Verkoopgeschiedenis
- Aangeboden sinds
- 6 juni 2024
- Verkoopdatum
- 17 juli 2025
- Looptijd
- 13 maanden
Omschrijving
HET VRIJE WONEN - kavel 2
Twee bouw/bospercelen tussen Leusderheide en Landgoed Den Treek-Henschoten ter hoogte van Doornseweg 20 te Leusden. Een buitengewoon fraaie plek, omringd door, bossen, heide en verschillende natuurgebieden is het hier zeer goed toeven. Een prachtige plek in het groen, midden in het land en Amersfoort op fietsafstand.
Het vrijstaande droomhuis dat u zelf geheel naar wens kunt bouwen op een kavel van circa 2.700 m² en met u meedroomt. Groen en natuur zo dichtbij met alle comfort van uw eigen ontworpen huis.
Gelegen aan de provinciale weg (N227) tussen Amersfoort en Doorn in buurtschap Waterloo; voor u vrij uitzicht over de Leusderheide en achter loopt u, eventueel met hond of paard zo het uitgestrekte bosgebied van Landgoed Den Treek-Henschoten in.
Elke kavel meet circa 2.700 m² waarvan aan de achterzijde 1.500 m² bestemd voor uw eigen bostuin (bestemming natuur). Het groene, vrije wonen (huis tot 1.000 m³, bijgebouw(en) 10x15 m) begint al bij de keuzevrijheid van architect en aannemer. De vooronderzoeken zijn allemaal afgerond en de vergunning is reeds verleend.
De nieuw te realiseren vrijstaande woningen mogen conform het bestemmingsplan worden gerealiseerd en dienen o.a. te voldoen diverse regels zoals opgenomen in het bestemmingsplan.
• De kavel kan vrij van architect- en aannemers-verplichtingen worden verworven;
• Het toekomstige bouwplan dient te worden goedgekeurd door de daartoe bevoegde instanties rekening houdend met het bestemmingsplan en de voorschriften.
• Kopers dienen bij de realisatie van de woning rekening te houden met eventuele flora en fauna richtlijnen.
Tot slot woont u midden in de natuur en toch zo centraal in ons land, op een goed bereikbare locatie met het gemak van snelle auto- en treinverbindingen. Met op 15 fietsminuten alle voorzieningen, winkels, scholen, sport en de gezelligheid van het verrassende, veelzijdige monumentale Amersfoort.
Advertentie
Kenmerken
Overdracht
- Laatste vraagprijs
- € 710.000 kosten koper
- Status
- Verkocht
Bouw
- Soort object
- Bouwgrond
- Bouwrijp
- Nee
Indeling
- Perceel
- 2.700 m²
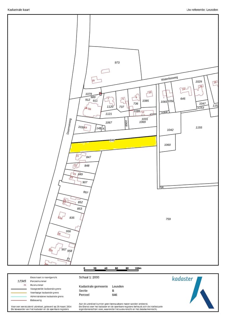
Kadastrale gegevens
- LEUSDEN D 846
- Kadastrale kaart
- Oppervlakte
- 2.700 m² (deelperceel)
- Eigendomssituatie
- Volle eigendom
Buitenruimte
- Ligging
- Aan bosrand, aan drukke weg, in bosrijke omgeving, landelijk gelegen en vrij uitzicht
Populariteit
16.199x
Bekeken
231x
Bewaard
6-6-2024
Op Funda
Buurt
Buitengebied Leusden-Zuid
Leusden- Inwoners
- 875
- Gezin met kinderen
- 41%
Ontdek de buurt
Benieuwd naar het woningaanbod, bewoners en lokale makelaars?
Wil je dit huis niet vergeten?
Bewaar het als favoriet. Dan vind je ’m makkelijk terug en krijg je een seintje bij veranderingen.





