Dit huis op Funda: https://www.funda.nl/detail/koop/duiven/huis-zadelmakerstraat-71/43205803/

Zadelmakerstraat 716921 JB DuivenDe Vergert
€ 519.000 k.k.
BlikvangerRoyaal uitgebouwde 2/1-kapwoning met vrij uitzicht en unieke ligging!
Omschrijving
Royaal uitgebouwde twee-onder-één-kapwoning met vrij uitzicht en unieke waterligging
Aan een autoluwe straat gelegen, verrassend ruime en uitgebouwde helft van een dubbel woonhuis. Deze woning biedt u niet alleen een eigen oprit en berging, maar is door de bijkeuken met inloopdouche op de begane grond erg praktisch. Met drie slaapkamers op de eerste verdieping en een royale zolderverdieping met dakkapel is er aan ruimte geen gebrek. Wat deze woning écht uniek maakt, is de diepe, zonnige achtertuin op het zuidwesten. Hier geniet u elk seizoen van een vrij en fraai uitzicht over een waterpartij en het aangrenzende park “De Nieuweling”.
De woning beschikt over een riant woonoppervlak van 156 m² op een perceel van 285 m². De ligging is ideaal: op korte afstand van het centrum van Duiven met al haar winkels en horeca, scholen en sportfaciliteiten. Ook de uitvalswegen richting Arnhem, Doetinchem en Duitsland (A12/A18) en het populaire bedrijventerrein (Ikea, Intratuin, Hornbach) zijn snel bereikbaar.
Indeling:
Begane grond:
Entree/hal met praktische bergkast, meterkast en een modern toilet (hangcloset met fontein).
De sfeervolle woonkamer is voorzien van een keurige parketvloer, strakke wanden en een gezellige houtkachel. Dankzij de grote raampartijen aan de voor- en zijkant valt er veel natuurlijk licht naar binnen.
In 1983 is de woning aan de achterzijde uitgebouwd. Deze lichte ruimte biedt plaats voor een grote eettafel en is voorzien van kamerhoge ramen met een aluminium schuifpui, waardoor het unieke uitzicht op de tuin en het park optimaal tot zijn recht komt.
De open keuken (Siematic, 2009) is voorzien van een plavuizenvloer en een verlaagd plafond met inbouwspots. De keuken beschikt over hoogwaardige diepe lades en veel werkruimte op het natuurstenen aanrechtblad. Qua apparatuur is de keuken compleet met een inductiekookplaat, afzuigkap, oven, vaatwasser, koelkast en een close-in boiler voor direct warm water.
Berging, bijkeuken en oprit: Vanuit de woonkamer is er een binnendoor naar de bijkeuken/doucheruimte. Deze multifunctionele ruimte is uitgerust met een extra keukenblok en een inloopdouche; ideaal voor wie gelijkvloers wil wonen of voor kinderen die na het sporten direct willen douchen. Een 80-liter boiler zorgt hier voor direct warm water. Via de bijkeuken heeft u ook toegang tot de tuin.
In de berging (ca. 15 m²) bevinden zich de aansluitingen voor de wasmachine en droger, met daarnaast volop ruimte voor extra opslag of een extra koelkast.
Op de eigen oprit is ruimte voor meerdere voertuigen, waardoor parkeren op eigen terrein altijd gegarandeerd is.
Tuin: De achtertuin op het zuidwesten is een oase van rust. Dankzij het ontbreken van een harde erfafscheiding aan de achterzijde loopt de tuin optisch over in de gemeentelijke groenstrook en het water. De tuin is ingericht met een groot zonneterras over de gehele breedte van de woning, diverse looppaden en rijke beplanting. In het achterste gedeelte van de tuin bevindt zich een houten tuinhuis (5.8 m²) voor uw gereedschap en een tweede terras waar u ook optimaal kunt genieten.
1e Verdieping: Overloop met toegang tot drie slaapkamers. Slaapkamer 1 (9,4 m²) en slaapkamer 2 (8,5 m²) bieden
een prachtig uitzicht over het park. De ouderslaapkamer is zeer ruim (14,5 m²) en beschikt over vaste kasten en een eigen wastafel.
De badkamer is uitgerust met een ligbad, een aparte douche, een hangcloset, wastafelmeubel met spiegelkast, designradiator en comfortabele vloerverwarming.
2e Verdieping: De zolderverdieping is dankzij de dakkapel over de volle breedte licht en ruim. Hier bevindt zich een kamer die ideaal is als werk- of hobbyruimte (4,8 m²). Daarnaast vindt u op deze verdieping de ruimte van de HR-combiketel en een zeer royale vierde slaapkamer (18,5 m²), compleet met zijraam, wastafel en volop bergruimte achter de knieschotten.
Algemene gegevens:
Bouwjaar: 1976.
Woonoppervlakte: 156 m2.
Indicatie inhoud: 587 m3.
Overige inpandige ruimte: 14.9 m2.
Externe bergruimte (tuinberging): 5.8 m2.
Perceeloppervlakte: 285 m²
Aanvullende gegevens:
Energielabel: C (voorzien van muur- en dakisolatie en grotendeels dubbel glas).
Verwarming: HR-combiketel (december 2019).
Unieke ligging: Vrij uitzicht aan de achterzijde direct aan park “De Nieuweling”.
Gemak: Voorzien van extra douchevoorziening op de begane grond.
Parkeren: Ruime parkeergelegenheid op eigen terrein en in de directe omgeving.
Extra informatie voor koper:
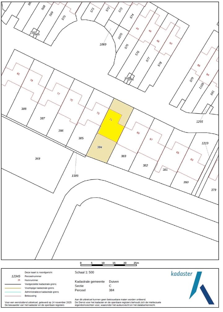
Aan de achterzijde is een strook gemeentegrond in gebruik. De kadastrale kaart geeft de exacte eigendomsgrenzen aan.
Niet-zelfbewoningsclausule verkoper (erfenis woning ouders)
Interesse? Schakel direct uw eigen NVM-aankoopmakelaar in. Uw NVM-aankoopmakelaar komt op voor uw belang en bespaart u tijd en zorgen. Adressen van collega NVM-aankoopmakelaars vindt u op Funda.
Kenmerken
Overdracht
- Aangeboden sinds
- Aanvaarding
- In overleg
- Vraagprijs
- € 519.000 kosten koper
- Vraagprijs per m²
- € 3.327
- Status
- Beschikbaar
Bouw
- Soort woonhuis
- Eengezinswoning, 2-onder-1-kapwoning
- Soort bouw
- Bestaande bouw
- Bouwjaar
- 1976
- Soort dak
- Zadeldak bedekt met pannen
- Keurmerken
- Algemene Woning Keur
Oppervlakten en inhoud
- Gebruiksoppervlakten
- Wonen
- 156 m²
- Overige inpandige ruimte
- 15 m²
- Externe bergruimte
- 6 m²
- Perceel
- 285 m²
- Inhoud
- 587 m³
Indeling
- Aantal kamers
- 6 kamers (4 slaapkamers)
- Aantal badkamers
- 1 badkamer en 1 apart toilet
- Badkamervoorzieningen
- Inloopdouche, ligbad, toilet, vloerverwarming, wastafel, en wastafelmeubel
- Aantal woonlagen
- 2 woonlagen en een zolder
- Voorzieningen
- Glasvezelkabel, mechanische ventilatie, natuurlijke ventilatie, rookkanaal, schuifpui, en TV kabel
Energie
- Energielabel
- Isolatie
- Dakisolatie, dubbel glas en muurisolatie
- Verwarming
- Cv-ketel
- Warm water
- Elektrische boiler
- Cv-ketel
- HR-107 ketel (gas gestookt combiketel uit 2019, eigendom)
Kadastrale gegevens
- DUIVEN C 384
- Kadastrale kaart
- Oppervlakte
- 285 m²
- Eigendomssituatie
- Volle eigendom
Buitenruimte
- Ligging
- Aan park, aan rustige weg, aan water en in woonwijk
- Tuin
- Achtertuin en voortuin
- Achtertuin
- 98 m² (10,20 meter diep en 9,60 meter breed)
- Ligging tuin
- Gelegen op het zuidwesten
Bergruimte
- Schuur/berging
- Vrijstaande houten berging
- Voorzieningen
- Elektra
- Isolatie
- Geen isolatie
Garage
- Soort garage
- Aangebouwde stenen garage en parkeerplaats
- Capaciteit
- 1 auto
- Voorzieningen
- Elektra, verwarming en stromend water
- Isolatie
- Geen isolatie
Parkeergelegenheid
- Soort parkeergelegenheid
- Op eigen terrein en openbaar parkeren
Foto's 85
© 2001-2026 funda




















































































