Dit huis op Funda: https://www.funda.nl/detail/koop/halsteren/huis-berkenlaan-24/43872615/

Omschrijving
Deze verrassend ruime vrijstaande woning met garage en royale tuin met veel privacy is gelegen in een zeer kindvriendelijke woonomgeving.
De woning is keurig afgewerkt en is ideaal gelegen in de populaire woonwijk ‘De Schans’ nabij scholen, bos- en natuurgebied, uitvalswegen en overige voorzieningen.
De woning is praktisch ingedeeld en o.a. voorzien van een fraaie living met een houtkachel en veel daglicht, een woonkeuken en een bijkeuken. Op de 1e verdieping bevinden zich een vide, 3 slaapkamers en de badkamer. Vanuit de hoofdslaapkamer is het balkon via een schuifpui bereikbaar. Tevens treft u op de 2e verdieping een 4e slaapkamer.
De woning is verder voorzien van een fijne tuin met veel privacy, een berging t.b.v. opslag van tuingereedschap / fietsen en een royale garage.
Aan de achterzijde bevindt zich een parkeerplaats en via de achteruitgang bereikt u de woning.
Deze unieke woning is beslist een bezichtiging waard.
INDELING:
Begane grond:
Hal/entree, wandafwerking schoonmetselwerk, tegelvloer, plafond afgewerkt met houten delen;
meterkast met 8 groepen, 1x krachtstroom, alarminstallatie en 2 aardlekschakelaars;
betegeld toilet met een wandcloset en fonteintje;
woonkamer voorzien van een houtkachel, wandafwerking schoonmetselwerk, tegelvloer, plafond afgewerkt met houten delen;
woonkeuken, waarin geplaatst een in hoek opgestelde inbouwkeuken, voorzien van een kunststof aanrechtblad met een spoelbak, inbouw inductiekookplaat, -koeler en een afzuigkap, wandafwerking sierpleister en schoonmetselwerk, tegelvloer, plafond afgewerkt met houten delen;
bijkeuken vv. een bergkast met wasmachine-/drogeraansluiting en opstelplaats HR-combiketel, wandafwerking tegels, tegelvloer, plafond afgewerkt met spuitwerk, deur met tuin/terras;
vanuit de hal een essen houten trap naar de 1e verdieping.
1e verdieping:
Overloop vv. een vide, wandafwerking schoonmetselwerk, laminaatvloer, plafond afgewerkt met houten kraaldelen;
slaapkamer rechts voor, wandafwerking sierpleister, laminaatvloer, plafond afgewerkt met houten kraaldelen, schuifpui naar balkon;
slaapkamer links voor, wandafwerking sierpleister, laminaatvloer, plafond afgewerkt met houten kraaldelen;
slaapkamer rechts achter vv. een wastafel, wandafwerking sierpleister, laminaatvloer, plafond afgewerkt met houten kraaldelen;
betegelde badkamer, voorzien van een ligbad, douchecabine, toilet, een wastafel en mechanische ventilatie;
vanuit de overloop een essen houten trap naar de 2e verdieping.
2e verdieping:
Overloop, wandafwerking schoonmetselwerk, vloer afgewerkt met tapijt, dakplaten in het zicht;
slaapkamer vv. opstelplaats omvormer, wandafwerking schoonmetselwerk, vloer afgewerkt met tapijt, dakplaten in het zicht.
Bijgebouwen:
Berging;
garage met een elektrische sectiedeur.
Tuin:
Aangelegde tuin, terras bestraat met sierbestrating en voorzien van gazon, borders, vijverpartij, stenen berging en een achteruitgang.
oprit bestraat met sierbestrating voorzien van parkeergelegenheid voor 1 auto.
Bouwaard:
Woonhuis:
Traditioneel gebouwd in spouw, opgetrokken in metselbaksteen, begane grondvloer en 1e verdiepingsvloer uitgevoerd in beton, 2e verdiepingsvloer uitgevoerd in hout, onderschoten kap gedekt met pannen en platdakconstructie gedekt met bitumin
Garage:
Traditioneel gebouwd in spouw, tegelvloer, platdakconstructie gedekt met bitumineuze dakbedekking.
Berging:
Traditioneel gebouwd in spouw, betonvloer, kap gedekt met pannen.
Isolatie en energie:
De woning is voorzien van vloer-, spouwmuur- en dakisolatie alsmede van isolerende beglazing. Aanvullend is de woning voorzien van maar liefst 18 zonnepanelen.
Verwarming en warmwatervoorziening:
De woning is voorzien van centrale verwarming. De HR-combiketel (fabricaat Remeha Calenta 40C, bouwjaar 2014), is geplaatst in de bijkeuken en voorziet tevens in warmwater.
De begane grond is tevens voorzien van vloerverwarming.
Kenmerken
Overdracht
- Laatste vraagprijs
- € 639.500 kosten koper
- Vraagprijs per m²
- € 3.533
- Status
- Verkocht
Bouw
- Soort woonhuis
- Eengezinswoning, vrijstaande woning
- Soort bouw
- Bestaande bouw
- Bouwjaar
- 1992
- Soort dak
- Samengesteld dak bedekt met bitumineuze dakbedekking en pannen
Oppervlakten en inhoud
- Gebruiksoppervlakten
- Wonen
- 181 m²
- Overige inpandige ruimte
- 19 m²
- Gebouwgebonden buitenruimte
- 5 m²
- Externe bergruimte
- 9 m²
- Perceel
- 502 m²
- Inhoud
- 741 m³
Indeling
- Aantal kamers
- 5 kamers (4 slaapkamers)
- Aantal badkamers
- 1 badkamer en 1 apart toilet
- Badkamervoorzieningen
- Douche, ligbad, toilet, en wastafel
- Aantal woonlagen
- 3 woonlagen
- Voorzieningen
- Alarminstallatie, mechanische ventilatie, schuifpui, en zonnepanelen
Energie
- Energielabel
- Isolatie
- Dakisolatie, dubbel glas, muurisolatie en vloerisolatie
- Verwarming
- Cv-ketel, houtkachel en gedeeltelijke vloerverwarming
- Warm water
- Cv-ketel
- Cv-ketel
- Remeha Calenta 40C (gas gestookt combiketel uit 2014, eigendom)
Kadastrale gegevens
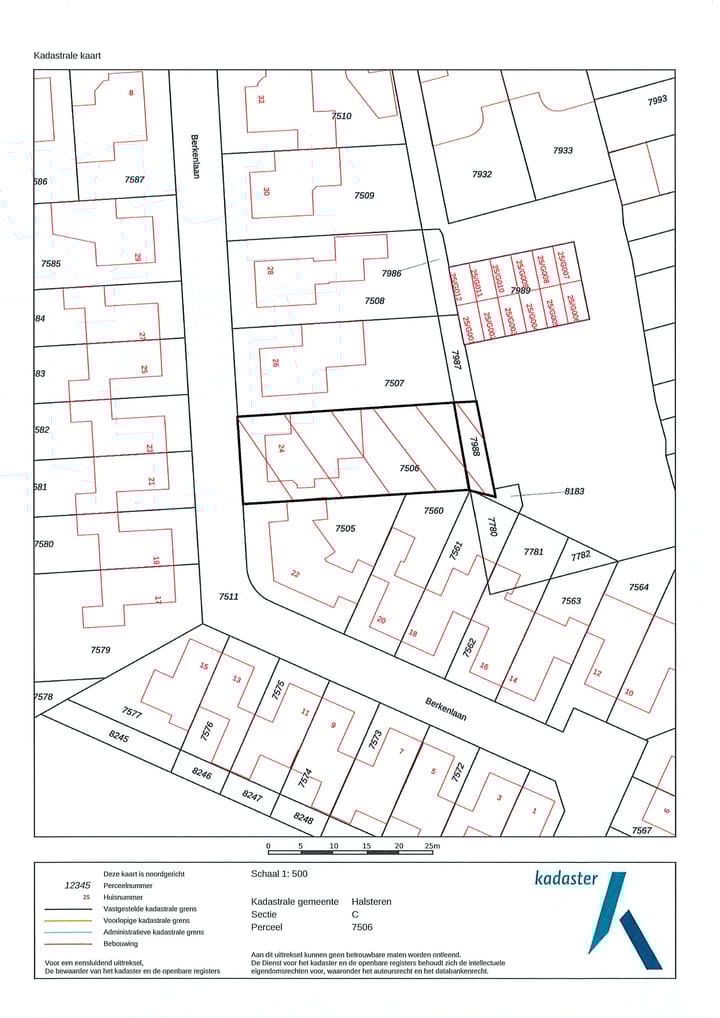
- HALSTEREN C 7506
- Kadastrale kaart
- Oppervlakte
- 452 m²
- Eigendomssituatie
- Volle eigendom
- HALSTEREN C 7988
- Kadastrale kaart
- Oppervlakte
- 50 m²
- Eigendomssituatie
- Volle eigendom
Buitenruimte
- Ligging
- In woonwijk
- Tuin
- Achtertuin en voortuin
- Achtertuin
- 169 m² (13,00 meter diep en 13,00 meter breed)
- Ligging tuin
- Gelegen op het oosten bereikbaar via achterom
Bergruimte
- Schuur/berging
- Vrijstaande stenen berging
Garage
- Soort garage
- Aangebouwde stenen garage
- Capaciteit
- 1 auto
- Voorzieningen
- Elektrische deur en elektra
Parkeergelegenheid
- Soort parkeergelegenheid
- Op eigen terrein
Foto's 51
© 2001-2026 funda


















































