
Omschrijving
Bent u op zoek naar een ruim karakteristiek en keurig afgewerkt woonhuis met een ruime strakke tuin, garage en ruime oprit? Dan is deze woning zeker een bezichtiging waard!
Deze woning is gelegen op een gewilde locatie op loopafstand van het centrum, scholen en winkelcentrum.
Het woonhuis beschikt over verrassend veel ruimte en lichtinval met onder meer 4 slaapkamers en mooie badkamer op de verdieping en sfeervolle karakteristieke elementen zoals een erker met markies, paneeldeuren en granietvloer in de hal, keuken en toilet.
Indeling:
Begane grond:
Entree, vestibule, hal met trapopgang, trapkast en moderne toiletruimte met vrijhangend toilet en fontein, sfeervolle woonkamer met veel raampartijen, gashaard, erker en een deur naar het terras, moderne keuken voorzien van diverse inbouwapparatuur.
De begane grond is voorzien van een fraaie houten vloer en granitovloer.
Eerste verdieping:
Overloop, drie slaapkamers waarvan de ouderslaapkamer voorzien is van een deur naar het balkon, keurige badkamer voorzien douche, wastafel en 2e toilet.
De eerste verdieping is voorzien van een moderne laminaatvloer.
Tweede verdieping:
Middels vaste trap bereikbaar, overloop met cv-opstelling, aansluiting voor wasapparatuur, bergruimte en een royale 4e slaapkamer die makkelijk op te delen is in twee aparte slaapkamers.
Bijzonderheden:
* Bouwjaar: 1942;
* Inhoud woonhuis 446 m³;
* Woonoppervlakte: 106 m²;
* Perceeloppervlakte: 255 m²;
* Verwarming en warm water middels Remeha Calenta CW5, bouwjaar 2011, eigendom;
* Energielabel C;
* Schilderwerk buitenzijde uitgevoerd in 2023 door een erkend schildersbedrijf;
* In 2020 is de gehele zijgevel geïsoleerd;
* Platte dak erker in 2023 vervangen;
* Keuken v.v. inductiekookplaat, oven, koelkast en vaatwasser;
* Ruime en strakke tuin met veel privacy, stenen berging en garage;
* Gelegen op een uiterst gewilde locatie in een karakteristieke wijk op loopafstand van het stadscentrum.
* Op korte afstand van station, scholen, winkels, openbare voorzieningen en uitvalswegen;
* In de koopakte zal een 10% waarborgsom of bankgarantie worden opgenomen.
Kenmerken
Overdracht
- Laatste vraagprijs
- € 385.000 kosten koper
- Vraagprijs per m²
- € 3.632
- Status
- Verkocht
Bouw
- Soort woonhuis
- Eengezinswoning, hoekwoning
- Soort bouw
- Bestaande bouw
- Bouwjaar
- 1942
- Soort dak
- Zadeldak bedekt met pannen
Oppervlakten en inhoud
- Gebruiksoppervlakten
- Wonen
- 106 m²
- Overige inpandige ruimte
- 16 m²
- Gebouwgebonden buitenruimte
- 5 m²
- Externe bergruimte
- 5 m²
- Perceel
- 255 m²
- Inhoud
- 446 m³
Indeling
- Aantal kamers
- 5 kamers (4 slaapkamers)
- Aantal badkamers
- 1 badkamer en 1 apart toilet
- Badkamervoorzieningen
- Douche, toilet, en wastafel
- Aantal woonlagen
- 3 woonlagen
- Voorzieningen
- Buitenzonwering, dakraam, en rookkanaal
Energie
- Energielabel
- Isolatie
- Dakisolatie, HR-glas en muurisolatie
- Verwarming
- Cv-ketel
- Warm water
- Cv-ketel
- Cv-ketel
- Remeha Calenta CW5 (gas gestookt combiketel uit 2011, eigendom)
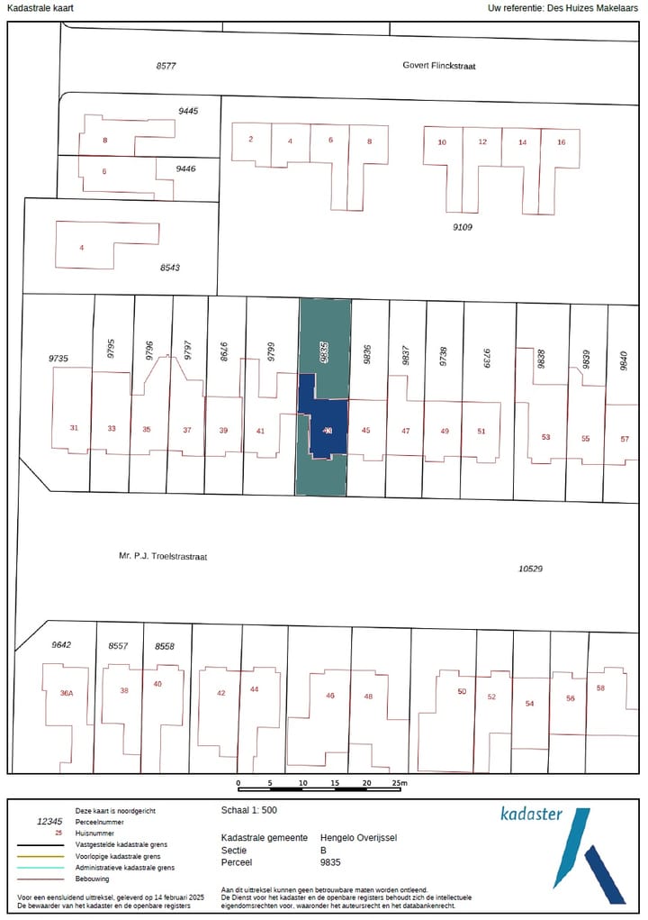
Kadastrale gegevens
- HENGELO B 9835
- Kadastrale kaart
- Oppervlakte
- 255 m²
- Eigendomssituatie
- Volle eigendom
Buitenruimte
- Ligging
- Aan drukke weg en in woonwijk
- Tuin
- Achtertuin en voortuin
- Achtertuin
- 124 m² (15,50 meter diep en 8,00 meter breed)
- Ligging tuin
- Gelegen op het noorden bereikbaar via achterom
- Balkon/dakterras
- Balkon aanwezig
Bergruimte
- Schuur/berging
- Vrijstaande stenen berging
- Voorzieningen
- Elektra
Garage
- Soort garage
- Aangebouwde stenen garage
- Capaciteit
- 1 auto
- Voorzieningen
- Elektra
Parkeergelegenheid
- Soort parkeergelegenheid
- Op eigen terrein en openbaar parkeren
Foto's 36
© 2001-2026 funda



































