
Bouwkavel Carolus Simplexplein Netersel5534 AK NeterselNetersel
€ 400.000 k.k.
Omschrijving
Ruime bouwkavel van maar liefst 3.405 m2 voor de bouw van één vrijstaande woning met bijgebouw in het centrum van Netersel. Het perceel heeft een straatbreedte 23 m1 en een diepte van maar liefst 125 m1. De kavel is bijzonder goed gelegen met een weide aan de achterzijde met uitzicht over de landerijen.
Bijzonderheden
- Bestemd voor de bouw van één vrijstaande woning, dat met de uiteindelijke bebouwing aangesloten zal worden op de ‘algemene kenmerken van de bestaande bebouwing in de omgeving’. De woning mag uitgevoerd worden in 1,5 tot 2 bouwlagen.
- Het bouwvlak is 9 meter breed en 10,5 meter diep.
- De gezamenlijke oppervlakte aan bijgebouwen buiten het bouwwerk bedraagt maximaal 115 m2.
- Er dient minimaal 20% groen te worden ingepast en er wordt voldaan aan het 'basispakket Woonkeur'.
- Er is een strook aanwezig, met een breedte tussen de 7.30m1 en 10.00 m1 (zie bijgevoegde schets) waar niet gebouwd mag worden en er mag geen opgaande beplanting in worden geplant i.v.m. een onderliggend riool.
- De achterzijde van de bouwkavel is een ideale weide voor bijvoorbeeld het hobbymatig houden van dieren. Dit gedeelte heeft een oppervlakte van ca. 2.200 m2.
- Informeer voor exacte bouwmogelijkheden bij uw architect.
Kenmerken
Overdracht
- Aangeboden sinds
- Aanvaarding
- In overleg
- Vraagprijs
- € 400.000 kosten koper
- Status
- Beschikbaar
Bouw
- Soort object
- Bouwgrond
- Bouwrijp
- Nee
Indeling
- Perceel
- 3.405 m²
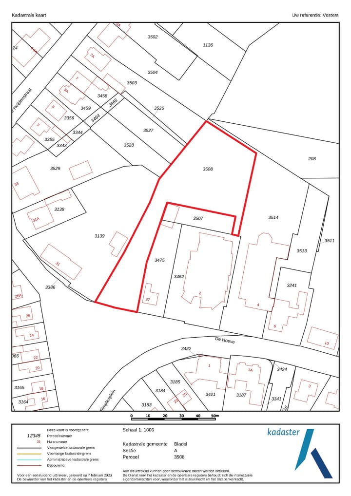
Kadastrale gegevens
- BLADEL A 3508
- Kadastrale kaart
- Oppervlakte
- 3.405 m²
- Eigendomssituatie
- Volle eigendom
Buitenruimte
- Ligging
- In centrum, landelijk gelegen en vrij uitzicht
Foto's 16
© 2001-2025 funda















