Dit huis op Funda: https://www.funda.nl/detail/koop/halsteren/huis-vijverstraat-11/43987467/

Omschrijving
Deze uitgebouwde 2-onder-1-kapwoning is rustig gelegen op loopafstand van o.a. het levendige dorpscentrum van Halsteren, basisschool, supermarkt, Sint-Maartensplein, etc.
In het verleden is de woning zowel op de begane grond als op de verdieping uitgebouwd waardoor de woning verrassend veel ruimte bied.
Op de begane grond is de woning vv. een sfeervolle woonkamer met een houtkachel, een royale woonkeuken en een bijkeuken. De verdieping is ingedeeld in 3 ruime slaapkamers en een complete badkamer.
Aan de achterzijde bevindt zich de diepe tuin met veel privacy, houten berging en veelzijdige garage.
Kortom een unieke kans om te wonen in een ruime woning met alle voorzieningen binnen loopafstand. Maak snel een afspraak voor een bezichtiging!
INDELING:
Begane grond:
Hal/entree, wandafwerking houten dek, tegelvloer, plafond afgewerkt met stucwerk;
meterkast met 7 groepen en 2 aardlekschakelaars;
betegeld toilet met wandcloset en fonteintje;
woonkamer voorzien van een houtkachel en kelderkast, wandafwerking stucwerk, houtenvloer, balkenplafond;
open woonkeuken met 2 solatubes, waarin geplaatst een in de lengte opgestelde inbouwkeuken, voorzien van een kunststof aanrechtblad met een spoelbak, inbouw gas-op-glas kookplaat, -koeler, -combi oven/magnetron, -vaatwasser, -afzuigkap en een bergkast vv. wasmachine-/drogeraansluiting, wandafwerking tegels, tegelvloer, plafond afgewerkt met stucwerk, tuindeuren naar tuin/terras;
bijkeuken met opstelplaats HR-combiketel en wasmachine aansluiting, wandafwerking tegels, tegelvloer, plafond afgewerkt met houten schroten;
vanuit de hal een trap naar de 1e verdieping.
1e verdieping:
Overloop voorzien van een bergkast en airconditioning, wandafwerking stucwerk, vloer afgewerkt met tapijt, plafond afgewerkt met houten schroten;
slaapkamer links achter, voorzien van een dakkapel met rolluik en bergkast onder dakvlak, wandafwerking stucwerk en behang, laminaatvloer, plafond afgewerkt met stucwerk;
slaapkamer rechts achter, voorzien van een dakkapel met rolluik en bergkast onder dakvlak, wandafwerking stucwerk en behang, laminaatvloer, plafond afgewerkt met stucwerk;
slaapkamer rechts voor, voorzien van een rolluik, wandafwerking structuurverf, laminaatvloer, plafond afgewerkt met kunststof delen;
betegelde badkamer, voorzien van een inloopdouche, wandcloset, badkamermeubel met een wastafel, radiator en een rolluik;
vanuit de overloop een vlizotrap naar de 2e verdieping.
2e verdieping:
Open bergzolder, wandafwerking metselwerk, houten vloer, schuin dakbeschot afgewerkt met isolatie.
Bijgebouwen:
Houten tuinchalet;
garage met een kanteldeur en separate loopdeur naar de aangebouwde berging.
Tuin:
Aangelegde tuin, terras bestraat met sierbestrating en voorzien van tuinverlichting, buitenkraan, zij-uitgang, houtopslag en een houten tuinchalet;
oprit bestraat met sierbestrating voorzien van parkeergelegenheid voor 3 auto’s.
Bouwaard:
Woonhuis:
Traditioneel gebouwd in spouw, opgetrokken in metselbaksteen, begane grondvloer uitgevoerd in beton, houten verdiepingsvloeren, onderschoten kap gedekt met pannen en platdakconstructie gedekt met bitumineuze dakbedekking.
Garage:
Traditioneel gebouwd in spouw, opgetrokken in metselbaksteen, betonvloer, houten verdiepingsvloer, onderschoten kap gedekt met pannen.
Isolatie:
De woning is voorzien van vloer en dakisolatie alsmede deels van HR++ isolerende beglazing.
Verwarming en warmwatervoorziening:
De woning is voorzien van centrale verwarming. De HR-combiketel (fabricaat Vaillant, bouwjaar 2018), is geplaatst in de bijkeuken en voorziet tevens in warmwater.
Kenmerken
Overdracht
- Laatste vraagprijs
- € 465.000 kosten koper
- Vraagprijs per m²
- € 3.720
- Status
- Verkocht
Bouw
- Soort woonhuis
- Eengezinswoning, 2-onder-1-kapwoning
- Soort bouw
- Bestaande bouw
- Bouwjaar
- 1954
- Soort dak
- Samengesteld dak bedekt met bitumineuze dakbedekking en pannen
Oppervlakten en inhoud
- Gebruiksoppervlakten
- Wonen
- 125 m²
- Gebouwgebonden buitenruimte
- 4 m²
- Externe bergruimte
- 45 m²
- Perceel
- 298 m²
- Inhoud
- 443 m³
Indeling
- Aantal kamers
- 4 kamers (3 slaapkamers)
- Aantal badkamers
- 1 badkamer en 1 apart toilet
- Badkamervoorzieningen
- Inloopdouche, toilet, wastafel, en wastafelmeubel
- Aantal woonlagen
- 2 woonlagen en een zolder
- Voorzieningen
- Airconditioning, natuurlijke ventilatie, en rolluiken
Energie
- Energielabel
- Isolatie
- Dakisolatie, dubbel glas, HR-glas en vloerisolatie
- Verwarming
- Cv-ketel en houtkachel
- Warm water
- Cv-ketel
- Cv-ketel
- Vaillant (gas gestookt combiketel uit 2018, eigendom)
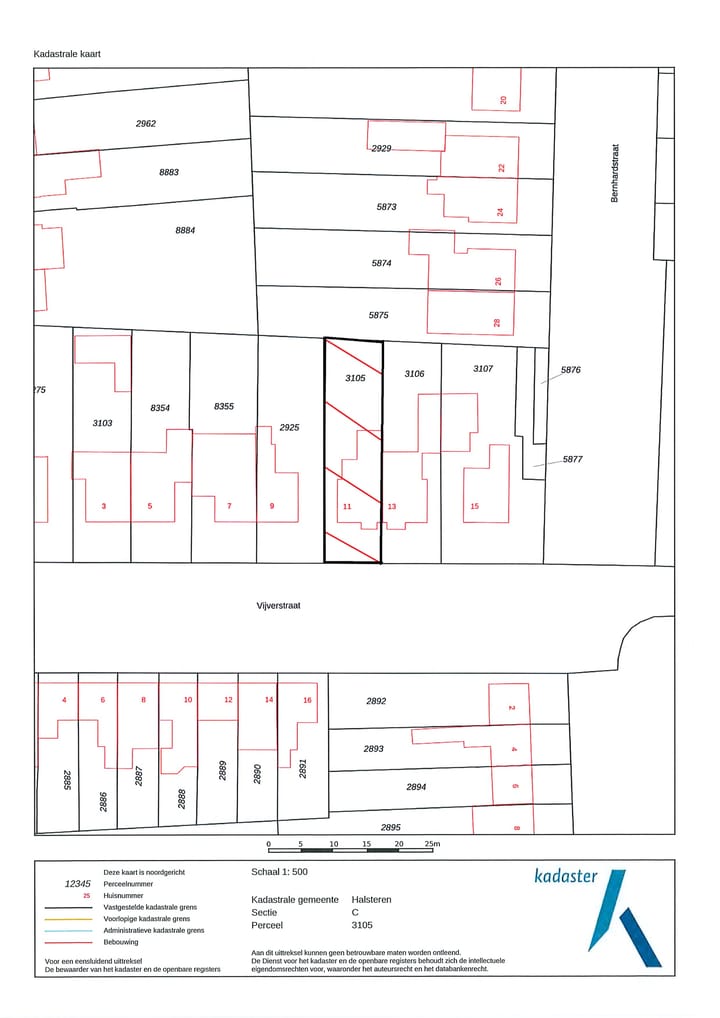
Kadastrale gegevens
- HALSTEREN C 3105
- Kadastrale kaart
- Oppervlakte
- 298 m²
- Eigendomssituatie
- Volle eigendom
Buitenruimte
- Ligging
- In woonwijk
- Tuin
- Achtertuin en voortuin
- Achtertuin
- 120 m² (15,00 meter diep en 8,00 meter breed)
- Ligging tuin
- Gelegen op het noorden bereikbaar via achterom
Bergruimte
- Schuur/berging
- Vrijstaande houten berging
Garage
- Soort garage
- Vrijstaande stenen garage
- Capaciteit
- 1 auto
Parkeergelegenheid
- Soort parkeergelegenheid
- Op eigen terrein
Foto's 52
© 2001-2026 funda



















































