Dit huis op Funda: https://www.funda.nl/detail/koop/duiven/huis-van-goyenstraat-66/43928311/

Omschrijving
Zoekt u een nette, goed onderhouden, centraal gelegen woning met een groen energielabel? Dan is dit de woning voor u!
Keurige en onderhoudsvriendelijke ééngezinswoning met aangebouwde berging/bijkeuken, overkapping EN een zonnige achtertuin met achterom en vrij uitzicht op gemeenteplantsoen. Deze energiezuinige (label A) woning is volledig geïsoleerd, maar heeft ook 11 zonnepanelen en een airco installatie. Gelegen in een fijne, kindvriendelijke buurt op loopafstand van diverse voorzieningen zoals scholen (zowel peuter-, basisonderwijs), supermarkt, snackbar, parkje en verschillende speeltuinen.
De woning ligt in een mooie natuurlijke omgeving. 't Horsterpark, de uiterwaarden en de Posbank bevinden zich in de nabije omgeving en ook is het gezellige dorpscentrum op loopafstand. Voorgezet onderwijs, sportcentra en uitvalswegen (A12/A18) bevinden zich in de directe omgeving. Daarnaast is er voldoende parkeerruimte bij de woning.
INDELING
BEGANE GROND:
De entree/hal is voorzien van een luxe wandcloset met fontein en meterkast. De tuingerichte living is met een fraaie PVC vloer afgewerkt en voorzien van een trapkast en doorgang naar de berging annex bijkeuken. Aan de voorzijde bevindt zich de open, L-vormige (inbouw)keuken ingericht met een inductiekookplaat, afzuiger, koelkast, vaatwasser en plintverwarming.
ACHTERTUIN:
De achtertuin is netjes bestraat en heeft een eigen achterom. De tuin grenst aan een kindvriendelijk gemeenteplantsoen, het is hier echt heerlijk vertoeven!
1e VERDIEPING
Overloop, 3 mooie slaapkamers, waarvan 1 met rolluik. De gehele 1e verdieping is voorzien van kunststofkozijnen. De badkamer is voorzien van een douchecabine, 2e toilet (zwevend), dubbele vaste wastafelmeubel, wasmachineaansluiting en designradiator. Via een vaste trap te bereiken…
2e VERDIEPING
Ruime zolderverdieping met vliering en groot Velux dakraam.
Bijzonderheden:
Definitief energielabel A.
Dak-, muur- en vloerisolatie aanwezig.
Warm water en verwarming middels stadsverwarming.
De woning is in 2019 voorzien van 11 zonnepanelen.
Traprenovatie met ledverlichting 2016.
Kunststofkozijnen 2009 en Keralith gevelbekleding 2017.
Diverse nieuwe binnendeuren 2019.
Alle voorzieningen op korte afstand, zeer centrale ligging.
Keuken in april 2023 opnieuw gespoten.
Kenmerken
Overdracht
- Laatste vraagprijs
- € 359.500 kosten koper
- Vraagprijs per m²
- € 3.329
- Status
- Verkocht
Bouw
- Soort woonhuis
- Eengezinswoning, tussenwoning
- Soort bouw
- Bestaande bouw
- Bouwjaar
- 1986
- Soort dak
- Zadeldak bedekt met pannen
Oppervlakten en inhoud
- Gebruiksoppervlakten
- Wonen
- 108 m²
- Gebouwgebonden buitenruimte
- 13 m²
- Perceel
- 161 m²
- Inhoud
- 376 m³
Indeling
- Aantal kamers
- 4 kamers (3 slaapkamers)
- Aantal badkamers
- 1 badkamer
- Badkamervoorzieningen
- Douche en toilet
- Aantal woonlagen
- 2 woonlagen en een zolder
- Voorzieningen
- Airconditioning, buitenzonwering, mechanische ventilatie, rolluiken, en zonnepanelen
Energie
- Energielabel
- Isolatie
- Dakisolatie, dubbel glas, muurisolatie en vloerisolatie
- Verwarming
- Stadsverwarming
- Warm water
- Centrale voorziening
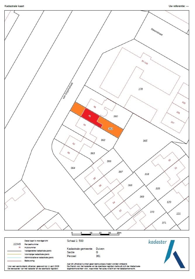
Kadastrale gegevens
- DUIVEN G 361
- Kadastrale kaart
- Oppervlakte
- 161 m²
- Eigendomssituatie
- Volle eigendom
Buitenruimte
- Ligging
- In woonwijk en vrij uitzicht
- Tuin
- Achtertuin en voortuin
- Achtertuin
- 63 m² (12,50 meter diep en 5,00 meter breed)
- Ligging tuin
- Gelegen op het zuidoosten bereikbaar via achterom
Bergruimte
- Schuur/berging
- Aangebouwde stenen berging
- Voorzieningen
- Elektra en verwarming
Parkeergelegenheid
- Soort parkeergelegenheid
- Openbaar parkeren
Foto's 61
© 2001-2026 funda




























































