Dit huis op Funda: https://www.funda.nl/detail/koop/enschede/huis-brinkstraat-136/43004225/

Omschrijving
Deze karakteristieke instapklare eengezinswoning ligt aan de Brinkstraat 136. Het betreft een 2- onder-1-kapwoning met een woonoppervlakte van 89 m² en bevindt zich op een perceel met een oppervlakte van 98 m². De woning is gebouwd in 1932 en heeft een energielabel E.
Stijlvol wonen in Enschede, dan is dit de buurt die je zoekt. Brinkstraat 136 is gelegen in een fijne buurt nabij het centrum. De woning is goed bereikbaar met veel faciliteiten in de buurt. Gelegen op loopafstand van het centrum van Enschede, een supermarkt en op fietsafstand van een treinstation. Tevens is de eerste uitvalsweg in de nabije omgeving op slechts 4 minuten rijden.
Deze grotendeels gerenoveerde (2017) jaren '30 woning in de wijk Hogeland biedt veel sfeer en gezelligheid. De lichte woonkamer is voorzien van een erker en een laminaat vloer. Aangrenzend het eetgedeelte en de prachtige open keuken die van alle gemakken is voorzien. Vanuit de ruime bijkeuken met wasmachine aansluiting is de toegang naar de gunstig gelegen achtertuin met vrijstaande houten schuur en achterom. Op de eerste verdieping de overloop en 3 slaapkamers waarvan 1 zeer ruime kamer aan de achterzijde met een balkondeur en vanaf het balkon uitzicht op de Alphatoren. Deze slaapkamer is tevens voorzien van een airco. Vaste trap naar de 2e verdieping met overloop en badkamer met ligbad, toilet en wastafel.
Indeling:
Begane grond: entree, hal met meterkast en trapopgang. Woonkamer, keuken bijkeuken, toilet en achtertuin.
Eerste verdieping: overloop, drie slaapkamers en vaste trap naar:
Tweede verdieping: overloop, ruime badkamer met ligbad, toilet en wastafel.
Bijzonderheden:
- Bouwjaar 1932;
- Grotendeels gerenoveerd in 2017;
- Twee airco's;
- Kunststof kozijnen met dubbel glas;
- Voorzien van rolluiken.
Bijzonderheden koopovereenkomst:
- Er is pas sprake van een rechtsgeldige koopovereenkomst als de particuliere verkoper en de particuliere koper de koopovereenkomst hebben ondertekend (schriftelijkheidsvereiste). Een bevestiging van de mondelinge overeenstemming per e-mail of een toegestuurd concept van de koopovereenkomst wordt niet gezien als een "ondertekende overeenkomst";
- Er wordt ten behoeve en op verzoek van verkoper een bankgarantie/waarborgsom van 10% van de koopsom opgenomen;
- Er wordt een ouderdomsclausule en een asbestclausule in de te sluiten koopovereenkomst opgenomen.
Interesse in dit huis? Schakel direct uw eigen NVM-aankoopmakelaar in. Uw NVM aankoopmakelaar komt op voor uw belang en bespaart u tijd, geld en zorgen. Adressen van collega NVM aankoopmakelaars in Twente vindt u op Funda.nl
Aan deze objectinformatie kunnen geen rechten worden ontleend en deze informatie kan niet als aanbieding of offerte worden beschouwd. Indien u een aanbieding wenst, kan de makelaar deze, na goedkeuring door de opdrachtgever, op basis van specifieke gegevens verzorgen.
Kenmerken
Overdracht
- Oorspronkelijke vraagprijs
- € 335.000 kosten koper
- Laatste vraagprijs
- € 310.000 kosten koper
- Vraagprijs per m²
- € 3.483
- Status
- Verkocht
Bouw
- Soort woonhuis
- Eengezinswoning, 2-onder-1-kapwoning
- Soort bouw
- Bestaande bouw
- Bouwjaar
- 1932
- Soort dak
- Schilddak bedekt met pannen
Oppervlakten en inhoud
- Gebruiksoppervlakten
- Wonen
- 89 m²
- Externe bergruimte
- 5 m²
- Perceel
- 98 m²
- Inhoud
- 353 m³
Indeling
- Aantal kamers
- 4 kamers (3 slaapkamers)
- Aantal badkamers
- 1 badkamer en 1 apart toilet
- Badkamervoorzieningen
- Ligbad, toilet, en wastafel
- Aantal woonlagen
- 2 woonlagen en een zolder
- Voorzieningen
- Airconditioning, glasvezelkabel, natuurlijke ventilatie, en rolluiken
Energie
- Energielabel
- Isolatie
- Dubbel glas
- Verwarming
- Cv-ketel
- Warm water
- Cv-ketel
- Cv-ketel
- Remeha (gas gestookt combiketel uit 2014, eigendom)
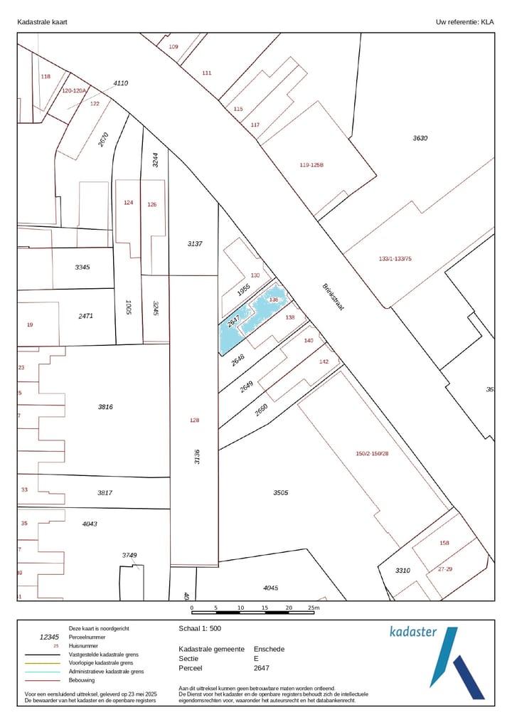
Kadastrale gegevens
- ENSCHEDE E 2647
- Kadastrale kaart
- Oppervlakte
- 98 m²
- Eigendomssituatie
- Volle eigendom
Buitenruimte
- Ligging
- In centrum
- Tuin
- Achtertuin
- Achtertuin
- 30 m² (6,00 meter diep en 5,00 meter breed)
- Ligging tuin
- Gelegen op het zuidwesten bereikbaar via achterom
Bergruimte
- Schuur/berging
- Vrijstaande houten berging
- Isolatie
- Geen isolatie
Parkeergelegenheid
- Soort parkeergelegenheid
- Openbaar parkeren
Foto's 50
© 2001-2026 funda

















































