Dit huis op Funda: https://www.funda.nl/detail/koop/obdam/huis-dorpsstraat-10/89640915/

Dorpsstraat 101713 HJ ObdamObdam Verspreide huizen Oost
€ 300.000 k.k.
Open Huis
- Vrijdag 19 december van 14:00 tot 16:00
Omschrijving
GEZOCHT DE ECHTE KLUSSER VOOR EEN RUIM OPGEZETTE WONING MET PRACHTIG VRIJ UITZICHT OVER DE WEILANDEN EN ZEER VEEL POTENTIE. Deze woning is een echte opknapper en biedt volop mogelijkheden voor wie niet terugdeinst voor een grondige renovatie. Gelegen op een unieke locatie met vrij uitzicht over de weilanden, vormt dit huis de perfecte basis om geheel naar eigen smaak en wensen te moderniseren. Op de begane grond bevindt zich een ruime woonkamer met grote raampartijen, die zorgen voor veel lichtinval en een prachtig uitzicht over de weilanden. Daarnaast is er een extra werk of hobbykamer aanwezig. Via de enkele deur in de keuken bereik je een extra opslagruimte, die op haar beurt toegang geeft tot de royale achtertuin. De wilde achtertuin is bijzonder ruim en biedt een prachtig uitzicht over de weilanden, waar in de verte de schaapjes rustig grazen. Via de tuin bereik je de grote garage van circa 65 m², voorzien van openslaande deuren naar de oprit. Op de 1e verdieping zijn drie slaapkamers, een ruime overloop en een badkamer aanwezig. Vanuit de badkamer heb je toegang tot een extra ruimte van maar wederom liefst circa 65 m². Wat deze woning nog meer mogelijkheden geeft. Ben je al geïnteresseerd? Je kunt telefonisch contact met ons op nemen of een mail sturen voor het maken van een bezichtigingsafspraak.
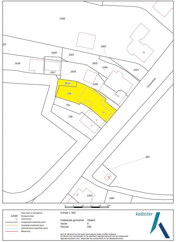
Perceel
Perceeloppervlakte : Het perceel heeft een totale oppervlakte van circa 400 m² eigen grond, bestaande uit 380 m² en een aanvullend perceel van 50 m². Voor de overdracht van de woning wordt aan de voorzijde van het perceel een gedeelte van circa 30 m² afgesplitst en verkocht, waardoor de uiteindelijke perceelgrootte na overdracht circa 400 m² eigen grond bedraagt.
INDELING WONING:
Begane grond: Entree/hal met toegang tot het toilet en de werk/hobbykamer. Vanuit de hal kom je in de ruime doorzon woonkamer met grote raampartijen aan zowel de voor als achterzijde, wat zorgt voor veel lichtinval en een vrij uitzicht over de weilanden. De woonkamer heeft een afmeting van 8,96 x 3,59 meter en staat in open verbinding met de keuken aan de achterzijde. De eenvoudige keuken biedt toegang tot een extra opslagruimte en tot de achtertuin. Aansluitend bevindt zich een extra opslag van 2,09 x 3,59 meter.
1e verdieping: Via de overloop bereik je 3 slaapkamers, de badkamer en diverse bergruimtes. Aan de voorzijde bevinden zich twee slaapkamers, waarvan slaapkamer 1 een afmeting heeft van circa 3,15 x 2,70 meter en slaapkamer 2 circa 3,15 x 3,12 meter meet. Aan de achterzijde ligt slaapkamer 3 met een afmeting van circa 3,14 x 2,36 meter. De centraal gelegen badkamer is bereikbaar vanaf de overloop en is voorzien van een 2e toilet, aparte douche, ligbad en wastafel. De badkamer geeft toegang tot een zeer royale extra opslagruimte/werkruimte boven de garage van 11,50 x 5,64 meter met een hoogte van circa 2,49 meter. Deze ruimte is ideaal geschikt voor opslag en biedt tevens volop mogelijkheden voor toekomstig gebruik.
Achtertuin: De achtertuin is zeer wild en royaal van opzet en biedt een vrij en landelijk uitzicht over de achtergelegen weilanden. Dankzij het ontbreken van directe achterburen geniet je hier van veel privacy en rust, met een prachtig groen decor en in de verte grazende schaapjes.
De tuin is de laatste jaren niet onderhouden en kan je dus volledig naar eigen wens opnieuw in te richten. Er is volop ruimte voor meerdere zitplekken, groenvoorziening of het creëren van een echte buitenleefomgeving. Vanuit de tuin heb je toegang tot de veranda, de extra opslagruimte en de royale garage, wat de tuin functioneel en praktisch maakt. Een unieke buitenruimte voor liefhebbers van vrijheid, ruimte en het buitenleven, met alle mogelijkheden om hier iets moois van te maken.
Garage: De royale garage is bereikbaar via de achtertuin en via de oprit middels openslaande deuren. De garage heeft een afmeting van circa 11,50 x 5,64 meter en biedt daarmee volop ruimte voor het stallen van meerdere voertuigen, opslag of het realiseren van een werk of hobbyruimte. Dankzij de ruime maatvoering en de praktische indeling is de garage veelzijdig te gebruiken.
Verwarming
HR Intergas (2012), eigendom
Aanvaarding
In overleg. Kan op korte termijn.
‘As is where is’
Koper aanvaardt het verkochte in de staat waarin het zich ten tijde van de levering bevindt (“as is, where is”), met alle daarbij behorende zichtbare en onzichtbare gebreken, lasten en beperkingen. Verkoper geeft geen garanties ten aanzien van de bouwkundige staat, installaties, voorzieningen of geschiktheid voor een bepaald gebruik. Eventuele risico’s die voortvloeien uit de huidige staat van het verkochte komen volledig voor rekening en risico van koper.
Ouderdomsclausule
Koper verklaart ermee bekend te zijn dat de onroerende zaak meer dan 95 jaar oud is, hetgeen betekent dat de eisen die aan de bouwkwaliteit gesteld mogen worden anders kunnen liggen dan bij nieuwere objecten. Eventuele bouwkundige kwaliteitsgebreken worden geacht niet belemmerend te werken op hetgeen in artikel 6.3 van de koopakte zal worden vermeld.
Bezichtiging
**OPEN HUIS** Je bent welkom tijdens het open huis op vrijdag 19 december tussen 14:00 en 16:00 uur. Als je gebruik wil maken van dit open huis vragen wij je om je naam, telefoonnummer en emailadres aan ons te mailen. Wij maken dan een move-account voor je aan.
Bieding
Mocht je interesse hebben in deze woning dan verzoeken wij je jouw bieding uitsluitend te doen via je account op Move.nl. Het gehele biedingsproces verloopt via Jim Tesselaar, RM/RT.
Kenmerken
Overdracht
- Aangeboden sinds
- Aanvaarding
- In overleg
- Vraagprijs
- € 300.000 kosten koper
- Vraagprijs per m²
- € 1.714
- Status
- Beschikbaar
Bouw
- Soort woonhuis
- Eengezinswoning, hoekwoning
- Soort bouw
- Bestaande bouw
- Bouwjaar
- 1930
- Specifiek
- Kluswoning
- Soort dak
- Plat dak bedekt met bitumineuze dakbedekking en pannen
Oppervlakten en inhoud
- Gebruiksoppervlakten
- Wonen
- 175 m²
- Overige inpandige ruimte
- 65 m²
- Perceel
- 430 m²
- Inhoud
- 710 m³
Indeling
- Aantal kamers
- 5 kamers (3 slaapkamers)
- Aantal badkamers
- 1 badkamer en 1 apart toilet
- Badkamervoorzieningen
- Douche, ligbad, toilet, en wastafel
- Aantal woonlagen
- 2 woonlagen
- Voorzieningen
- Dakraam, natuurlijke ventilatie, en rookkanaal
Energie
- Energielabel
- G
- Verwarming
- Cv-ketel en houtkachel
- Warm water
- Cv-ketel
- Cv-ketel
- HR Intergas (gas gestookt combiketel uit 2012, eigendom)
Kadastrale gegevens
- OBDAM E 236
- Kadastrale kaart
- Oppervlakte
- 380 m²
- Eigendomssituatie
- Volle eigendom
- OBDAM E 1615
- Kadastrale kaart
- Oppervlakte
- 50 m²
- Eigendomssituatie
- Volle eigendom
Buitenruimte
- Ligging
- Aan rustige weg, landelijk gelegen, open ligging en vrij uitzicht
- Tuin
- Achtertuin en voortuin
- Achtertuin
- 180 m² (15,00 meter diep en 12,00 meter breed)
- Ligging tuin
- Gelegen op het westen bereikbaar via achterom
Bergruimte
- Schuur/berging
- Vrijstaande houten berging
- Isolatie
- Geen isolatie
Garage
- Soort garage
- Aangebouwde stenen garage
- Capaciteit
- 2 auto's
- Voorzieningen
- Elektra
- Isolatie
- Geen isolatie
Parkeergelegenheid
- Soort parkeergelegenheid
- Op eigen terrein
Foto's 41
© 2001-2025 funda








































