Dit huis op Funda: https://www.funda.nl/detail/koop/twello/huis-oude-veldjes-14/43839510/

Omschrijving
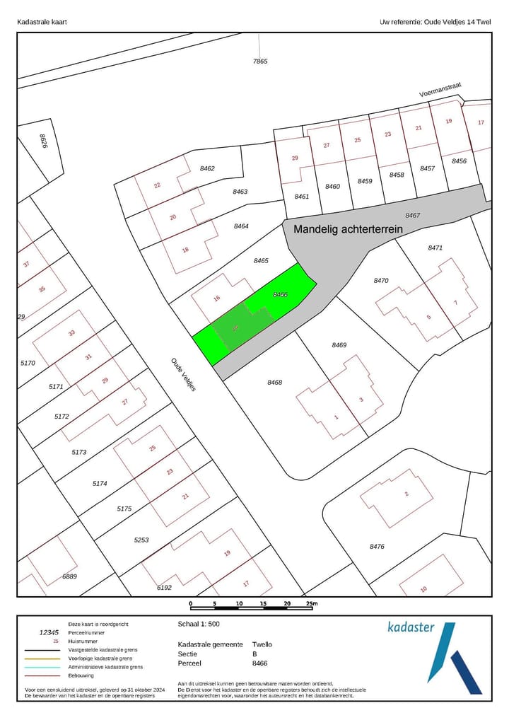
TWELLO - OUDE VELDJES 14
Karakteristiek, in jaren '30 stijl, gebouwde HELFT VAN EEN DUBBELE WONING, gelegen nabij het centrum van Twello.
In de achtertuin staat een houten berging en een gezellige overkapping. De tuin is beschut opgezet en is bereikbaar via een achterliggend mandelig terrein ten dienste van onder andere deze woning.
Bouwjaar 2006, perceelsoppervlakte 194 m², gebruiksoppervlakte 108 m², overige inpandige ruimte 12 m², inhoud 404 m³. De woning is voorzien van energielabel A, mede door de aanwezige dak-, muur-, vloerisolatie en geheel isolatieglas.
Verwarming d.m.v. gas-Cv (ketel 2021) met vloerverwarming op de begane grond.
Het perceel achter de woning betreft een mandelig terrein betreffende de 17 aangrenzende woningen.
Twello is een dorp met circa 13.865 inwoners in de gemeente Voorst, in de Nederlandse provincie Gelderland. Het dorp is gelegen in de landelijke omgeving tussen de steden Deventer en Apeldoorn, dicht bij de rivier de IJssel. Ook is Twello gunstig gelegen met een goede aansluiting met snelweg de A1.
Indeling: Entreehal, modern toilet, Riante woon-/eetkamer bestaande uit 2 segmenten met terrasdeur, modern uitgevoerde open keuken met ingebouwde koelkast, combi-oven, keramische kookplaat en vaatwasser, ruime bijkeuken/achterhal met wasmachine-aansluiting en schuifkastenwand.
Verdieping: Overloop, 3 prima slaapkamers, luxe badkamer met ligbad, douchehoek, 2e toilet en wastafelmeubel.
Zolder: Bergzolder, bereikbaar met vlizotrap.
Interesse in dit huis? Schakel direct uw eigen NVM aankoopmakelaar in. Uw NVM aankoopmakelaar komt op voor uw belang en bespaart u tijd, geld en zorgen.
Kenmerken
Overdracht
- Laatste vraagprijs
- € 549.000 kosten koper
- Vraagprijs per m²
- € 5.083
- Status
- Verkocht
Bouw
- Soort woonhuis
- Eengezinswoning, 2-onder-1-kapwoning
- Soort bouw
- Bestaande bouw
- Bouwjaar
- 2006
- Soort dak
- Samengesteld dak bedekt met bitumineuze dakbedekking en pannen
Oppervlakten en inhoud
- Gebruiksoppervlakten
- Wonen
- 108 m²
- Overige inpandige ruimte
- 12 m²
- Gebouwgebonden buitenruimte
- 10 m²
- Externe bergruimte
- 8 m²
- Perceel
- 194 m²
- Inhoud
- 404 m³
Indeling
- Aantal kamers
- 4 kamers (3 slaapkamers)
- Aantal badkamers
- 1 badkamer en 1 apart toilet
- Badkamervoorzieningen
- Douche, ligbad, toilet, en wastafelmeubel
- Aantal woonlagen
- 2 woonlagen en een zolder
- Voorzieningen
- Mechanische ventilatie
Energie
- Energielabel
- A
- Isolatie
- Dakisolatie, dubbel glas, muurisolatie en vloerisolatie
- Verwarming
- Cv-ketel
- Warm water
- Cv-ketel
- Cv-ketel
- Intergas (gas gestookt combiketel uit 2021, eigendom)
Kadastrale gegevens
- TWELLO B 8466
- Kadastrale kaart
- Oppervlakte
- 194 m²
- Eigendomssituatie
- Volle eigendom
Buitenruimte
- Ligging
- Aan rustige weg
- Tuin
- Achtertuin en voortuin
- Achtertuin
- 70 m² (10,00 meter diep en 7,00 meter breed)
- Ligging tuin
- Gelegen op het noordoosten bereikbaar via achterom
- Balkon/dakterras
- Balkon aanwezig
Bergruimte
- Schuur/berging
- Vrijstaande houten berging
Parkeergelegenheid
- Soort parkeergelegenheid
- Openbaar parkeren
Foto's 39
© 2001-2025 funda






































