Dit huis op Funda: https://www.funda.nl/detail/koop/ruurlo/huis-beatrixlaan-37/43873101/

Omschrijving
GROOTS WONEN IN GEZELLIG RUURLO
Ontdek uw droomhuis: een prachtig vrijstaand woonhuis, ideaal gelegen nabij het centrum en diverse voorzieningen. Deze woning is gerenoveerd en ingrijpend vergroot, waardoor het nu nog meer wooncomfort biedt. Met een royale perceeloppervlakte kunt u genieten van een ruime tuin ron
dom het huis, perfect voor ontspanning en buitenactiviteiten.
Daarnaast beschikt de woning over een dubbele garage met berging, waardoor er voldoende ruimte is voor hobby, voertuigen en extra opslag. Grijp deze kans om te wonen in deze ruime woning met dubbele garage op riant perceel.
Ruurlo is een actief dorp en hoort bij gemeente Berkelland. De naam Ruurlo is wellicht afgeleid van Roderlo, opgebouwd uit rode (gerooid bos) en lo (open parkbos). Ruurlo heeft vele voorzieningen; zoals basisscholen, horeca, winkels, buiten zwembad en het bekende museum MORE, het grootste heggendoolhof van Europa en een trein- busstation. In de omgeving zijn prachtige wandel- en fietstochten.
PERCEEL:
Deze woning heeft een ruim perceel met tal van geweldige extra’s.
Het beschikt over een eigen oprit en een dubbele stenen garage met berging, waar voldoende plaats is voor meerdere auto’s.Er is een eenvoudige houten schuur en tuinhuis met elektra. De riante, zuid-oost gerichte tuin biedt rust en privacy. Met diverse heerlijke zitjes, een fijn gazon en groene bomen, is het de ideale plek om te ontspannen en te genieten van de buitenlucht. Voor de warme zomerdagen kunt u gebruik maken van het zonnescherm op het terras of de natuurlijke schaduw van bomen opzoeken. De voortuin is strak en onderhoudsvriendelijk ingericht en biedt een fijn welkom.
INDELING:
begane grond:
Entree, hal met meterkast. Toilet met hangcloset en fontein. Riante woonkamer afsluitbaar met twee schuifdeuren naar leefkeuken; tuingericht met openslaande deuren naar terras.
De keuken (2021) is voorzien van een plavuizenvloer en inbouwapparatuur; vaatwasser, inductiekookplaat met afzuigkap, combi magnetron en koelkast. Een luxe badkamer (2022) met inloopdouche, zwevend wastafel meublement voorzien van twee wasbakken. Van de werkkamer is eventueel een slaapkamer te maken. Via de entree hal en keuken kunt u in de bijkeuken komen, voorzien van plavuizen vloer met witgoedaansluitingen. U kunt via een buitendeur naar de achtertuin, het terras. De keuken, bijkeuken en badkamer zijn voorzien van vloerverwarming.
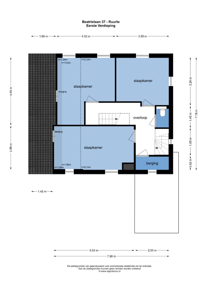
1 verdieping:
Overloop met 3 ruime slaapkamers met bergruimtes achter knieschotten. Vaste kast/berging. Separaat toilet met hangcloset. De slaapkamers zijn voorzien van horren en rolluiken. Opgaande houten, open trap naar 2e verdieping.
2e verdieping:
Bergzolder voor het opbergen van alle niet dagelijkse spullen.
KENMERKEN:
Bouwjaar: 1957. Perceel: 595 m². Inhoud: ca. 584 m³. Woonoppervlakte: ca. 141 m²
Externe bergruimte: ca. 59 m². Overige inpandige ruimte: ca. 15 m². Verwarming: Atag HR combiketel
(bouwjaar: 2004) Isolatie: grotendeels vloerisolatie, geheel muur-/dakisolatie en grotendeels HR++. Energielabel: C
Bijzonderheden: 8 zonnepanelen (2020), kunststofkozijnen (2018/19).
Kenmerken
Overdracht
- Laatste vraagprijs
- € 499.000 kosten koper
- Vraagprijs per m²
- € 3.539
- Status
- Verkocht
Bouw
- Soort woonhuis
- Eengezinswoning, vrijstaande woning
- Soort bouw
- Bestaande bouw
- Bouwjaar
- 1957
- Soort dak
- Zadeldak bedekt met pannen
- Toegankelijkheid
- Toegankelijk voor mensen met een beperking en toegankelijk voor ouderen
Oppervlakten en inhoud
- Gebruiksoppervlakten
- Wonen
- 141 m²
- Overige inpandige ruimte
- 15 m²
- Externe bergruimte
- 59 m²
- Perceel
- 595 m²
- Inhoud
- 584 m³
Indeling
- Aantal kamers
- 5 kamers (4 slaapkamers)
- Aantal badkamers
- 1 badkamer en 2 aparte toiletten
- Badkamervoorzieningen
- Dubbele wastafel, inloopdouche, vloerverwarming, en wastafelmeubel
- Aantal woonlagen
- 2 woonlagen, een zolder, en een kelder
- Voorzieningen
- Dakraam, glasvezelkabel, mechanische ventilatie, natuurlijke ventilatie, rolluiken, en zonnepanelen
Energie
- Energielabel
- C
- Isolatie
- Dakisolatie, gedeeltelijk dubbel glas, HR-glas, muurisolatie en vloerisolatie
- Verwarming
- Cv-ketel
- Warm water
- Cv-ketel
- Cv-ketel
- Atag HR (gas gestookt combiketel uit 2004, eigendom)
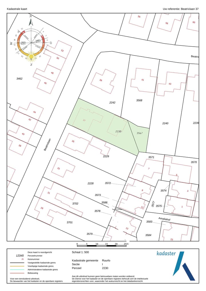
Kadastrale gegevens
- RUURLO I 3567
- Kadastrale kaart
- Oppervlakte
- 95 m²
- Eigendomssituatie
- Volle eigendom
- RUURLO I 2230
- Kadastrale kaart
- Oppervlakte
- 500 m²
- Eigendomssituatie
- Volle eigendom
Buitenruimte
- Ligging
- Aan rustige weg en in woonwijk
- Tuin
- Achtertuin, voortuin en zijtuin
- Achtertuin
- 377 m² (26,00 meter diep en 14,50 meter breed)
- Ligging tuin
- Gelegen op het zuidoosten
Bergruimte
- Schuur/berging
- Vrijstaande stenen berging
- Voorzieningen
- Elektra
- Isolatie
- Geen isolatie
Garage
- Soort garage
- Vrijstaande stenen garage
- Capaciteit
- 2 auto's
- Voorzieningen
- Vliering en elektra
- Isolatie
- Geen isolatie
Parkeergelegenheid
- Soort parkeergelegenheid
- Op eigen terrein
Foto's 40
© 2001-2025 funda







































