- Cv-ketel
- Warm water
- Cv-ketel
- Cv-ketel
- Intergas (gas gestookt combiketel uit 2018)
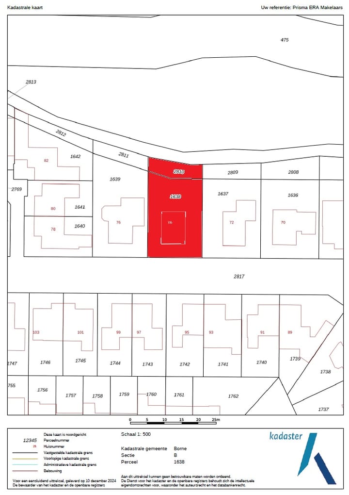
Kadastrale gegevens
- BORNE B 1638
- Kadastrale kaart
- Oppervlakte
- 375 m²
- Eigendomssituatie
- Volle eigendom
- BORNE B 2810
- Kadastrale kaart
- Oppervlakte
- 72 m²
- Eigendomssituatie
- Volle eigendom
Buitenruimte
- Ligging
- In woonwijk
- Tuin
- Achtertuin, voortuin en zijtuin
- Achtertuin
- 145 m² (14,50 meter diep en 10,00 meter breed)
- Ligging tuin
- Gelegen op het noorden bereikbaar via achterom
Bergruimte
- Schuur/berging
- Vrijstaande houten berging
Garage
- Soort garage
- Vrijstaande stenen garage
- Capaciteit
- 1 auto
- Voorzieningen
- Vliering en elektra
Parkeergelegenheid
- Soort parkeergelegenheid
- Op eigen terrein
Foto's 34
© 2001-2026 funda

































