Dit huis op Funda: https://www.funda.nl/detail/koop/putten/huis-poolseweg-27-136/43839881/

Omschrijving
Omgeven door landerijen en de prachtige Veluwse bossen, op het nette en keurig onderhouden recreatiepark “De Eyckenhoff” mogen wij u aanbieden dit goed onderhouden red cedar houten L-chalet op een perceel van 298 m² eigen grond. De woning is volledig instapklaar, uitstekend onderhouden en recent voorzien van diverse vernieuwingen. Met een nieuwe cv-ketel (2024), een geïsoleerd dak uit 2023 en een vernieuwde badkamer (2022) biedt dit chalet een zorgeloze woonervaring. De woning is recent geschilderd (2024) en beschikt over airconditioning die ook kan verwarmen. Dankzij de ruime tuin, het zonnige terras en een parkeerplaats voor twee auto's op eigen terrein is dit de ideale plek om te genieten van rust, ruimte en comfort.
Indeling: Bij binnenkomst ervaart u direct de ruimtelijke en lichte sfeer. De woonkamer is voorzien van een grote erker en openslaande tuindeuren, die zorgen voor veel daglicht en een naadloze overgang naar het terras. De airco biedt in de zomer verkoeling en in de winter extra warmte. De halfopen keuken is van alle gemakken voorzien en beschikt over een 4-pits gaskookplaat, afzuigkap, combimagnetron, koel-vriescombinatie, vaatwasser en ruime kastruimte. De aangrenzende eethoek maakt het een gezellige en functionele ruimte. De woning beschikt over twee comfortabele slaapkamers, beide uitgerust met een royale spiegelkastenwand, waardoor er veel opbergruimte is en de kamers extra ruimtelijk ogen. De badkamer is modern en netjes afgewerkt (2022) en beschikt over een douchecabine, wastafelmeubel en toilet.
De tuin is fraai aangelegd met een combinatie van bestrating en groen, waardoor er een mooie balans is tussen rust en natuur. Er is volop terrasruimte om in de zomer heerlijk buiten te zitten en te genieten van de zon. De tuin biedt veel privacy en is perfect om te ontspannen of gezellig samen te zijn. Daarnaast is er een houten berging aanwezig voor extra opslagruimte.
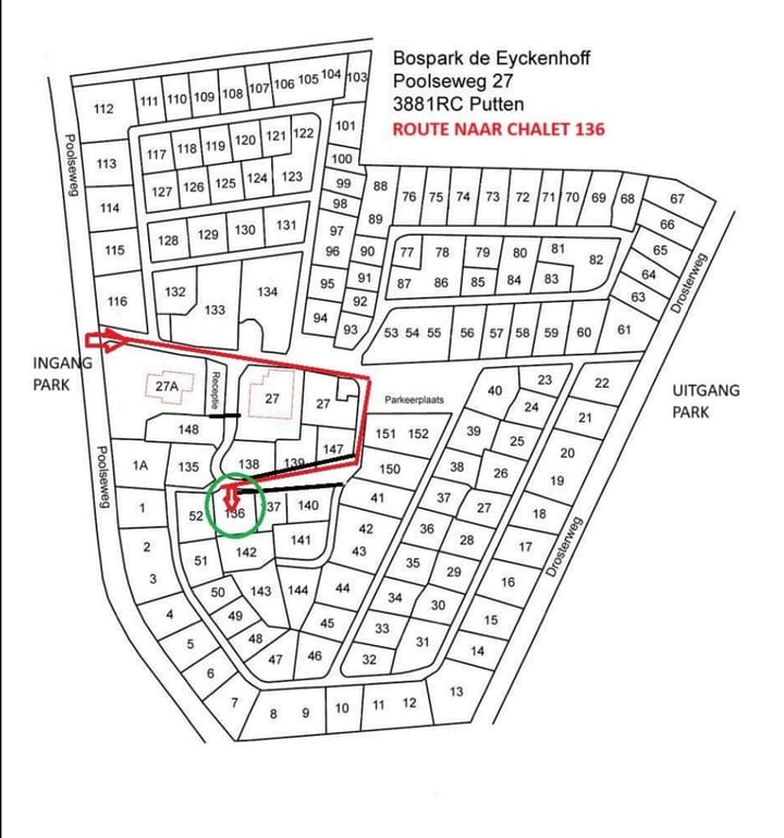
Plattegrond van het park is te vinden onder het kopje 'overige media'.
Kenmerken
• perceeloppervlakte 298 m² eigen grond
• parkkosten € 1.197.68,- per jaar
• 2 slaapkamers
• houten tuinhuis
• inclusief complete inventaris (behoudens persoonlijke zaken)
• airconditioning die ook kan verwarmen
• cv-ketel (2024)
• buitenzijde geschilderd (2024)
• nieuw geïsoleerd dak (2023)
• eigen parkeerplaats voor 2 auto's
• (recreatief) verhuur toegestaan
• permanente bewoning niet toegestaan
Bent u op zoek naar een kant-en-klare recreatiewoning in een prachtige, groene omgeving? Neem dan snel contact met ons op voor een bezichtiging!
Kenmerken
Overdracht
- Laatste vraagprijs
- € 149.500 kosten koper
- Status
- Verkocht
- Permanente bewoning
- Permanente bewoning is niet toegestaan
Bouw
- Soort woonhuis
- Eengezinswoning, vrijstaande woning
- Soort bouw
- Bestaande bouw
- Bouwjaar
- 2001
Oppervlakten en inhoud
- Gebruiksoppervlakten
- Wonen
- 55 m²
- Externe bergruimte
- 6 m²
- Perceel
- 298 m²
- Inhoud
- 165 m³
Indeling
- Aantal kamers
- 3 kamers (2 slaapkamers)
- Aantal badkamers
- 1 badkamer
- Badkamervoorzieningen
- Douche, toilet, en wastafelmeubel
- Aantal woonlagen
- 1 woonlaag
- Voorzieningen
- Airconditioning, mechanische ventilatie, en schuifpui
Energie
- Energielabel
- Niet beschikbaar
- Isolatie
- Dubbel glas en volledig geïsoleerd
- Verwarming
- Cv-ketel
- Warm water
- Cv-ketel
- Cv-ketel
- Intergas (gas gestookt uit 2024, eigendom)
Kadastrale gegevens
- PUTTEN E 1350
- Kadastrale kaart
- Oppervlakte
- 298 m²
- Eigendomssituatie
- Volle eigendom
Buitenruimte
- Ligging
- Aan park, aan rustige weg, in bosrijke omgeving en in recreatiepark
- Tuin
- Tuin rondom
Bergruimte
- Schuur/berging
- Vrijstaande houten berging
Parkeergelegenheid
- Soort parkeergelegenheid
- Op eigen terrein
Foto's 19
© 2001-2026 funda


















