Dit huis op Funda: https://www.funda.nl/detail/koop/udenhout/huis-slimstraat-95/43977685/

Omschrijving
BAALDE JE ER VAN DAT DEZE WONING AL VERKOCHT WAS, LEES DAN GAUW VERDER!
I.V.M. HET NIET RONDKOMEN VAN DE FINANCIERING KOMT DEZE WONING WEER TERUG OP DE MARKT.
AARZEL DUS NIET EN MAAK SNEL EEN AFSPRAAK VOOR EEN BEZICHTIGING!
Deze woning is niet zomaar een standaard tweekapper en dat maakt het pand dan ook meteen weer zo leuk!
Er is ruimte in en om de woning, eventueel werken aan huis kan en zelfs slapen en baden op de begane grond zou hier kunnen.
De ligging, aan de courante Slimstraat in Udenhout, is super. Deze twee-onder-één kapwoning is flink uitgebouwd aan de achterzijde met o.a. een grote woonkeuken, er is een aangebouwde, inpandig te bereiken garage, ruime, eigen parkeergelegenheid aan de voorzijde, eveneens een ruime voortuin en dan ook nog een diepe, privacy biedende en op het zuidoosten gelegen achtertuin. In de achtertuin staat een riante, in spouw uitgevoerde berging met eigen toilet en dus ideaal te gebruiken als praktijkruimte.
KENMERKEN:
- De woning is oorspronkelijk omstreeks 1900 gebouwd als één boerderij en later gesplitst in twee woningen.
- Vanaf de jaren '80 vorige eeuw is de woning gerealiseerd zoals deze nu is.
- De woonoppervlakte bedraagt 117 m², exclusief 15,6 m² volwaardige berging met toilet (conform op locatie ingemeten NEN 2580 meetrapport)*.
- De inhoud van het geheel is 558 m³, inclusief garage (conform op locatie ingemeten NEN 2580 meetrapport)*.
- Perceeloppervlakte bedraagt 350 m².
- Verwarming en warm water woning worden geleverd door een CV combi uit 2010.
- Begane grond is tevens v.v. vloerverwarming.
- De woning is v.v. vloer-, muur- en dakisolatie en dubbel glas.
- Aan de achter- en voorzijde zijn op de 1e verdieping rolluiken geplaatst.
- Het energielabel is een C label en is geldig tot 01-11-2034.
- De garage zou relatief makkelijk omgebouwd kunnen worden tot een slaapkamer en badkamer en/of praktijkruimte. De vrijstaande berging heeft een toilet en is direct te gebruiken als praktijkruimte.
INDELING:
BEGANE GROND:
Via de oprit en voortuin is de overdekte entree van de woning te bereiken.
De hal biedt enerzijds toegang tot de woonkamer en anderzijds toegang tot de aan de woning en dus inpandig te bereiken garage. In de hal is de meterkast geplaatst.
De woonkamer is verdeeld in een zitgedeelte aan de voorzijde en een aangebouwd eetgedeelte, samen groot 45 m². In het zitgedeelte is de open trap gesitueerd naar de 1e verdieping. Het eetgedeelte is v.v. een vaste kast met daarin de CV-opstelling.
De kamer is afgewerkt met een leisteen vloer (met vloerverwarming), pleisterwerk wanden, deels balken en deels pleisterwerk plafond.
Vanuit de eetkamer is de riante woonkeuken te bereiken.
De 15,6 m² grote woonkeuken heeft een moderne opstelling in 2 delen, een laag spoel- en kookgedeelte in hoekopstelling en een hoge kastenwand. De keuken is compleet met een afzuigschouw, 6-pits gaskomfoor met brede oven, vaatwasser, losse koel-vriescombi (ter overname) en een combi-magnetron.
Openslaande tuindeuren geven toegang tot de achtertuin en via een loopdeur is er tevens toegang tot een achterhal.
Vanuit deze hal is het toilet, de badkamer en tevens de achtertuin te bereiken. Het moderne toilet is deels betegeld en v.v. wandcloset en fontein. De ca. 8 m² grote badkamer is eveneens gemoderniseerd, grotendeels v.v. gepleisterde wanden en deels betegeld. In de badkamer is een ruime inloopdouche en een breed wastafelmeubel geplaatst.
1e VERDIEPING:
De overloop biedt toegang tot 3 slaapkamers en is v.v. een deels betegeld toilet met wandcloset en fontein.
De slaapkamer aan de linkerzijde is gebouwd boven de garage en is zeer sfeervol met de kap in ’t zicht, dakkapel, sierhaard en vaste kasten in de schuinte van de kap. De kamer is fraai afgewerkt met een laminaat vloer en pleisterwerk wanden- en plafond.
De slaapkamer aan de rechterzijde is afgewerkt met een laminaatvloer, pleisterwerk wanden en pleisterwerk plafond met strakke lijsten.
De slaapkamer aan de voorzijde is afgewerkt met laminaat, deels systeemwanden en behangklare wanden en deels een systeemplafond, waarbij ook een deel van de kap zichtbaar is. Er is een dakkapel c.q. opbouw geplaatst aan zowel de voor- als achterzijde over de volle breedte. Zowel aan de voor- als achterzijde zijn rolluiken aanwezig.
De kamers hebben de volgende vloeroppervlakte:
kamer 1 boven de garage 3,21 x 5,51 m;
kamer 2 aan de achterzijde 3,25 x 3,40 m en
kamer 3 aan de voorzijde 3,25 x 2,43 m.
2e VERDIEPING:
Via een vlizotrap is de bergzolder te bereiken.
BUITENLEVEN:
De woning heeft een riant perceel van in totaal 350 m² met zowel een ruime voortuin als achtertuin. Naast de voortuin is een oprit die plaats biedt aan zeker 2 auto's en direct toegang geeft tot de garage.
De op het zuidoosten gelegen achtertuin heeft een diepte vanaf de keuken van ruim 24 meter. Via een pad naast de keuken is er aan de voorzijde toegang tot de garage. Achterin de tuin staat de volledig geïsoleerde, volledig gestuukte, stenen berging met daarin een volledig betegeld toilet met wandcloset. Deze ruimte van 2,39 x 6,53 m kan perfect dienst doen als praktijkruimte, logeerruimte of simpelweg als berging.
Aan de berging is een overkapping gerealiseerd.
De garage, zoals aangegeven tevens vanuit de woning te bereiken, is 20 m² groot en is volledig gepleisterd. In de garage is water aanwezig, verwarming en elektra. De garage kan dienst doen als bergruimte, maar ook eenvoudig omgebouwd worden tot een (slaap)kamer en/of praktijkruimte.
* De NEN 2580 meetnorm is een eenduidige meetnorm, waarbij met bepaalde richtlijnen rekening gehouden wordt. Zo wordt o.a. een zolder zonder vaste trap of met een lichtoppervlakte (bv dakraam) kleiner dan 0,5 m² niet tot de woonoppervlakte gerekend. Hierdoor kan de woonoppervlakte soms kleiner lijken dan de daadwerkelijke vloeroppervlakte en kleiner lijken dan bij vergelijkbare woningen waar de makelaar de meetnorm niet toe heeft gepast. Ondanks het feit dat de meetnorm verplicht is, hanteren niet alle makelaars consequent de norm. Peeters-Bouckaert Makelaars laat haar woningen inmeten door een erkend bedrijf. Het meetrapport van deze woning is dan ook, indien gewenst, ter inzage.
Kenmerken
Overdracht
- Laatste vraagprijs
- € 500.000 kosten koper
- Vraagprijs per m²
- € 3.788
- Status
- Verkocht
Bouw
- Soort woonhuis
- Eengezinswoning, 2-onder-1-kapwoning
- Soort bouw
- Bestaande bouw
- Bouwjaar
- 1900
- Soort dak
- Zadeldak bedekt met kunststof en pannen
Oppervlakten en inhoud
- Gebruiksoppervlakten
- Wonen
- 132 m²
- Overige inpandige ruimte
- 21 m²
- Perceel
- 350 m²
- Inhoud
- 558 m³
Indeling
- Aantal kamers
- 4 kamers (3 slaapkamers)
- Aantal badkamers
- 1 badkamer en 2 aparte toiletten
- Badkamervoorzieningen
- Douche, toilet, en wastafelmeubel
- Aantal woonlagen
- 2 woonlagen en een zolder
- Voorzieningen
- Glasvezelkabel, rolluiken, en zonnepanelen
Energie
- Energielabel
- Isolatie
- Dakisolatie en dubbel glas
- Verwarming
- Cv-ketel en gehele vloerverwarming
- Warm water
- Cv-ketel
- Cv-ketel
- Combiketel
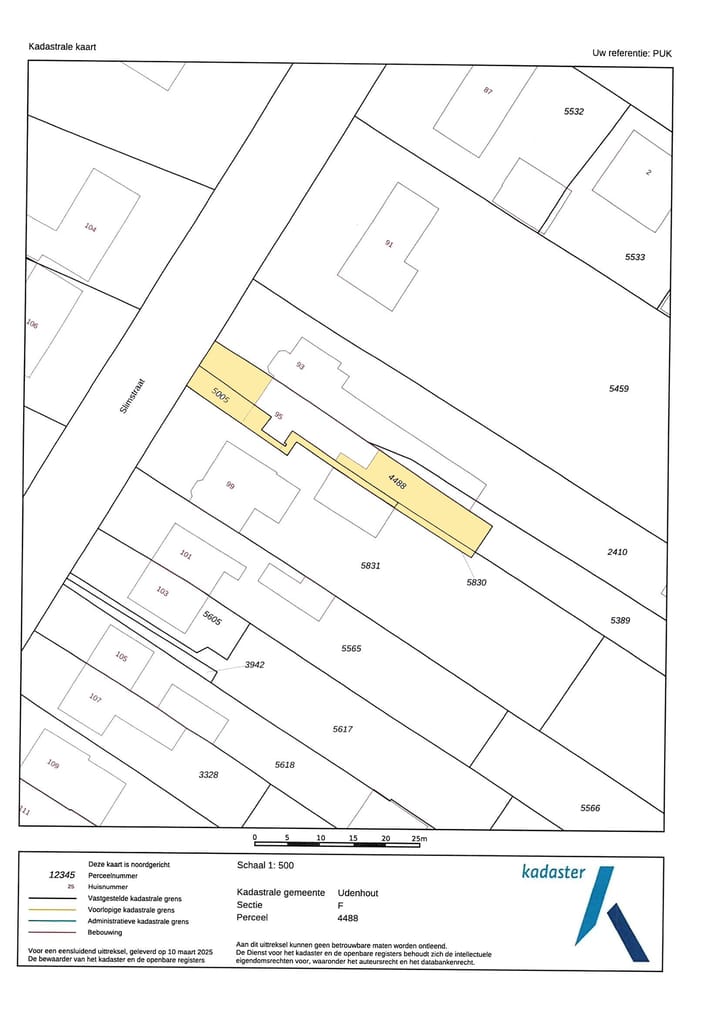
Kadastrale gegevens
- UDENHOUT F 4488
- Kadastrale kaart
- Oppervlakte
- 260 m²
- Eigendomssituatie
- Volle eigendom
- UDENHOUT F 5005
- Kadastrale kaart
- Oppervlakte
- 75 m²
- Eigendomssituatie
- Volle eigendom
- UDENHOUT F 5830
- Kadastrale kaart
- Oppervlakte
- 15 m²
- Eigendomssituatie
- Volle eigendom
Buitenruimte
- Ligging
- Aan drukke weg en in woonwijk
- Tuin
- Achtertuin en voortuin
- Achtertuin
- 100 m² (20,00 meter diep en 5,00 meter breed)
- Ligging tuin
- Gelegen op het zuidoosten
Bergruimte
- Schuur/berging
- Vrijstaande stenen berging
- Voorzieningen
- Elektra
Garage
- Soort garage
- Aangebouwde stenen garage
- Capaciteit
- 1 auto
- Voorzieningen
- Elektra en verwarming
Parkeergelegenheid
- Soort parkeergelegenheid
- Op eigen terrein en openbaar parkeren
Foto's 68
© 2001-2026 funda



































































