Dit huis op Funda: https://www.funda.nl/detail/koop/roermond/huis-roerzicht-4/43819634/

Omschrijving
ROERMOND, ROERZICHT 4
In de populaire wijk Roerzicht op uitstekende locatie ligt deze Charmante twee-onder-een kapwoning met (garage)-berging, sfeervolle patiotuin, royale living en aparte woon-/leefkeuken en 5 slaapkamers.
Deze royale woning met een woonoppervlakte van maar liefs 182m2 is ideaal gelegen in de binnenstad van Roermond op loopafstand van voorzieningen en het centrum van Roermond.
Tevens is de binnenstad van Roermond, het Retailpark en het Outletcentrum op korte afstand zeer snel te bereiken, welke voorzien in alle nodige voorzieningen.
Hetzelfde geldt voor de autosnelweg A73, die een prima ontsluiting geeft op de omliggende regio.
De woning dient gemoderniseerd te worden welke naar eigen wens en inzicht prima mogelijk is om het dan ook helemaal naar je eigen smaak in te richten !
Maak bij interesse snel een afspraak voor een bezichtiging !
INDELING
Kelder:
ruime provisikelder (ca. 7m2), C.V.-opstelling (H.R.- combiketel, Atag, bj. 2018, eigendom).
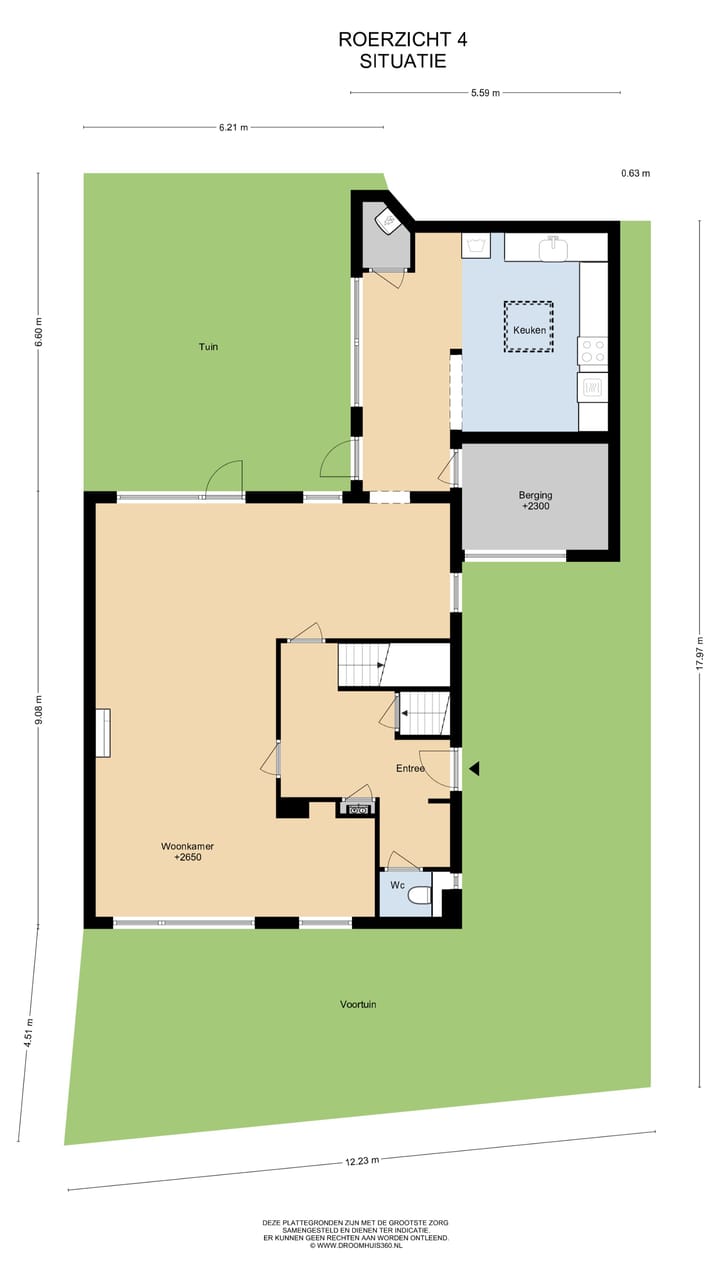
Begane grond:
Ruime entree/ hal voorzien van tegelvloer met standaard (wand) closet en trapopgang, ruime sfeervolle woonkamer (ca. 50m2) voorzien van parketvloer en met mooie schouw en open haardpartij, portaal, aparte ruime woon-/leefkeuken (ca. 21m2) met een witte nette keukenopstelling voorzien van inbouwapparatuur (inductie kooklplaat, vaatwasser, oven) met tevens wasmachine aansluitingen, toegang via portaal naar de (voormalige garage-/) berging met elektrische garagepoort.
Eerste verdieping:
Overloop met laminaatvloer; 4 ruime slaapkamers (waarvan 1 met balkon), allen voorzien van een wastafel, ruime nette badkamer met inloopdouche, vaste wastafel en wandcloset.
Tweede verdieping:
Via vaste trap naar overloop, ruime 5e slaapkamer, zolder-/slaapkamer, zolder-/berging.
Bijzonderheden:
- Bouwjaar 1960;
- Op uitstekende locatie in de populaire woonwijk Roerzicht gelegen op loopafstand van het centrum;
- Grotendeels voorzien van kunststof kozijnen inclusief isolerende beglazing (deels H.R.++), deels houten kozijnen enkel glas;
- Ruime sfeervolle woonkamer (ca. 50m2) met aparte woon-/leefkeuken (ca. 21m2);
- Voorzien van 5 slaapkamers en nog een zolder-/werkkamer;
- C.V.-opstelling (H.R.- Atag, bj. 2018, eigendom);
- Sfeervolle patiotuin;
- Woonoppervlakte: ca. 182 m2
- Perceelsoppervlakte: 195 m2
Vraagprijs: € 325.000,-- k.k.
Aanvaarding: in overleg.
VIRTUEEL RONDLOPEN IN 3D?
BEKIJK OOK DE WONINGPRESENTATIE DOOR ONDERSTAANDE LINK TE KOPIEEREN IN UW BROWSER
( OP FUNDA: ZIE DE LINK BIJ DE WONING OP ONZE WEBSITE virtuele tour laat zien hoe je van de ene kamer naar de hal loopt, de badkamer in.
Alsof jezelf in het huis bent en er doorheen wandelt !
Algemeen:
* Deze informatiebrochure is met zorg samengesteld. Aan eventuele fouten, onvolledige of onjuiste informatie kunnen echter geen rechten worden ontleend. De verkopend makelaar aanvaardt echter geen aansprakelijkheid wegens eventuele fouten en onjuistheden. De verstrekte informatie is indicatief. Een bezichtiging van de woning of onroerende zaak geeft de beste indruk en kijk op zaken. U krijgt de gelegenheid om de te koop staande onroerende zaak te bezichtigen, te beoordelen en te onderzoeken zodat u zich zelf kan overtuigen.
De verkopend makelaar aanvaardt echter geen aansprakelijkheid wegens eventuele fouten en onjuistheden. De verstrekte informatie is indicatief. Een bezichtiging van de woning of onroerende zaak geeft de beste indruk en kijk op zaken. U krijgt de gelegenheid om de te koop staande onroerende zaak te bezichtigen, te beoordelen en te onderzoeken zodat u zich zelf kan overtuigen.
- Deze verkoopinformatie is met de nodige zorgvuldigheid samengesteld. Hierbij zijn wij deels afhankelijk van informatie die wij van derden ontvangen. Aan onjuistheden en/of onvolkomenheden kunt u echter geen rechten ontlenen. Indien bepaalde informatie voor u van wezenlijk belang is dan adviseren wij u deze op juistheid te controleren. Onzerzijds wordt geen aansprakelijkheid aanvaardt voor enige onvolledigheid, onjuistheid of anderszins, dan wel de gevolgen daarvan. Alle opgegeven maten en oppervlakten zijn indicatief;
- Koper is te allen tijde gerechtigd om voor eigen rekening een bouwkundig onderzoek te (laten) verrichten, dan wel andere adviseurs te raadplegen teneinde een goed inzicht te verkrijgen in de staat van onderhoud of andere aspecten van de onroerende zaak. Koper dient bij het doen van een bod wel direct aan te geven of hij een dergelijk onderzoek wenst;
- De waarborgsom/bankgarantie is 10% van de koopsom. De koper dient deze 1 week na het vervallen van de ontbindende voorwaarden bij de desbetreffende notaris te deponeren;
- Ter bescherming van de belangen van zowel koper als verkoper, wordt uitdrukkelijk gesteld dat een koopovereenkomst met betrekking tot deze onroerende zaak eerst dan tot stand komt, nadat koper en verkoper de koopovereenkomst hebben getekend ("schriftelijkheidsvereiste").
Kenmerken
Overdracht
- Laatste vraagprijs
- € 325.000 kosten koper
- Vraagprijs per m²
- € 1.786
- Status
- Verkocht
Bouw
- Soort woonhuis
- Eengezinswoning, 2-onder-1-kapwoning
- Soort bouw
- Bestaande bouw
- Bouwjaar
- 1960
- Soort dak
- Zadeldak bedekt met pannen
Oppervlakten en inhoud
- Gebruiksoppervlakten
- Wonen
- 182 m²
- Overige inpandige ruimte
- 14 m²
- Gebouwgebonden buitenruimte
- 4 m²
- Perceel
- 195 m²
- Inhoud
- 610 m³
Indeling
- Aantal kamers
- 9 kamers (6 slaapkamers)
- Aantal badkamers
- 1 badkamer en 1 apart toilet
- Badkamervoorzieningen
- Inloopdouche, toilet, en wastafel
- Aantal woonlagen
- 3 woonlagen en een kelder
- Voorzieningen
- TV kabel
Energie
- Energielabel
- E
- Isolatie
- Gedeeltelijk dubbel glas en HR-glas
- Verwarming
- Cv-ketel
- Warm water
- Cv-ketel
- Cv-ketel
- Atag H.R. combiketel (gas gestookt combiketel uit 2018, eigendom)
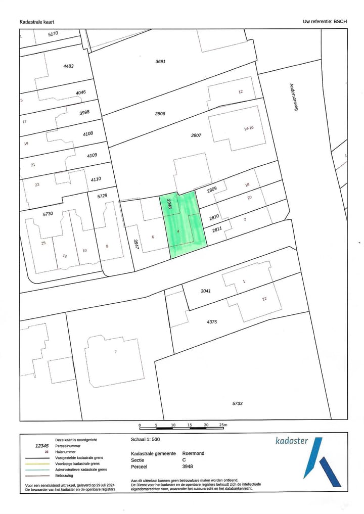
Kadastrale gegevens
- ROERMOND C 3948
- Kadastrale kaart
- Oppervlakte
- 195 m²
- Eigendomssituatie
- Volle eigendom
Buitenruimte
- Ligging
- In centrum
- Tuin
- Achtertuin en voortuin
- Achtertuin
- 100 m² (7,00 meter diep en 5,00 meter breed)
- Ligging tuin
- Gelegen op het noordwesten
Bergruimte
- Schuur/berging
- Aangebouwde stenen berging
- Voorzieningen
- Elektra
Parkeergelegenheid
- Soort parkeergelegenheid
- Op eigen terrein en openbaar parkeren
Foto's 34
© 2001-2025 funda

































