Dit huis op Funda: https://www.funda.nl/detail/koop/roden/huis-hofwijck-14/43921714/

Omschrijving
Laat u verrassen door de ruimte die deze woning u biedt met liefst 6 kamers. Op de begane grond een slaapkamer die ook benut kan worden als kantoor, maar eveneens bij de woonkamer/-keuken aangetrokken kan worden. Recent is de woning voorzien van een nieuwe inbouwkeuken, isolerende beglazing en na-isolatie van de spouwmuur en begane grondvloer. De vrijstaande garage is via de achterzijde van het perceel bereikbaar.
Begane grond: hal/entree, meterkast, toilet, slaapkamer, woonkamer met open keuken en bijkeuken.
1e Verdieping: overloop, badkamer en 3 slaapkamers waarvan 1 met dakterras.
2e Verdieping: stookruimte, bergruimte en slaapkamer.
Bijgebouw: stenen garage.
Bijzonderheden:
- bouwjaar 1976
- woonoppervlak 116 m²
- keuken 2024; inductie kookplaat met afzuiging, 1 spoelbak, vaatwasser en wijnklimaatkast. 2e blok voorzien van koelkast en combi oven/magnetron
- badkamer; vrijdragend toilet, douche en wastafelmeubel
- garage; 330*680 met elektrische deur, loopdeur en keldertje.
- cv ketel 2021 Remeha Avanta leaseketel
- zijgevel fundering verstevigd met nieuwe palen, 25 jaar garantie
- buitenschilderwerk 2024
- Energielabel C
- Mijnbouwschade afgekocht € 5.000,--
- SNN gebruikt voor na-isolatie spouwmuur en vloer begane grond
- aanvaarding in overleg
De woning ligt op fietsafstand van het centrum van Roden. Scholen, winkels en voorzieningen zijn daardoor goed bereikbaar. Vanuit Roden is er een hoogwaardige openbaar vervoer verbinding met de stad Groningen, binnen een half uur sta je op het centraal station.
Bent u nieuwsgierig geworden naar deze moderne hoekwoning? U bent welkom om te bezichtigingen, wij nemen rustig de tijd voor u. Het is verstandig om snel te reageren. Graag tot ziens!
Kenmerken
Overdracht
- Laatste vraagprijs
- € 369.000 kosten koper
- Vraagprijs per m²
- € 3.181
- Status
- Verkocht
Bouw
- Soort woonhuis
- Eengezinswoning, hoekwoning
- Soort bouw
- Bestaande bouw
- Bouwjaar
- 1976
- Specifiek
- Gestoffeerd
- Soort dak
- Zadeldak bedekt met pannen
Oppervlakten en inhoud
- Gebruiksoppervlakten
- Wonen
- 116 m²
- Gebouwgebonden buitenruimte
- 3 m²
- Externe bergruimte
- 22 m²
- Perceel
- 278 m²
- Inhoud
- 360 m³
Indeling
- Aantal kamers
- 6 kamers (5 slaapkamers)
- Aantal badkamers
- 1 badkamer en 1 apart toilet
- Badkamervoorzieningen
- Douche, toilet, en wastafelmeubel
- Aantal woonlagen
- 3 woonlagen
- Voorzieningen
- Dakraam, glasvezelkabel, en TV kabel
Energie
- Energielabel
- Isolatie
- Volledig geïsoleerd
- Verwarming
- Cv-ketel
- Warm water
- Cv-ketel
- Cv-ketel
- Remeha Avanta (gas gestookt combiketel uit 2021, lease)
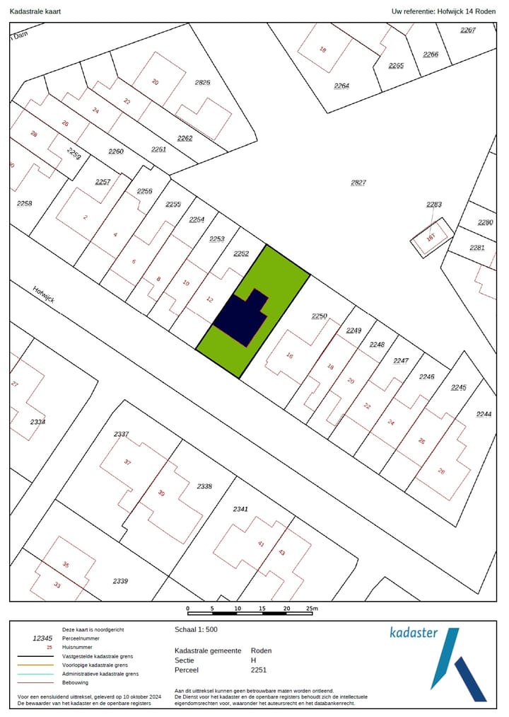
Kadastrale gegevens
- RODEN H 2251
- Kadastrale kaart
- Oppervlakte
- 278 m²
- Eigendomssituatie
- Volle eigendom
Buitenruimte
- Ligging
- Aan rustige weg en in woonwijk
- Tuin
- Achtertuin, voortuin en zijtuin
- Achtertuin
- 60 m² (8,00 meter diep en 7,50 meter breed)
- Ligging tuin
- Gelegen op het noordoosten bereikbaar via achterom
- Balkon/dakterras
- Dakterras aanwezig
Garage
- Soort garage
- Vrijstaande stenen garage
- Capaciteit
- 1 auto
- Voorzieningen
- Elektrische deur en elektra
- Isolatie
- Geen spouw
Parkeergelegenheid
- Soort parkeergelegenheid
- Openbaar parkeren
Foto's 40
© 2001-2026 funda







































