Dit huis op Funda: https://www.funda.nl/detail/koop/gronsveld/huis-voerenweg-30/43081958/

Omschrijving
DEZE WONING WORDT AANGEBODEN DOOR GOESSENS & GOESSENS MAKELAARDIJ.
-Beschrijving:
Vrijstaand wonen op royaal perceel – Rust, ruimte en mogelijkheden aan de Voerenweg in Rijckholt
Aan de rustige en groene Voerenweg, in het charmante dorp Rijckholt, ligt deze vrijstaande woning op een prachtig perceel van circa 850 m². Hier geniet u van volop privacy, ruimte en het buitenleven. De woning beschikt over een royale oprit, een ruime garage en maar liefst vier slaapkamers, met de mogelijkheid tot het creëren van een vijfde of zelfs zesde slaapkamer. De grote tuin rondom de woning is een absolute troef: perfect voor tuinliefhebbers, gezinnen of iedereen die op zoek is naar rust en vrijheid.
-Indeling:
-Kelder:
Via een trap in de entree bereikt u de kelder (ca. 14 m²), een praktische ruimte voor opslag en voorraad. Tevens bevindt zich hier de cv-ketel (Huur, Intergas, 2024).
-Begane grond:
Via de royale entree, afgewerkt met een donkere tegelvloer, heeft u toegang tot de meterkast, toiletruimte, woonkamer, keuken en de trappen naar zowel de eerste verdieping als de kelder. De toiletruimte is netjes betegeld en voorzien van een staand closet. De ruime woon- en eetkamer (ca. 34 m²) ademt sfeer en charme. Een absolute eyecatcher is de karakteristieke schouw met houtkachel, die samen met het zichtbare balkenplafond bijdraagt aan de warme, landelijke uitstraling van de ruimte. Grote raampartijen aan de voor- en achterzijde zorgen voor een prettige lichtinval en een mooi zicht op de tuin. Via een deur aan de achterzijde stapt u zo het terras op – ideaal voor binnen-buiten leven. De keuken (ca. 11 m²), uitgevoerd in een praktische L-opstelling, is voorzien van diverse inbouwapparatuur: een 4-pits gasfornuis, afzuigkap, combi-oven, vaatwasser en koelkast. Aansluitend vindt u de serre (ca. 11 m²), een multifunctionele ruimte met witgoedaansluitingen, toegang tot de tuin, de garage én de oprit – perfect als bijkeuken, werkruimte of extra eetkamer.
-Eerste verdieping:
Via de trap in de entree bereikt u de eerste verdieping, waar een overloop (ca. 8 m²) toegang geeft tot vier slaapkamers en de badkamer.
• Slaapkamer 1: Deze ruime slaapkamer is ca. 15 m² groot en voorzien van een fijn balkon met uitzicht op de tuin.
• Slaapkamer 2: Deze kamer is ca. 13 m² groot en voorzien van ingebouwde kasten. Hier bevindt zich eveneens een balkon.
• Slaapkamer 3: Deze comfortabele kamer is ca. 9 m² groot.
• Slaapkamer 4: Deze slaapkamer is ca. 6 m² groot.
• Badkamer: Deze nette en betegelde badkamer is uitgerust met een douchecabine, een staand closet en een wastafel.
-Zolder:
Een vlizotrap op de eerste verdieping leidt naar de zolder, bestaande uit een royale berging met een vloeroppervlakte van ca. 58 m² groot. Na de nodige aanpassingen kunnen hier een of twee extra slaapkamers worden gecreëerd.
-Garage:
De ruime garage (ca. 21 m²) is te bereiken via een deur in de keuken en de handmatig bedienbare poort op de oprit. De garage is voorzien van elektra en verwarming en ruim genoeg voor het stallen van een auto, fietsen of andere opslag. De royale oprit biedt parkeergelegenheid voor meerdere voertuigen.
-Tuin:
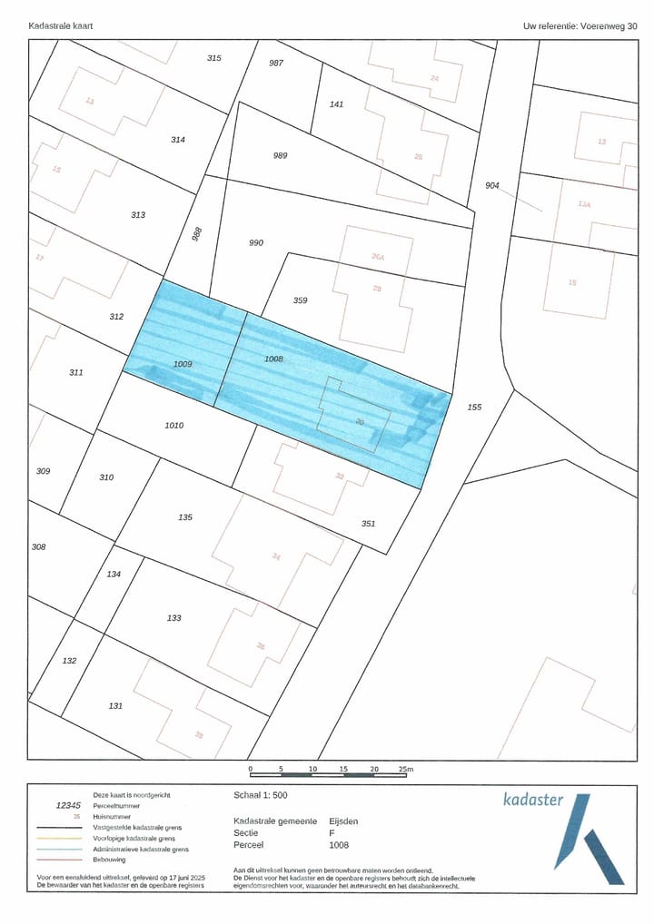
De schitterende, royale tuin is een ware eyecatcher. De tuin is te bereiken via de woon- en eetkamer, de serre en de zijingang. De combinatie van plantenborders, een groot gazon en een ruim terras zorgt voor een groene en veelzijdige buitenruimte. Het gedeelte loopt nog over met een gedeelte van de buren. De kadastrale kaart geeft de verhouding van de tuin aan.
De berging aan de achterzijde van de tuin is handig voor het opbergen van materialen en/of tuingereedschap. Met het ruime perceel van ca. 850 m², zijn er volop mogelijkheden om extra terrassen aan te leggen, een moestuin te starten of zelfs op kleinschaligheid, dieren te houden. Hier creëert u al uw eigen mogelijkheden!
Nadere bijzonderheden:
• Type woning: Vrijstaande woning met garage en uitgestrekte tuin, gelegen op een perceel van maar liefst ca. 850 m² in Rijckholt.
• Kozijnen: Houten kozijnen met enkele beglazing.
• Rolluiken: Grotendeels voorzien van rolluiken.
• Centrale verwarming: HR combi-ketel (Huur, Intergas, 2024).
• Energielabel: F. Met nog voldoende mogelijkheden tot verduurzaming, die de makelaar graag toelicht.
• Alle vermelde afmetingen zijn indicatief en kunnen afwijken van de werkelijkheid.
-Omgeving:
Rustig wonen in het charmante Rijckholt, nabij Gronsveld en Maastricht
Deze woning is prachtig gelegen aan de rand van Gronsveld, in het karakteristieke dorp Rijckholt – een pittoreske plek met een rijke historie en een bijzonder aangename woonomgeving. Rijckholt maakt deel uit van de gemeente Eijsden-Margraten en combineert de rust van het Zuid-Limburgse landschap met de nabijheid van stedelijke voorzieningen. Hier woont u landelijk en rustig, omringd door natuur, maar met het bruisende Maastricht op slechts enkele autominuten afstand. Het dorp staat bekend om zijn gemoedelijke sfeer, authentieke dorpskern, tradities zoals de eeuwenoude schutterij en natuurlijk het nabijgelegen Savelsbos – een uitgestrekt natuurgebied waar wandelaars en natuurliefhebbers hun hart kunnen ophalen. Voorzieningen zoals een bakker, basisschool en kinderopvang vindt u in het naastgelegen Gronsveld, waardoor de omgeving zowel voor gezinnen als rustzoekers ideaal is. Dankzij de uitstekende ligging ten opzichte van de A2 en andere uitvalswegen bent u binnen 10 minuten in het centrum van Maastricht, en ook steden als Luik en Aken zijn vlot bereikbaar.
Kortom: wonen in Rijckholt betekent genieten van ruimte, rust en natuur, met alle dagelijkse gemakken en de stad binnen handbereik.
Graag verwijzen wij u naar onze website goessens-makelaardij.nl, waar meer verkoopinformatie, onze disclaimer en de verkoopvoorwaarden te vinden zijn. Deze presentatie is door Goessens & Goessens Makelaardij met de nodige zorg samengesteld. Onzerzijds wordt echter geen enkele aansprakelijkheid aanvaard voor enige onvolledigheid, onjuist of anderszins, dan wel de gevolgen daarvan. Alle opgegeven maten en oppervlakten zijn indicatief. Deze presentatie is slechts indicatief. Er is nagestreefd naar een zo zorgvuldig mogelijke informatie van de ter beschikking staande gegevens.
Kenmerken
Overdracht
- Laatste vraagprijs
- € 509.000 kosten koper
- Vraagprijs per m²
- € 3.827
- Status
- Verkocht
Bouw
- Soort woonhuis
- Eengezinswoning, vrijstaande woning
- Soort bouw
- Bestaande bouw
- Bouwjaar
- 1969
- Soort dak
- Zadeldak bedekt met pannen
- Keurmerken
- Energie Prestatie Advies
Oppervlakten en inhoud
- Gebruiksoppervlakten
- Wonen
- 133 m²
- Overige inpandige ruimte
- 62 m²
- Gebouwgebonden buitenruimte
- 7 m²
- Perceel
- 850 m²
- Inhoud
- 723 m³
Indeling
- Aantal kamers
- 5 kamers (4 slaapkamers)
- Aantal badkamers
- 1 badkamer en 1 apart toilet
- Aantal woonlagen
- 2 woonlagen, een zolder, en een kelder
- Voorzieningen
- Natuurlijke ventilatie
Energie
- Energielabel
- F
- Verwarming
- Cv-ketel en houtkachel
- Warm water
- Cv-ketel
- Cv-ketel
- Intergas (gas gestookt uit 2024, huur)
Kadastrale gegevens
- EIJSDEN-MARGRATEN F 1009
- Kadastrale kaart
- Oppervlakte
- 255 m²
- Eigendomssituatie
- Volle eigendom
- EIJSDEN-MARGRATEN F 1008
- Kadastrale kaart
- Oppervlakte
- 595 m²
- Eigendomssituatie
- Volle eigendom
Buitenruimte
- Ligging
- Aan rustige weg
- Tuin
- Tuin rondom
Garage
- Soort garage
- Aangebouwde stenen garage
- Capaciteit
- 1 auto
- Voorzieningen
- Elektra en verwarming
Parkeergelegenheid
- Soort parkeergelegenheid
- Op eigen terrein en openbaar parkeren
Foto's 55
© 2001-2026 funda






















































