Dit huis op Funda: https://www.funda.nl/detail/koop/heesch/huis-jan-steenstraat-15/43026172/

Omschrijving
Jouw Waare (t)Huis aan Jan Steenstraat 15 in Heesch!
Ben jij starter op de woningmarkt en op zoek naar een instapklare tussenwoning met moderne afwerking en fijne tuin? Dan is dit jouw kans! Deze woning uit 1967 is door de jaren heen netjes onderhouden, voorzien van HR++ beglazing en biedt met 96 m² woonoppervlakte alles wat je nodig hebt: een lichte woonkamer, een moderne keuken, drie slaapkamers, een praktische zolder én een zonnige tuin.
Wonen in Heesch
De Jan Steenstraat ligt in een rustige woonwijk in Heesch, met supermarkten, winkels, scholen en sportvoorzieningen op korte afstand. De bereikbaarheid is uitstekend: je bent zo in het centrum van Oss of ’s-Hertogenbosch en ook de snelwegen A50 en A59 zijn vlot bereikbaar. In de directe omgeving is voldoende parkeergelegenheid en je woont hier prettig in een straat met voornamelijk bestemmingsverkeer.
Goed om te weten
- de voortuin is verzorgd aangelegd en voorzien van een looppad naar de voordeur, met directe toegang tot de entreehal;
- de hal is overzichtelijk en licht, en beschikt over de meterkast, trapkast, toilet met fonteintje en de trapopgang naar de verdieping;
- de doorzonwoonkamer is modern afgewerkt met een sfeervolle tegelvloer met comfortabele vloerverwarming, strak gestucte wanden en een groot raam aan de voorzijde, waardoor er veel daglicht binnenvalt;
- het eetgedeelte aan de achterzijde grenst aan de tuin en biedt via openslaande deuren directe toegang tot het terras;
- de open keuken in hoekopstelling is uitgerust met diverse inbouwapparatuur, waaronder een gaskookplaat, afzuigkap, oven, vaatwasser en koelkast. De keuken heeft een robuuste, moderne uitstraling en is praktisch ingedeeld;
- op de eerste verdieping zijn drie volwaardige slaapkamers aanwezig, allen voorzien van een nette laminaatvloer, grote ramen en een strakke afwerking. Ideaal als slaap-, werk- of hobbyruimte;
- de badkamer is functioneel ingericht met een douche en wastafel, en is voorzien van een raam voor natuurlijke ventilatie;
- de tweede verdieping is bereikbaar via een vaste trap en ingericht als ruime zolder met daglichttoetreding, bergruimte achter knieschotten en een wasmachineaansluiting. Deze verdieping biedt volop mogelijkheden voor het realiseren van een extra slaapkamer of werkruimte;
- de achtertuin is keurig aangelegd met sierbestrating, groenvoorziening, een gezellige pergola met zitplek en een vrijstaande stenen berging. De tuin is via een achterom bereikbaar en ligt gunstig op het zuiden;
- de woning is voorzien van vernieuwde HR++ beglazing in houten kozijnen, wat zorgt voor beter wooncomfort en energiebesparing;
- energielabel C van toepassing, met cv-installatie (HR-combiketel uit 2020, laatste onderhoud in 2025);
- parkeren kan gemakkelijk voor de deur op openbaar terrein;
- oplevering in overleg.
Benieuwd of dit jouw Waare (t)Huis wordt?
We laten het je graag zien tijdens een bezichtiging!
Kenmerken
Overdracht
- Laatste vraagprijs
- € 359.000 kosten koper
- Vraagprijs per m²
- € 3.701
- Status
- Verkocht
Bouw
- Soort woonhuis
- Eengezinswoning, tussenwoning
- Soort bouw
- Bestaande bouw
- Bouwjaar
- 1967
- Soort dak
- Zadeldak bedekt met pannen
Oppervlakten en inhoud
- Gebruiksoppervlakten
- Wonen
- 97 m²
- Externe bergruimte
- 14 m²
- Perceel
- 264 m²
- Inhoud
- 343 m³
Indeling
- Aantal kamers
- 5 kamers (4 slaapkamers)
- Aantal badkamers
- 1 badkamer en 1 apart toilet
- Badkamervoorzieningen
- Douche en wastafel
- Aantal woonlagen
- 3 woonlagen
- Voorzieningen
- Buitenzonwering, glasvezelkabel, en TV kabel
Energie
- Energielabel
- Isolatie
- HR-glas
- Verwarming
- Cv-ketel en gedeeltelijke vloerverwarming
- Warm water
- Cv-ketel
- Cv-ketel
- Intergas (gas gestookt combiketel uit 2020, eigendom)
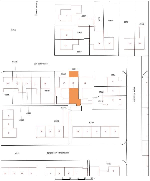
Kadastrale gegevens
- HEESCH A 6554
- Kadastrale kaart
- Oppervlakte
- 141 m²
- Eigendomssituatie
- Volle eigendom
- HEESCH A 6555
- Kadastrale kaart
- Oppervlakte
- 123 m²
- Eigendomssituatie
- Mandelig
Buitenruimte
- Ligging
- Aan rustige weg en in woonwijk
- Tuin
- Achtertuin en voortuin
- Achtertuin
- 62 m² (10,00 meter diep en 6,19 meter breed)
- Ligging tuin
- Gelegen op het zuiden bereikbaar via achterom
Bergruimte
- Schuur/berging
- Vrijstaande stenen berging
- Voorzieningen
- Elektra
Parkeergelegenheid
- Soort parkeergelegenheid
- Openbaar parkeren
Foto's 39
© 2001-2026 funda






































