Dit huis op Funda: https://www.funda.nl/detail/koop/lottum/huis-opperdonkseweg-8-a/43114680/

Opperdonkseweg 8-A5973 NC LottumVerspreide huizen Lottum
€ 685.000 k.k.
Omschrijving
Karakteristieke eindwoning (gemeentelijk monument) met royale tuin, zwembad en levensloopbestendige indeling – ideaal voor B&B
In het geliefde rozendorp Lottum bieden wij deze unieke eindwoning aan, gelegen in een voormalig gedeelte van een care boerderij en aangewezen als gemeentelijk monument. De woning combineert karakteristieke details met modern wooncomfort, en biedt volop mogelijkheden voor bed & breakfast, mantelzorg of dubbele bewoning.
De woning ligt op een perceel van maar liefst 1.773 m², beschikt over een recent aangelegd en verwarmd zwembad, meerdere terrassen en een prachtige grote tuin met veel privacy. Daarnaast zijn er drie parkeerplaatsen (waarvan twee overdekt), twee schuurtjes en een teeltkast aanwezig.
Indeling
Begane grond
Entree met toilet. Sfeervolle woonkamer met tegelvloer, open haard en toegang tot de tuin. Open keuken met uitgebreide inbouwapparatuur: 5-pits gasfornuis, drie ovens, vaatwasser, koelkast met vriesvak en afzuigkap. Grote bijkeuken met witgoedaansluitingen. Verder een royale slaapkamer met aangrenzende badkamer voorzien van ligbad en dubbele wastafel. De slaapkamer grenst aan een binnenplaats met schuurtje.Op slaapkamer na is de gehele begane grond uitgerust met vloerverwarming. Vanuit de woonkamer bereikt u het overdekte terras met uitzicht op de tuin en het zwembad.
Eerste verdieping
Twee ruime en gezellige slaapkamers, beide met een eigen badkamer. Daarnaast een sfeervolle woonruimte met luxe keuken, voorzien van vaatwasser, combimagnetron, koelkast met vrieskasten, inductiekookplaat en afzuigkap. De verdieping beschikt over een eigen meterkast en een eigen CV-installatie (Remeha 2022). In de bergkast bevindt zich een extra witgoedaansluiting. Grote zolderkamer.
Bijzonderheden
• Gemeentelijk monument met karakter en sfeer
• Groot perceel van 1.773 m²
• Recent aangelegd zwembad, verwarmd met 4 zonnepanelen (speciaal voor zwembad) en filter met glaskorrels en uv licht.
• Levensloopbestendig wonen mogelijk
• Ideaal geschikt voor B&B of dubbele bewoning
• 3 parkeerplaatsen, waarvan 2 overdekt
• 2 schuurtjes en teeltkastje aanwezig
• Begane grond volledig voorzien van vloerverwarming
• Twee zelfstandige wooneenheden mogelijk dankzij dubbele voorzieningen
• Isolatie van dak. Dubbele beglazing in hardhouten kozijnen.
Bouwjaar ca 1900
Woonoppervlak 189m2. Gebouwgebonden buitenruimte 46 m2. Externe bergruimte 22 m2. Inhoud 714 m3.
Aanvaarding in overleg.
Kenmerken
Overdracht
- Aangeboden sinds
- Aanvaarding
- In overleg
- Vraagprijs
- € 685.000 kosten koper
- Vraagprijs per m²
- € 3.624
- Status
- Beschikbaar
Bouw
- Soort woonhuis
- Eengezinswoning, eindwoning
- Soort bouw
- Bestaande bouw
- Bouwjaar
- 1900
- Soort dak
- Samengesteld dak bedekt met pannen
Oppervlakten en inhoud
- Gebruiksoppervlakten
- Wonen
- 189 m²
- Gebouwgebonden buitenruimte
- 46 m²
- Externe bergruimte
- 22 m²
- Perceel
- 1.737 m²
- Inhoud
- 714 m³
Indeling
- Aantal kamers
- 5 kamers (3 slaapkamers)
- Aantal badkamers
- 3 badkamers en 1 apart toilet
- Badkamervoorzieningen
- Ligbad, 2 douches, en 2 toiletten
- Aantal woonlagen
- 3 woonlagen
Energie
- Energielabel
- D
- Isolatie
- Dakisolatie en dubbel glas
- Verwarming
- Cv-ketel
- Warm water
- Cv-ketel
- Cv-ketel
- Gas gestookt combiketel uit 2022, eigendom
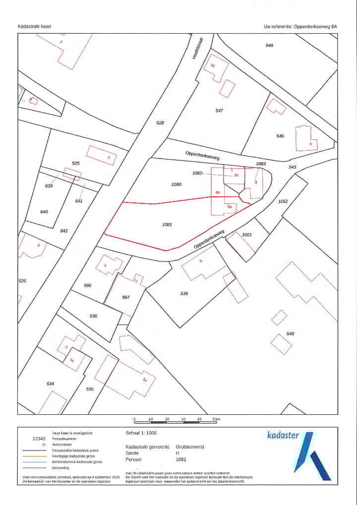
Kadastrale gegevens
- GRUBBENVORST H 1081
- Kadastrale kaart
- Oppervlakte
- 1.737 m²
- Eigendomssituatie
- Volle eigendom
- GRUBBENVORST H 1066
- Kadastrale kaart
- Eigendomssituatie
- Volle eigendom
- GRUBBENVORST H 1066
- Kadastrale kaart
- Eigendomssituatie
- Volle eigendom
- GRUBBENVORST H 1066
- Kadastrale kaart
- Eigendomssituatie
- Volle eigendom
Buitenruimte
- Ligging
- In bosrijke omgeving en landelijk gelegen
- Tuin
- Achtertuin en voortuin
- Achtertuin
- 1.450 m² (60,00 meter diep en 26,00 meter breed)
- Ligging tuin
- Gelegen op het westen bereikbaar via achterom
Garage
- Soort garage
- Parkeerplaats
Foto's 46
© 2001-2025 funda













































