Dit huis op Funda: https://www.funda.nl/detail/koop/raalte/huis-enkstraat-53/43765053/

Omschrijving
Instapklare twee-onder-een-kap woning met multifunctioneel bijgebouw op ruim perceel van 525 m²!
Ontdek deze goed onderhouden woning, gelegen op een ideale locatie aan de karakteristieke Enkstraat, nabij het "Overijssels Kanaal" en het centrum van Raalte. Deze woning uit 1960 is voorzien van modern wooncomfort, onder andere dankzij de kunststof kozijnen met HR++ glas, zonnepanelen en een ruime carport. Het royale bijgebouw biedt talloze mogelijkheden voor werk, hobby of opslag. Een unieke kans voor wie op zoek is naar een instapklare woning met volop ruimte en potentie!
Royaal multifunctioneel bijgebouw
Wat deze woning echt bijzonder maakt, is het ruime geïsoleerde bijgebouw (2019) van maar liefst 93 m², inclusief een handige vliering voor extra opbergruimte. Deze ruimte met lichtkoepel is ideaal voor uiteenlopende doeleinden: als werkruimte, opslag of hobbyruimte. In de vloer is een goot verwerkt en via de openslaande houten deuren is de ruimte toegankelijk voor auto’s. Of je nu een kantoor aan huis wilt, een praktijkruimte zoekt, graag sleutelt aan auto’s of gewoon extra ruimte nodig hebt, deze woning biedt de flexibiliteit die je zoekt.
Sfeervolle woonkamer met veel licht
Bij binnenkomst in de woning betreed je de hal met kastruimte, toegang tot de eerste verdieping en door gang naar de woonkamer. Het zitgedeelte aan de voorzijde van de woning heeft grote raampartijen in de erker, waardoor de ruimte wordt gevuld met natuurlijk licht. De eetkamer aan de achterzijde grenst aan de moderne, open keuken, die volledig is uitgerust met complete inbouwapparatuur, zoals een 5-pits gaskookplaat, afzuigkap, oven, koffiemachine, koelkast, vaatwasser en combi-magnetron. Via het achterportaal bereik je de wasruimte, toiletruimte en de opstelling van de Nefit-combiketel.
Verzorgde eerste verdieping
Op de eerste verdieping bevinden zich drie keurig afgewerkte slaapkamers en een moderne badkamer, compleet met douche, toilet en wastafel. De strakke afwerking en hedendaagse uitstraling maken de badkamer direct gebruiksklaar. Een vlizotrap biedt toegang tot de ruime bergzolder.
Riante tuin en extra voorzieningen
De diepe en nette ingerichte achtertuin van ca. 30 meter biedt volledige privacy en is perfect om te genieten van de buitenlucht. Achterin de tuin staat het royale bijgebouw met aangrenzende Douglas houten overkapping, ideaal voor lange zomerdagen of als extra buitenruimte.
Duurzaam wonen
Met energielabel C is deze woning al relatief energiezuinig. 3 jaar geleden is het volledige dak vervangen, geïsoleerd en voorzien van 8 zonnepanelen. Er zijn nog volop mogelijkheden om de woning verder te verduurzamen, maar de huidige basis zorgt al voor een efficiënte energiehuishouding.
Kenmerken op een rij:
- Grotendeels kunststof kozijnen met HR++ glas;
- Schilderwerk recentelijk gedaan;
- Rolluiken op de eerste verdieping aan zowel voor- als achterzijde;
- Diepe, privacyvolle tuin;
- Royaal bijgebouw van 93 m²;
- 8 zonnepanelen op een nieuw geïsoleerd dak;
- Perceel van 525 m²;
Deze woning heeft een eigen website: enkstraat53.nl
Kenmerken
Overdracht
- Laatste vraagprijs
- € 519.000 kosten koper
- Vraagprijs per m²
- € 5.242
- Status
- Verkocht
Bouw
- Soort woonhuis
- Eengezinswoning, 2-onder-1-kapwoning
- Soort bouw
- Bestaande bouw
- Bouwjaar
- 1960
- Soort dak
- Zadeldak bedekt met pannen
Oppervlakten en inhoud
- Gebruiksoppervlakten
- Wonen
- 99 m²
- Overige inpandige ruimte
- 5 m²
- Gebouwgebonden buitenruimte
- 20 m²
- Externe bergruimte
- 93 m²
- Perceel
- 525 m²
- Inhoud
- 396 m³
Indeling
- Aantal kamers
- 4 kamers (3 slaapkamers)
- Aantal badkamers
- 1 badkamer en 1 apart toilet
- Badkamervoorzieningen
- Douche, toilet, wastafel, en wastafelmeubel
- Aantal woonlagen
- 2 woonlagen en een zolder
- Voorzieningen
- Natuurlijke ventilatie en zonnepanelen
Energie
- Energielabel
- C
- Isolatie
- Dakisolatie, dubbel glas en muurisolatie
- Verwarming
- Cv-ketel
- Warm water
- Cv-ketel
- Cv-ketel
- Nefit Topline (gas gestookt combiketel uit 2010, eigendom)
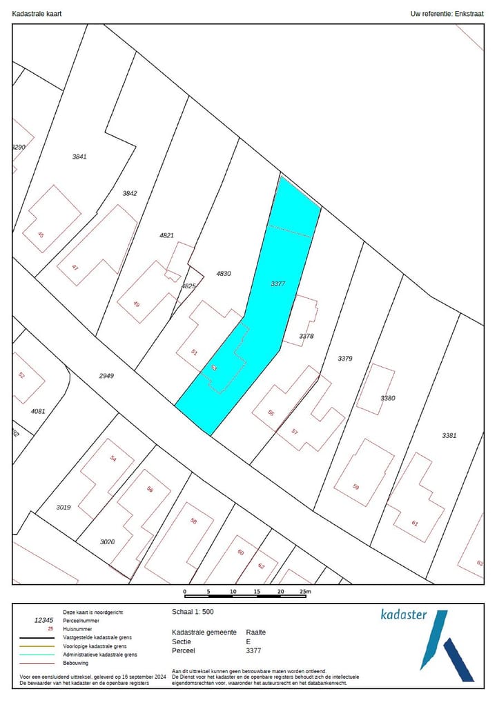
Kadastrale gegevens
- RAALTE E 3377
- Kadastrale kaart
- Oppervlakte
- 525 m²
- Eigendomssituatie
- Volle eigendom
Buitenruimte
- Ligging
- In woonwijk
- Tuin
- Achtertuin en voortuin
- Achtertuin
- 300 m² (30,00 meter diep en 10,00 meter breed)
- Ligging tuin
- Gelegen op het noordoosten bereikbaar via achterom
Garage
- Soort garage
- Carport en vrijstaande houten garage
- Capaciteit
- 1 auto
- Voorzieningen
- Elektra
Parkeergelegenheid
- Soort parkeergelegenheid
- Op eigen terrein
Foto's 45
© 2001-2025 funda












































