Dit huis op Funda: https://www.funda.nl/detail/koop/stein/huis-heerstraat-noord-116/43989606/

Omschrijving
PRESENTATIEVIDEO
De video bij deze woning betreft een presentatievideo waarin een divers scala aan onderwerpen en omgevingsfactoren in beeld worden gebracht. Een aanrader om voorafgaand uiteraard te bekijken.
PLAN JE BEZICHTIGING ZELF?
- Ga dan naar onze eigen website;
- Vraag een bezichtigingsmoment aan op de pagina van de woning;
- Vraag meerdere beschikbare momenten aan als mogelijkheden;
- Wij selecteren vervolgens en bevestigen welke reservering toegekend kan worden.
INTERESSE IN DEZE WONING?
Laat ons weten of u:
* wel/niet wordt begeleid door een aankoopmakelaar en zo ja, welke;
* wel of geen afhankelijkheid heeft van een (verkoop van een) eigen woning;
* flexibel kunt zijn in de eventuele aanvaarding van de woning voor wat betreft de voor verkoper wenselijke leverdatum.
Zijn er geen mogelijkheden (meer) te vinden via onze website, dan is het goed om even persoonlijk contact op te nemen met ons.
Twee-onder-een-kapwoning met hoekligging welke nog geheel naar eigen wens verduurzaamd en gemoderniseerd kan worden met al aanwezige aanbouw, aanvullende berging met sauna en garage, twee slaapkamers en badkamer op de eerste verdieping, een bergzolder en provisiekelder. Gelegen op een van de meest bekende straten van Stein.
Begane grond:
Hal | Aangekomen in de hal, vinden we hier het staande toilet met fontein en radiator, de trapopgang naar de eerste verdieping met hier ook de meterkast (gasmeter, slimme meter, smelt-, druk-, en schakelzekeringen) en toegang naar de keuken.
Keuken | In de gesloten keuken treffen we een parallel opstelling keuken aan van hout, voorzien van een ingebouwde oven, inductie kookplaat en inbouw afzuigkap. De open boog geeft toegang naar de woon- en eetkamer maar ook is er een loopdeur van de keuken naar de bijkeuken te vinden en de toegang naar de provisiekelder.
Woon- eetkamer | Open ruimte met sierlijsten langs het spanplafond, grote raampartij aan de voorzijde met elektrisch zonnescherm en doorgang middels openslaande deuren naar de tuinkamer. De aangebouwde tuinkamer met rolluiken heeft een loopdeur naar de tuin en naar de naastgelegen bijkeuken.
In de bijkeuken vind men de CV installatie (eigendom 2013), wateraansluiting en verwarming.
Eerste verdieping:
Vanuit de overloop, komen we aan op de eerste verdieping waar we twee slaapkamers van prettig formaat vinden en een compactere kamer met wandkasten, ook op de overloop is een ingebouwde kastruimte te vinden en natuurlijk de toegang tot de badkamer welke uitgerust is met ligbad, staande wastafel en douchebak.
Bergzolder:
Middels de vlizotrap is de bergzolder bereikbaar met een nokhoogte van 1,56m.
Provisiekelder:
Toegankelijk vanuit de keuken met een stahoogte van 1.98m.
Tuin | perceel:
Door de hoekligging geniet men van veel tuinruimte, zowel aan de voor-, zij-, en achterkant van de woning. Het perceel is afgezet middels een hekwerk met schuifpoorten zodat er met de auto tot op het erf gereden kan worden. Verder is de tuin redelijk onderhoudsvrij maar geeft toch een groen gevoel.
Aanvullend is in de achtertuin nog een vrijstaande garage te vinden (6,00x3,80m), gecombineerd met een berging en kelder waarin een sauna en douche geïnstalleerd is.
Bijzonderheden:
Deze woning is voorzien van een Remeha CV installatie in eigendom uit 2013, heeft grotendeels dubbelglas, spouwmuur isolatie en voor de rest loont deze woning zich er perfect voor om geheel naar eigen wens verder te verduurzamen en moderniseren.
Zien we u bij de bezichtigingen?
Meldt u zich dan al digitaal en geef ons uw contactgegevens door via Funda, onze website of een van de andere websites waarop u de woning gevonden heeft.
Dan ontvangt u namelijk toegang tot alle informatie en de uitleg over het aanvragen van een van de beschikbare bezichtigingsmomenten via ons digitale planningsysteem.
Algemeen:
Deze woning wordt aangeboden door Heykens Makelaardij.
Ter bescherming van de belangen van zowel koper als verkoper, wordt uitdrukkelijk gesteld dat een koopovereenkomst met betrekking tot deze onroerende zaak eerst dan tot stand komt nadat koper en verkoper de koopovereenkomst hebben getekend (“schriftelijkheidsvereiste”).
De termijn die wordt opgenomen voor eventuele (overeengekomen) ontbindende voorwaarden (bijvoorbeeld financiering) is in de regel 6 tot maximaal 8 weken na het sluiten van de mondelinge wilsovereenkomst. De hoogte van een eventueel financieringsvoorbehoud ligt hierbij normaliter op een maximale hoogte van de vraagprijs van de woning.
De waarborgsom | bankgarantie is 10 % van de koopsom. De koper dient deze uiterlijk 2 weken ná het vervallen van de (eventuele) ontbindende voorwaarden bij de desbetreffende notaris te deponeren.
Koper is te allen tijde gerechtigd voor eigen rekening een bouwkundige keuring te (laten) verrichten dan wel andere adviseurs te raadplegen teneinde een goed inzicht te verkrijgen over de staat van onderhoud. Koper dient bij het doen van een bod wel aan te geven of hij een dergelijk onderzoek wenst.
Deze informatie is door ons met de nodige zorgvuldigheid samengesteld. Onzerzijds wordt echter geen enkele aansprakelijkheid aanvaard voor enige onvolledigheid, onjuist of anderszins, dan wel de gevolgen daarvan. Alle opgegeven maten en oppervlakten zijn indicatief.
Van toepassing zijn de voorwaarden van Vastgoedpro.
Kenmerken
Overdracht
- Laatste vraagprijs
- € 275.000 kosten koper
- Vraagprijs per m²
- € 3.313
- Status
- Verkocht
Bouw
- Soort woonhuis
- Eengezinswoning, 2-onder-1-kapwoning
- Soort bouw
- Bestaande bouw
- Bouwjaar
- 1962
- Soort dak
- Zadeldak bedekt met asbest, bitumineuze dakbedekking en pannen
Oppervlakten en inhoud
- Gebruiksoppervlakten
- Wonen
- 83 m²
- Overige inpandige ruimte
- 24 m²
- Externe bergruimte
- 51 m²
- Perceel
- 341 m²
- Inhoud
- 408 m³
Indeling
- Aantal kamers
- 7 kamers (2 slaapkamers)
- Aantal badkamers
- 1 badkamer en 1 apart toilet
- Badkamervoorzieningen
- Sauna, douche, ligbad, en wastafel
- Aantal woonlagen
- 2 woonlagen, een zolder, en een kelder
- Voorzieningen
- Buitenzonwering, rolluiken, sauna, en TV kabel
Energie
- Energielabel
- D
- Isolatie
- Grotendeels dubbelglas en muurisolatie
- Verwarming
- Cv-ketel
- Warm water
- Cv-ketel
- Cv-ketel
- Remeha Quinta (gas gestookt uit 2013, eigendom)
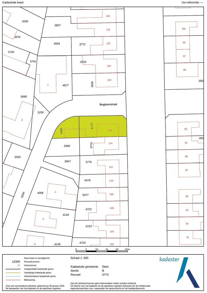
Kadastrale gegevens
- STEIN B 3774
- Kadastrale kaart
- Oppervlakte
- 238 m²
- Eigendomssituatie
- Volle eigendom
- STEIN B 3969
- Kadastrale kaart
- Oppervlakte
- 103 m²
- Eigendomssituatie
- Volle eigendom
Buitenruimte
- Ligging
- Aan drukke weg, in centrum en in woonwijk
- Tuin
- Achtertuin, voortuin en zijtuin
Bergruimte
- Schuur/berging
- Aangebouwde stenen berging
- Voorzieningen
- Elektra, verwarming en stromend water
Garage
- Soort garage
- Vrijstaande stenen garage
- Capaciteit
- 1 auto
Foto's 66
© 2001-2025 funda

































































