Dit huis op Funda: https://www.funda.nl/detail/koop/tilburg/huis-gasthuisring-21-d/43977058/

Omschrijving
Gelegen aan de Gasthuisring in Tilburg ligt deze prachtige, half vrijstaande eengezinswoning. Op een super locatie aan in het bruisende centrum met een vrije ligging aan de achterzijde met een grote vrijstaande garage(28m2)/berging. Deze goed onderhouden woning is verder gunstig gelegen ten opzichte van scholen, Albert Heijn XL, Spoorzone en het Centraal Station.
Indeling: Entree met meterkast en toilet
Woonkamer(27m2) v.v. eiken, visgraat gelegd parket, trapkast, openslaande tuindeuren en v.v. airconditioning.
Open keuken met net keukenblok in L-opstelling uiteraard v.v. diverse apparatuur
Via de loopdeur naar de ruime, grotendeels verharde, westelijk gelegen tuin met toegang tot grote garage met uitgang aan de achterzijde
1e verdieping: Overloop met toegang tot 3 slaapkamers. (13, 11 en 6m²) Waarvan 1 met nu in gebruik als
“Walk-in-closet en 1 met airconditioning
Ruime, eenvoudige doch nette, gedeeltelijk betegelde badkamer met ligbad-/douchecombinatie wastafel en toilet
2e verdieping: Via vaste trap naar grote zeer complete 2e verdieping van ongeveer 20m2 nu in gebruik als kantoor met airconditioning en groot dakterras(13m2) maar zeker de mogelijkheid voor 2 slaapkamers.
Ruime berg/wasruimte met aansluitingen wasapparatuur en combiketel(lease)
BIJZONDERHEDEN:
CV lease. 35,60 p/m
Zonwering.
Airconditioning.
Eerste verdieping rolluiken.
Dak 2024 vernieuwd
Airco's 2024 geplaatst.
Energielabel b
Kenmerken
Overdracht
- Laatste vraagprijs
- € 415.000 kosten koper
- Vraagprijs per m²
- € 3.739
- Status
- Verkocht
Bouw
- Soort woonhuis
- Eengezinswoning, hoekwoning
- Soort bouw
- Bestaande bouw
- Bouwjaar
- 1988
- Soort dak
- Plat dak bedekt met bitumineuze dakbedekking
Oppervlakten en inhoud
- Gebruiksoppervlakten
- Wonen
- 111 m²
- Gebouwgebonden buitenruimte
- 12 m²
- Externe bergruimte
- 28 m²
- Perceel
- 157 m²
- Inhoud
- 393 m³
Indeling
- Aantal kamers
- 5 kamers (4 slaapkamers)
- Aantal badkamers
- 1 badkamer en 1 apart toilet
- Badkamervoorzieningen
- Douche, ligbad, toilet, en wastafel
- Aantal woonlagen
- 3 woonlagen
- Voorzieningen
- Airconditioning, buitenzonwering, mechanische ventilatie, natuurlijke ventilatie, rolluiken, en TV kabel
Energie
- Energielabel
- Verwarming
- Cv-ketel
- Warm water
- Cv-ketel
- Cv-ketel
- HR (gas gestookt combiketel, lease)
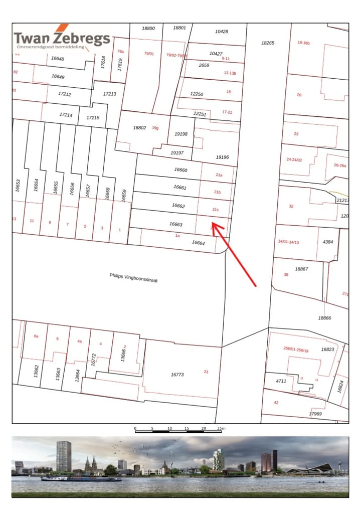
Kadastrale gegevens
- TILBURG N 16663
- Kadastrale kaart
- Oppervlakte
- 157 m²
- Eigendomssituatie
- Volle eigendom
Buitenruimte
- Ligging
- In centrum en vrij uitzicht
- Tuin
- Achtertuin
- Achtertuin
- 76 m² (14,50 meter diep en 5,25 meter breed)
- Ligging tuin
- Gelegen op het westen bereikbaar via achterom
- Balkon/dakterras
- Dakterras aanwezig
Garage
- Soort garage
- Vrijstaande stenen garage
- Capaciteit
- 2 auto's
- Voorzieningen
- Elektra
Parkeergelegenheid
- Soort parkeergelegenheid
- Betaald parkeren, openbaar parkeren en parkeervergunningen
Foto's 43
© 2001-2026 funda










































