Dit huis op Funda: https://www.funda.nl/detail/koop/hoogerheide/huis-bleriotlaan-7/43815393/

Omschrijving
***REACTIES BIJ VOORKEUR PER E-MAIL***
Gelijkvloers wonen! Prachtige vrijstaande bungalow met 105m2 aan woonoppervlak, levensloopfunctie, een aangebouwde serre, een oprit met vrijstaande stenen garage met zadeldak, een degelijke houten overkapping, een aanpandige houten berging. Het geheel is in een woonwijk en op een perceel van ruim 400m2 gelegen. Diverse dagelijkse voorzieningen in en rondom de omgeving van Hoogerheide.
Stichtingsjaar: 1968. Wonen: 105m2. Perceeloppervlakte: 412m2. Inhoud: 430m3. Energielabel: E.
Indeling
Begane grond
Entree, Hal met o.a. een meterkast (7 groepen met 2 aardlekschakelaars), toiletruimte met fonteintje en biedt toegang tot een tweetal slaapkamers (waarvan 1 met vaste inbouwkast) Badkamer met een doucheruimte, badkamermeubel met wastafel en een design radiator. De woonkamer voorzien van een schouw met gashaard en groot hoekkozijn aan de voorzijde. Woonkamer staat in open verbinding met de keuken. Semi open keuken voorzien van voldoende onder- en bovenkasten, diverse inbouwapparatuur zoals o.a. een gascomfort met wasemkap, oven en een koelkast. Bijkeuken met opstelplaats combiketel en keukenblokje. Bijkeuken bereikbaar vanuit de serre. Tuingericht serre voorzien van grote raampartijen en een deur naar de achtertuin.
Eerste verdieping
Bergzolder bereikbaar d.m.v. een vlizotrap. De zolder is bereikbaar over de gehele breedte van de woning.
Tuin
De tuin is rondom de woning gelegen en is voorzien van een gazon, sierbestrating, buitenverlichting, degelijke overkapping, houten berging en een vrijstaande stenen garage met zadeldak(23m2).
Garage
De garage (met zadeldak) is voorzien van een betonvloer, elektra- en watervoorziening, vliering, een garagedeur en loopdeur. De garage afmetingen zijn 7.50m bij 3.00m (23m2). De oprit naar de garage is direct langs de woning gelegen en biedt parkeercapaciteit voor meerdere (motor)voertuigen.
Bouw
De woning is traditioneel gebouwd en voorzien van o.a. een zadeldakconstructie met pannen gedekt, gevels (met spouw) uitgevoerd in metselwerk, beton- en houtenconstructievloeren, compleet v.v. houten kozijnen, gedeeltelijk v.v. dubbele beglazing, natuurstenen vensterbanken, energielabel E, woonkamer met gashaard als bijverwarming, verwarming en warmwatervoorziening d.m.v. een combiketel (2012).
Omgeving
Hoogerheide is gelegen binnen de gemeente Woensdrecht en biedt een hoog voorzieningenniveau. De meeste voorzieningen zijn op fiets-/loopafstand te bereiken zoals o.a. de hoofdwinkelstraat, supermarkten, (sport)verenigingen, basisonderwijs, huisartsenpost, apotheek, gemeentehuis, horecagelegenheden en openbaar vervoer (NL/BE) etc. Overigens zijn er enkele uitvalswegen waaronder de (A4/A58) richting de steden zoals o.a. Antwerpen, Vlissingen, Rotterdam en Breda.
Is uw interesse gewekt? Maak vrijblijvend een afspraak voor het bezichtigen van deze woning!
Aanvaarding in overleg.
Kenmerken
Overdracht
- Laatste vraagprijs
- € 429.000 kosten koper
- Vraagprijs per m²
- € 4.086
- Status
- Verkocht
Bouw
- Soort woonhuis
- Bungalow, vrijstaande woning
- Soort bouw
- Bestaande bouw
- Bouwjaar
- 1968
- Soort dak
- Zadeldak bedekt met pannen
Oppervlakten en inhoud
- Gebruiksoppervlakten
- Wonen
- 105 m²
- Gebouwgebonden buitenruimte
- 10 m²
- Externe bergruimte
- 23 m²
- Perceel
- 412 m²
- Inhoud
- 468 m³
Indeling
- Aantal kamers
- 4 kamers (2 slaapkamers)
- Aantal badkamers
- 1 badkamer en 1 apart toilet
- Badkamervoorzieningen
- Inloopdouche en wastafelmeubel
- Aantal woonlagen
- 1 woonlaag
- Voorzieningen
- Natuurlijke ventilatie en rolluiken
Energie
- Energielabel
- E
- Isolatie
- Gedeeltelijk dubbel glas
- Verwarming
- Cv-ketel en gashaard
- Warm water
- Cv-ketel
- Cv-ketel
- Combiketel uit 2012, eigendom
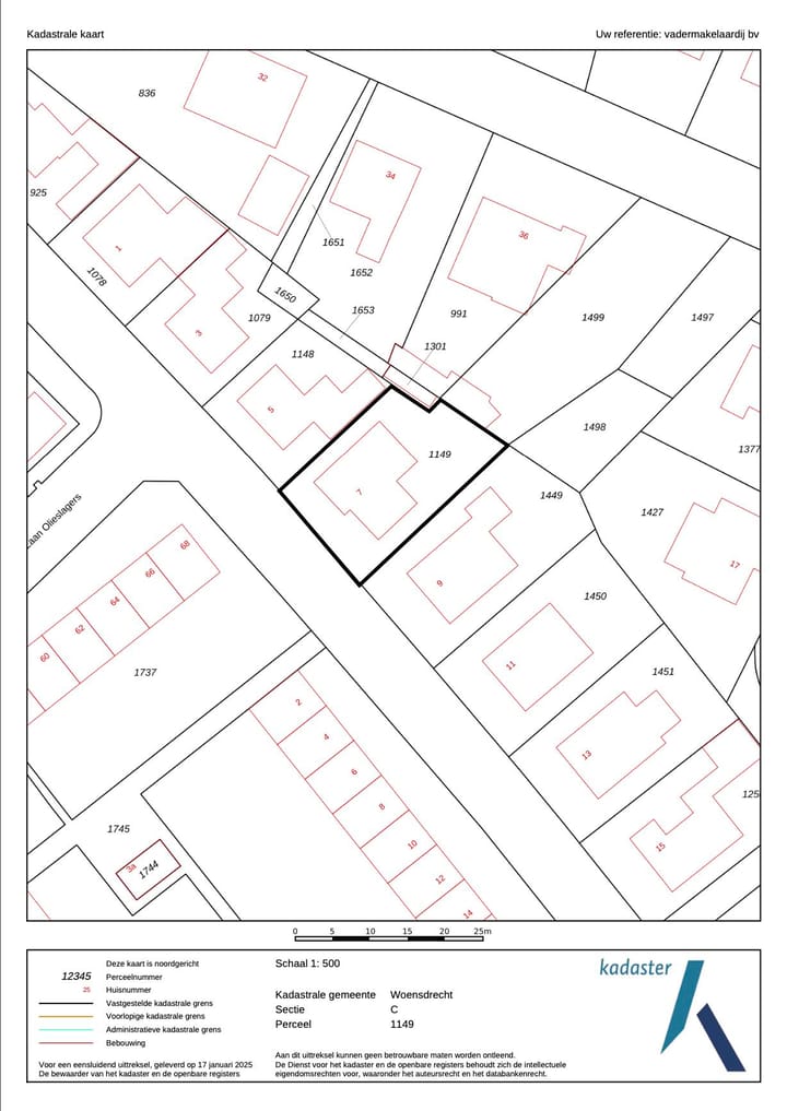
Kadastrale gegevens
- WOENSDRECHT C 1149
- Kadastrale kaart
- Oppervlakte
- 412 m²
- Eigendomssituatie
- Volle eigendom
Buitenruimte
- Ligging
- In woonwijk
- Tuin
- Tuin rondom
Garage
- Soort garage
- Vrijstaande stenen garage
- Capaciteit
- 1 auto
- Voorzieningen
- Vliering, elektra en stromend water
Parkeergelegenheid
- Soort parkeergelegenheid
- Op eigen terrein
Foto's 45
© 2001-2025 funda












































