Dit huis op Funda: https://www.funda.nl/detail/koop/sas-van-gent/huis-schulpenpad-23/43731879/

Schulpenpad 234551 EE Sas van GentKern Sas van Gent
€ 239.000 k.k.
Omschrijving
Ben je op zoek naar een ruime, instapklare woning? Kom dan zeker eens kijken naar deze onder architectuur compleet gemoderniseerde tussenwoning nabij het centrum van Sas van Gent. Achter deze eenvoudige voorgevel gaat een ruime uitgebouwde woning schuil die zeker een bezoekje waard is!
De woning heeft een heerlijk lichte woonkamer met in de aanbouw een ruime open keuken met lichtstraat, openslaande tuindeuren en een badkamer op de begane grond. Op de verdieping zijn er 3 slaapkamers die met veel sfeer zijn gerenoveerd, met behoud van de authentieke details. Bij de woning hoort nog een stenen garagebox die direct achter de woning is gelegen.
Is uw interesse gewekt? Bel dan naar ons kantoor voor een uitgebreide rondleiding in deze leuke tussenwoning.
Indeling
Begane grond
Entree in de ruime hal met nieuwe meterkasten en deur naar een kelder. Heerlijk ruime en lichte woonkamer met laminaatvloer. In de aanbouw bevindt zich de open keuken met losse apparatuur die alle ruimte biedt om uw eigen smaak en inzichten toe te voegen. Vanuit de keuken kunt u via de dubbele tuindeuren naar het overdekt terras.
Kleine bijkeuken waar de aansluiting zit voor de wasapparatuur, c.v-ketel (’13), deur naar toiletruimte (met vrijhangend toilet) en deur naar een functionele bakkamer. De badkamer is voorzien van een dubbele wastafel en inloopdouche. Op de voordeur na zijn alle ramen en deuren zijn voorzien van elektrische rolluiken.
Eerste verdieping
Ruime overloop met toegang tot de 3 slaapkamers. Aan de achterzijde een ruime slaapkamer met dubbele dakkapel. Aan de voorzijde van de woning een ruime en een kleine slaapkamer. Alle slaapkamers zijn voorzien van elektrisch bedienbare rolluiken.
Tweede verdieping
Middels een luik op de overloop is er toegang tot de geïsoleerde bergzolder.
Buiten
Knusse, zonnige, volledig ommuurde stadstuin met overkapping en achterom.
Achter de woning staat de garagebox, deze is via de tuin en de poort bereikbaar. De garage is voorzien van elektra.
Bijzonderheden
- Deze woning beschikt over een energielabel: B
- De woning is voorzien van houten kozijnen met dubbel glas en rolluiken
- Bij de woning hoort een garagebox gelegen achter de woning
- De woning is compleet gemoderniseerd, uitgebouwd en instapklaar
Kenmerken
Overdracht
- Aangeboden sinds
- Aanvaarding
- In overleg
- Vraagprijs
- € 239.000 kosten koper
- Vraagprijs per m²
- € 2.025
- Status
- Beschikbaar
Bouw
- Soort woonhuis
- Eengezinswoning, tussenwoning
- Soort bouw
- Bestaande bouw
- Bouwjaar
- 1928
- Soort dak
- Samengesteld dak
Oppervlakten en inhoud
- Gebruiksoppervlakten
- Wonen
- 118 m²
- Overige inpandige ruimte
- 6 m²
- Gebouwgebonden buitenruimte
- 5 m²
- Externe bergruimte
- 22 m²
- Perceel
- 210 m²
- Inhoud
- 400 m³
Indeling
- Aantal kamers
- 4 kamers (3 slaapkamers)
- Aantal badkamers
- 1 badkamer en 1 apart toilet
- Badkamervoorzieningen
- Dubbele wastafel en inloopdouche
- Aantal woonlagen
- 2 woonlagen, een zolder, en een kelder
- Voorzieningen
- Natuurlijke ventilatie en rolluiken
Energie
- Energielabel
- Isolatie
- Dakisolatie, dubbel glas en muurisolatie
- Verwarming
- Cv-ketel
- Warm water
- Cv-ketel
- Cv-ketel
- Nefit (gas gestookt combiketel uit 2013, eigendom)
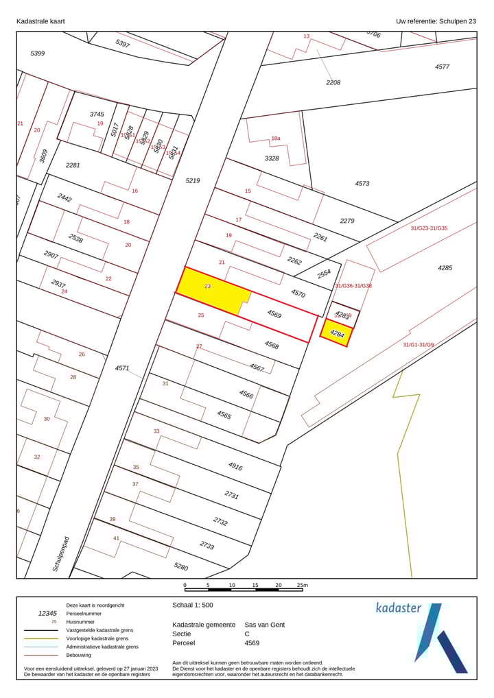
Kadastrale gegevens
- SAS VAN GENT C 4569
- Kadastrale kaart
- Oppervlakte
- 185 m²
- Eigendomssituatie
- Volle eigendom
- SAS VAN GENT C 4284
- Kadastrale kaart
- Oppervlakte
- 25 m²
- Eigendomssituatie
- Volle eigendom
Buitenruimte
- Ligging
- In woonwijk
- Tuin
- Achtertuin
- Achtertuin
- 95 m² (15,80 meter diep en 6,00 meter breed)
- Ligging tuin
- Gelegen op het oosten bereikbaar via achterom
Garage
- Soort garage
- Garagebox
- Capaciteit
- 1 auto
- Voorzieningen
- Elektra
Parkeergelegenheid
- Soort parkeergelegenheid
- Openbaar parkeren
Foto's 31
© 2001-2026 funda






























