Dit huis op Funda: https://www.funda.nl/detail/koop/enschede/huis-molukkenstraat-89/43185043/

Molukkenstraat 897512 XP EnschedeHogeland-Noord
€ 261.000 k.k.
Blikvangerleuke starterswoning in de gezellige wijk Hogeland
Omschrijving
Aan de Molukkenstraat in Enschede ligt deze leuke starterswoning in de gezellige wijk Hogeland. Molukkenstraat 89 heeft een woonoppervlakte van 79 m2 en bevindt zich op een perceel met een oppervlakte van 132 m2. De woning is gebouwd in 1930 en heeft een energielabel C. De woning is onlangs verduurzaamd.
De woning is goed bereikbaar met veel faciliteiten in de buurt. Gelegen op fietsafstand van het centrum van Enschede, loopafstand van een supermarkt en fietsafstand van een treinstation. Verder is de eerste uitvalsweg in de nabije omgeving op slechts 4 minuten rijden.
De woning beschikt over 3 slaapkamers, eenvoudige badkamer voorzien van douche en wastafel. De zolder is d.m.v. een vlizo trap te bereiken. De woning is gedateerd en heeft een flinke opknapbeurt nodig.
Indeling:
Begane grond: entree/hal, kelderkast met meterkast en trapopgang. Lichte woonkamer en een half open keuken met daarachter een halletje met toegang tot toilet, badkamer en de diepe achtertuin.
1e verdieping: overloop, 3 slaapkamers.
Zolderverdieping: bergzolder
Kenmerken:
- Woonoppervlakte ca. 79m²;
- Bouwjaar 1930;
- Huidig energielabel C;
- Nabij basisscholen en winkels.
Aanvullende verkoopvoorwaarden:
- In de te sluiten koopovereenkomst zal een asbest- en ouderdomsclausule opgenomen worden.
- In de te sluiten koopovereenkomst zal een niet-zelfbewoningsclausule opgenomen worden.
- Verplichting tot zelfbewoning en verbod op doorverkoop in de eerste twee jaren na eigendomsoverdracht.
Als je momenteel een sociale huurwoning van een woningcorporatie (zoals Domijn, Ons Huis of De Woonplaats) in de gemeente Enschede huurt met een kale huurprijs tot € 900,07 heb je voorrang bij de verkoop van deze woning.
Gedurende de eerste vier weken na de online publicatie van de woning hebben huurders van sociale huurwoningen van een woningcorporatie (zoals Domijn, Ons Huis of De Woonplaats) in de gemeente Enschede een speciale kans om deze koopwoning te bemachtigen. Mochten we binnen deze periode geen geschikte koper vinden, dan kunnen andere geïnteresseerden na 24-10-2025 de woning bezichtigen.
Het indienen van een bod geeft geen exclusief recht op onderhandelingen met de verkoper. De verkoper behoudt zich het recht voor om te beslissen of ze akkoord gaan met een bod en, zo ja, met welk bod. Bieden kan de eerste 4 weken door huurders vanaf de taxatiewaarde a € 260.000,--.
Let op: als je momenteel een huurwoning huurt van een van de woningcorporaties met een kale huurprijs boven € 900,07 geldt dit voordeel helaas niet voor jou. En ook wanneer je een sociale huurwoning huurt van een andere verhuurder dan een woningcorporatie geld dit voordeel helaas niet. De voorrang geldt alleen voor sociale huurders van een woningcorporatie.
Heb je vragen of ben je geïnteresseerd? Onze makelaars informeren u graag.
Interesse in dit huis? Schakel direct uw eigen NVM-aankoopmakelaar in. Uw NVM-aankoopmakelaar komt op voor uw belang en bespaart u tijd, geld en zorgen. Adressen van collega NVM-aankoopmakelaars in Twente vindt u op Funda.nl
Aan deze objectinformatie kunnen geen rechten worden ontleend en deze informatie kan niet als aanbieding of offerte worden beschouwd. Indien u een aanbieding wenst, kan de makelaar deze, na goedkeuring door de opdrachtgever, op basis van specifieke gegevens verzorgen.
Kenmerken
Overdracht
- Oorspronkelijke vraagprijs
- € 269.000 kosten koper
- Aangeboden sinds
- Aanvaarding
- In overleg
- Vraagprijs
- € 261.000 kosten koper
- Vraagprijs per m²
- € 3.304
- Status
- Beschikbaar
Bouw
- Soort woonhuis
- Eengezinswoning, hoekwoning
- Soort bouw
- Bestaande bouw
- Bouwjaar
- 1930
- Soort dak
- Mansarde dak bedekt met pannen
Oppervlakten en inhoud
- Gebruiksoppervlakten
- Wonen
- 79 m²
- Overige inpandige ruimte
- 13 m²
- Externe bergruimte
- 6 m²
- Perceel
- 132 m²
- Inhoud
- 349 m³
Indeling
- Aantal kamers
- 4 kamers (3 slaapkamers)
- Aantal badkamers
- 1 badkamer en 1 apart toilet
- Badkamervoorzieningen
- Douche en wastafel
- Aantal woonlagen
- 2 woonlagen en een zolder
- Voorzieningen
- Natuurlijke ventilatie
Energie
- Energielabel
- Verwarming
- Cv-ketel
- Warm water
- Cv-ketel
- Cv-ketel
- AWB (gas gestookt combiketel uit 2019, eigendom)
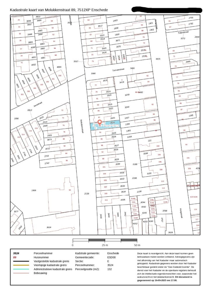
Kadastrale gegevens
- ENSCHEDE E 3524
- Kadastrale kaart
- Oppervlakte
- 132 m²
- Eigendomssituatie
- Volle eigendom
Buitenruimte
- Ligging
- In woonwijk
- Tuin
- Achtertuin en voortuin
- Achtertuin
- 35 m² (11,50 meter diep en 3,00 meter breed)
- Ligging tuin
- Gelegen op het noordoosten bereikbaar via achterom
Bergruimte
- Schuur/berging
- Vrijstaande houten berging
- Voorzieningen
- Elektra
- Isolatie
- Geen isolatie
Parkeergelegenheid
- Soort parkeergelegenheid
- Openbaar parkeren
Foto's 34
Plattegronden 3
© 2001-2026 funda




































