Dit huis op Funda: https://www.funda.nl/detail/koop/lochem/huis-poorters-janlaan-10/43109556/

Omschrijving
GELIJKVLOERS WONEN MET GARAGE
Charmante twee-onder-een-kap woning met royale stenen, multifunctionele garage en sfeervolle veranda. Begin 20e eeuw gebouwd en recent (behoudens het keukenraam) compleet voorzien van kunststof kozijnen en HR++ beglazing. Met een eenpersoonsslaap- en badkamer op de begane grond is gelijkvloers wonen direct mogelijk. De hoge plafonds geven een ruimtelijk gevoel, terwijl de grote ramen zorgen voor aangenaam daglicht en leuk uitzicht. Op de verdieping zijn nog twee (slaap)kamers. Het brede perceel heeft een ruime oprit voor meerdere auto's en beschikt over een vrije en overzichtelijke achtertuin. De overdekte veranda is de plek om te ontspannen.
Gelegen in een authentiek straatje nabij het stadscentrum van Lochem. De scholen, supermarkt en het bosrijke buitengebied zijn op loopafstand.
PERCEEL
De woning staat op een perceel van 190 m². Op de eigen oprit is voldoende ruimte om meerdere auto's te parkeren. Achter op het perceel bevinden zich een vrijstaande garage en een gezellige veranda. De garage heeft onderhoudsvrije kunststof deuren, een handige tuindeur, elektra en extra bergruimte op zolder. De veranda is voorzien van elektra. De onderhoudsvriendelijke achtertuin biedt volop privacy en ruimte om in alle rust te genieten.
INDELING
Onderverdieping: vanuit keuken te bereiken provisiekelder.
Begane grond: Hal. L-vormige woonkamer met parketvloer. Woonkeuken met 4-pits gaskookplaat, oven, afzuigkap, tuindeur en trap naar de verdieping. Eenpersoonsslaapkamer met laminaatvloer en vaste kast. Ruime badkamer (2016) met ligbad, douche, wastafelmeubel, wandcloset, wasmachineaansluiting en vloerverwarming.
1e Verdieping: Overloop. Twee slaapkamers met dakkapel. Derde slaapkamer mogelijk. De verdieping is voorzien van een laminaat vloer.
KENMERKEN
Bouwjaar: 1911. Perceel: 190 m². Inhoud: ca. 460 m³. Woonoppervlakte: ca. 81 m². Verwarming: Nefit HR-CV ketel (2016). HR++ glas. Energielabel F. Bijzonderheden: Asbest (beperkt) aanwezig.
Kenmerken
Overdracht
- Laatste vraagprijs
- € 325.000 kosten koper
- Vraagprijs per m²
- € 4.012
- Status
- Verkocht
Bouw
- Soort woonhuis
- Eengezinswoning, 2-onder-1-kapwoning
- Soort bouw
- Bestaande bouw
- Bouwjaar
- 1911
- Specifiek
- Gestoffeerd
- Soort dak
- Zadeldak bedekt met pannen
Oppervlakten en inhoud
- Gebruiksoppervlakten
- Wonen
- 81 m²
- Overige inpandige ruimte
- 37 m²
- Perceel
- 190 m²
- Inhoud
- 460 m³
Indeling
- Aantal kamers
- 7 kamers (3 slaapkamers)
- Aantal badkamers
- 1 badkamer
- Badkamervoorzieningen
- Douche, ligbad, vloerverwarming, en wastafelmeubel
- Aantal woonlagen
- 2 woonlagen, een zolder, en een kelder
- Voorzieningen
- Glasvezelkabel en rookkanaal
Energie
- Energielabel
- Verwarming
- Cv-ketel
- Warm water
- Cv-ketel
- Cv-ketel
- Nefit (gas gestookt combiketel uit 2016, eigendom)
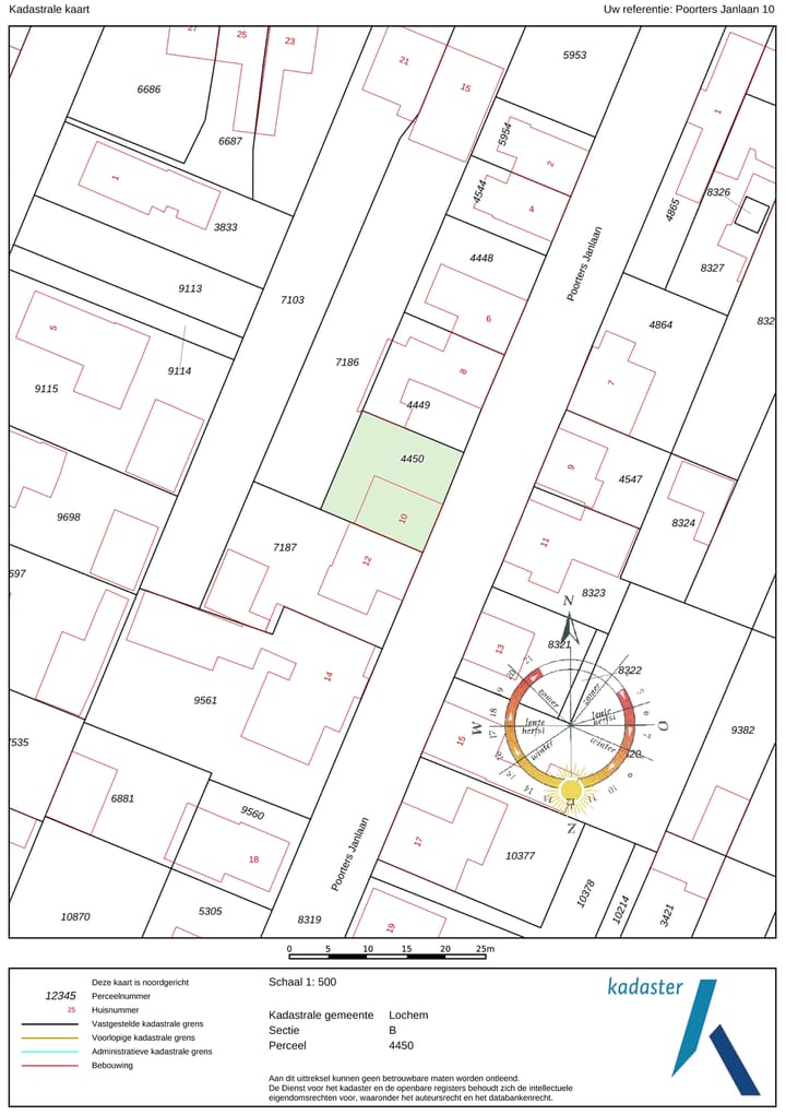
Kadastrale gegevens
- LOCHEM B 4450
- Kadastrale kaart
- Oppervlakte
- 190 m²
- Eigendomssituatie
- Volle eigendom
Buitenruimte
- Tuin
- Achtertuin en zijtuin
- Achtertuin
- 43 m² (9,37 meter diep en 4,57 meter breed)
- Ligging tuin
- Gelegen op het noordwesten
Bergruimte
- Schuur/berging
- Vrijstaande houten berging
- Voorzieningen
- Elektra
- Isolatie
- Geen isolatie
Garage
- Soort garage
- Vrijstaande stenen garage
- Capaciteit
- 1 auto
- Voorzieningen
- Vliering en elektra
- Isolatie
- Geen isolatie
Parkeergelegenheid
- Soort parkeergelegenheid
- Op eigen terrein
Foto's 23
© 2001-2026 funda






















