Dit huis op Funda: https://www.funda.nl/detail/koop/breda/huis-bavelselaan-26/43707200/

Omschrijving
Wonen op loopafstand van het Ginnekenmarktje en zoek je 100% instapklaar?! Dit is je kans!
In hartje Ginneken gelegen zeer sfeervolle en comfortabele eindwoning met uitbouw, zonnepanelen én een zonnige tuin op het zuiden! Deze verrassend instapklare woning is in 2022 compleet gemoderniseerd en verkeert in een perfecte onderhoudsstaat. Enkele kenmerken: geïsoleerde betonvloer met vloerverwarming, hoge plafonds, strakke afwerking, royale benedenverdieping met visgraatvloer, moderne aluminium schuifpui, paneeldeuren, open luxe keuken met kookeiland, moderne badkamer, twee slaapkamers en ruime bergzolder.
Als je vanuit deze karakteristieke, stijlvolle woning naar buiten kijkt, dan snap je waarom het bruisende Ginneken één van de meest geliefde wijken van Breda is. En met dit sfeervolle huis woon je er midden in. Het Markdal ligt in je achtertuin en je rolt zo naar het gezellige Ginnekenmarktje. Sfeer, veel leefruimte op de begane grond én op een heerlijke locatie, meer kun je je niet (woon)wensen!
Bouwjaar: ca. 1909. Perceelsoppervlakte: 83m². Inhoud: ca. 321m³. Woonoppervlakte: ca. 82m².
Het Ginneken is vooral in trek bij jonge gezinnen en gelegen op een zeer gewilde woonlocatie in Breda Zuid met voornamelijk karakteristieke jaren 20-30 woningen. De winkels van het Valkeniersplein en de Ginnekenweg zijn op steenworp afstand gelegen. In de onmiddellijke nabijheid bevinden zich verder onder meer kinderdagverblijven, (basis)scholen, sportvoorzieningen, het gezellige Ginnekenmarktje, het Markdal, het Mastbos en het Ulvenhoutse bos. Het bruisende centrum van Breda en het CS Breda zijn op fietsafstand gelegen. De verbinding ten opzichte van de diverse uitvalswegen is uitstekend. Binnen een paar minuten bent u op de zuidelijke rondweg richting de A16, A27 en A58.
Deze unieke karakteristieke woning is gebouwd in 1909 maar in 2015 en 2022 op luxe wijze gemoderniseerd en voorzien van o.a.:
- Nieuw schilderwerk (voorzijde 2022, achterzijde 2024);
- 6 zonnepanelen (2023);
- Een uitgebouwde woonkamer voorzien van geïsoleerde beton vloer met vloerverwarming én gashaard (2022);
- Een luxe open keuken met kookeiland (2022);
- Moderne zwarte aluminium schuifpui en visgraat PVC vloer op de begane grond (2022);
- Glad stucwerk door de gehele woning (2015 boven, 2022 beneden);
- Voorgevel is voorzien van nieuw voegwerk (knipvoeg) en natuurstenen dorpel (2022);
- Moderne badkamer (2022);
- Airconditioning in de slaapkamer aan de voorzijde (2022);
- Voorzien van nieuwe riolering (2022);
- Voorzien van een compleet nieuwe elektrische installatie en stopcontacten door de gehele woning (2022);
- Nieuwe daken (Hoofddak 2015, platte dak uitbouw 2022);
- Mooie eiken houten vloeren op de eerste verdieping (2015);
- Dakkapel aan de achterzijde (2015);
- Geïsoleerde tussenvloeren (2015);
De verwarming en de warmwatervoorziening is geregeld middels een gasgestookte c.v. combiketel (Remeha Calenta, 2010). De woning is (m.u.v. de nieuwe aluminium achterpui op de begane grond) voorzien van houten kozijnen, dubbele HR(++)beglazing en dakisolatie.
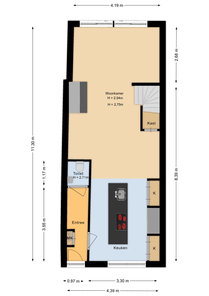
Indeling
Begane grond:
Hal voorzien van visgraat PVC vloer met toegang tot de living en de toiletruimte. In de hal bevindt zich de meterkast welke in 2022 vernieuwd is en voorzien is van 14 groepen en 3 aardlekschakelaars.
Deels betegelde toiletruimte voorzien van fonteintje en wandcloset.
Middels een stalen deur is er toegang tot de living. De uitgebouwde living is voorzien van een moderne aluminimum schuifpui over de hele breedte, glad stucwerk, een op maat gemaakt tv meubel (2022, blijft achter), wandverlichting, een gashaard en een visgraat PVC vloer op een geïsoleerde beton vloer. Tevens bevindt zich hier de trapopgang naar de eerste verdieping. De trapopgang is dicht gemaakt en voorzien van een op maat gemaakte trapkast (2022). De keuken staat in open verbinding met de living.
De luxe keuken is opgesteld aan de voorzijde van de woning in een rechte kastenwand welke is ingebouwd en een kook-/spoeleiland met barelement. De keuken is voorzien van een wijnkoelkast (Liebherr), een vaatwasmachine, een inductiekookplaat met afzuigsysteem (Bora), een Quooker, een koel-vriescombinatie, een grote oven met magnetronfunctie, een ingebouwd koffiezetapparaat en een warmhoudlade. Alle apparatuur is voor de rest van Siemens. Het blad is uitgevoerd in Dekton.
Middels een schuifpui is er vanuit de living toegang tot de achtertuin.
De achtertuin is gelegen op het zonnige zuidwesten en is voorzien van bestrating, glad stucwerk met ingebouwde wandverlichting, een houten berging en borders met vaste beplanting.
Eerste verdieping:
Overloop voorzien van eiken houten vloer met toegang tot de slaapkamers, de badkamer en de vlizo trap naar de bergzolder.
De ruime badkamer is voorzien van douche, op maat gemaakt wastafelmeubel, designradiator, 2e wandcloset en de aansluitingen voor de wasmachine (weggewerkt in het wastafelmeubel).
Slaapkamer I is gelegen aan de achterzijde en voorzien van dakkapel en eiken houten vloer.
Slaapkamer II is gelegen aan de voorzijde en voorzien van dakkapel, airconditioning en eiken houten vloer. Vanuit deze kamer is de walk-in-closet te bereiken.
Bergzolder:
Middels vlizo trap te bereiken ruime bergzolder. De bergzolder is voorzien van glad stucwerk, een dakraam, een fraaie laminaatvloer en knieschotten. Tevens bevindt zich hier de opstelplaats van de mechanische ventilatie unit en de C.V.-ketel.
Bijzonderheden:
- Unieke plek in Hartje Ginneken;
- Hoge plafonds;
- Verrassend ruime begane grond door de uitbouw;
- 100% instapklaar;
- Zonnige tuin gelegen op het zuidwesten;
- Energielabel D;
- Aangezien de woning ouder is dan 115 jaar zal in de NVM koopakte de Algemene Ouderdomsclausule worden opgenomen.
Met hoeveel zorg ook samengesteld er kunnen onvolledigheden voorkomen in de informatie en de afbeeldingen en het kan derhalve niet als een aanbod worden gezien. Er kunnen geen rechten aan worden ontleend en de opgegeven afmetingen, oppervlakte- en inhoudsmaten zijn dan ook indicatief.
Wij maken gebruik van een NVM model koopovereenkomst. In het kader van zekerheidstelling wordt er standaard een bankgarantie/waarborgsom van 10% opgenomen in de koopovereenkomst.
Kenmerken
Overdracht
- Laatste vraagprijs
- € 525.000 kosten koper
- Vraagprijs per m²
- € 6.402
- Status
- Verkocht
Bouw
- Soort woonhuis
- Eengezinswoning, eindwoning
- Soort bouw
- Bestaande bouw
- Bouwjaar
- 1909
- Soort dak
- Zadeldak bedekt met pannen
Oppervlakten en inhoud
- Gebruiksoppervlakten
- Wonen
- 82 m²
- Overige inpandige ruimte
- 3 m²
- Perceel
- 83 m²
- Inhoud
- 321 m³
Indeling
- Aantal kamers
- 3 kamers (2 slaapkamers)
- Aantal badkamers
- 1 badkamer en 1 apart toilet
- Badkamervoorzieningen
- Douche, toilet, en wastafelmeubel
- Aantal woonlagen
- 3 woonlagen
- Voorzieningen
- Airconditioning, dakraam, glasvezelkabel, rookkanaal, schuifpui, en zonnepanelen
Energie
- Energielabel
- D
- Isolatie
- Dakisolatie, HR-glas en vloerisolatie
- Verwarming
- Cv-ketel
- Warm water
- Cv-ketel
- Cv-ketel
- Remeha (gas gestookt combiketel uit 2010, eigendom)
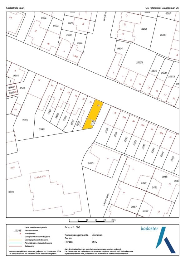
Kadastrale gegevens
- GINNEKEN I 7672
- Kadastrale kaart
- Oppervlakte
- 83 m²
- Eigendomssituatie
- Volle eigendom
Buitenruimte
- Ligging
- In woonwijk
- Tuin
- Achtertuin
- Achtertuin
- 24 m² (4,81 meter diep en 4,98 meter breed)
- Ligging tuin
- Gelegen op het zuidwesten
Bergruimte
- Schuur/berging
- Vrijstaande houten berging
Parkeergelegenheid
- Soort parkeergelegenheid
- Openbaar parkeren
Foto's 56
© 2001-2025 funda























































