Dit huis op Funda: https://www.funda.nl/detail/koop/urmond/huis-grote-straat-30/43927846/

Omschrijving
Bent u op zoek naar kleinere woning met een grote berging in een historische omgeving? Dan is deze woning met ruime, opnieuw gebouwde berging nabij "De Bath' in Urmond wellicht iets voor u. Interesse? Neem dan contact op voor het maken van een afspraak.
Indeling
Onderverdieping
Gewelfde kelder (ca. 25.6m²)
Begane grond
Hal met meterkast (4 groepen en 1 aardlekschakelaar). Keuken (ca. 12.9m²) met eenvoudige aanbouwcombinatie voorzien van de volgende apparatuur: gaskookplaat, koelkast, oven, spoelbak en afzuigkap. Woonkamer (ca. 20m²) met tegelvloer. Bijkeuken/wasruimte (ca. 5.8m²) alwaar aansluiting wasmachine. Achter de keuken is een doucheruimte met douche en toilet. In deze ruimte is tevens de toegang tot de gewelfde kelder. Op het noordwesten georiënteerde patiotuin met overkapping (ca. 11.4m²). Via deze tuin is de ruime, opnieuw opgebouwde berging (ca. 17.5m² / 5.86 x 3.00) met loopdeur en raam bereikbaar.
Eerste verdieping
Overloop. Drie slaapkamers (resp. ca. 15.4m², 11.3m² en 4.7m²). Op de grootste slaapkamer is een airco geplaatst.
Tweede verdieping
Via een vaste trap bereikbare zolder met een nokhoogte van 2.98 meter. Hier is een ruime zolderkamer (ca. 18.8m²) met twee dakramen gerealiseerd.
Nadere bijzonderheden
- Mooie ligging in de oude dorpskern van Urmond nabij "De Bath" en de natuur langs het Julianakanaal en de Maas;
- Het pannendak is in ca. 2000 vernieuwd en geïsoleerd;
- Onlangs opnieuw opgebouwde berging van ca. 17m²;
- Voorzien van dakisolatie en (grotendeels) van dubbel glas;
- Airco op de ouderslaapkamer;
- De woning is achterom bereikbaar via de Urmonder Maasstraat; parkeren kan op eigen terrein.
Omgeving
Urmond is een dorp dat behoort tot de gemeente Stein. Het dorp telt ongeveer 5.645 inwoners. Het dorp bestaat uit twee delen: Oud-Urmond ten westen van het Julianakanaal en Urmond-Oost ten oosten. Een deel van Oud-Urmond is beschermd dorpsgezicht. De woning ligt nabij de natuur/wandelgebieden langs de Maas en het Juliankanaal. Ook is de locatie gunstig gelegen ten opzicht van uitvalswegen richting de autosnelweg A2 (richting Eindhoven) en A79 (richting Heerlen en Aken) en België. Het nabij gelegen Terpkerkje wordt o.a. gebruikt als expositieruimte.
Kenmerken
Overdracht
- Laatste vraagprijs
- € 209.000 kosten koper
- Vraagprijs per m²
- € 1.917
- Status
- Verkocht
Bouw
- Soort woonhuis
- Eengezinswoning, tussenwoning
- Soort bouw
- Bestaande bouw
- Bouwjaar
- 1776
- Soort dak
- Zadeldak bedekt met pannen
Oppervlakten en inhoud
- Gebruiksoppervlakten
- Wonen
- 109 m²
- Overige inpandige ruimte
- 25 m²
- Gebouwgebonden buitenruimte
- 11 m²
- Externe bergruimte
- 17 m²
- Perceel
- 158 m²
- Inhoud
- 375 m³
Indeling
- Aantal kamers
- 4 kamers (3 slaapkamers)
- Aantal badkamers
- 1 badkamer en 1 apart toilet
- Badkamervoorzieningen
- Douche
- Aantal woonlagen
- 2 woonlagen, een zolder, en een kelder
- Voorzieningen
- Airconditioning
Energie
- Energielabel
- Isolatie
- Dakisolatie en grotendeels dubbelglas
- Verwarming
- Gaskachels
- Warm water
- Geiser
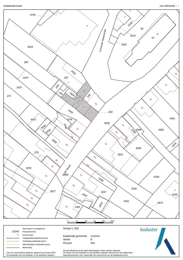
Kadastrale gegevens
- URMOND B 250
- Kadastrale kaart
- Oppervlakte
- 35 m²
- Eigendomssituatie
- Volle eigendom
- URMOND B 251
- Kadastrale kaart
- Oppervlakte
- 40 m²
- Eigendomssituatie
- Volle eigendom
- URMOND B 2939
- Kadastrale kaart
- Oppervlakte
- 34 m²
- Eigendomssituatie
- Volle eigendom
- URMOND B 2940
- Kadastrale kaart
- Oppervlakte
- 14 m²
- Eigendomssituatie
- Volle eigendom
- URMOND B 4021
- Kadastrale kaart
- Oppervlakte
- 35 m²
- Eigendomssituatie
- Volle eigendom
Buitenruimte
- Ligging
- In woonwijk
- Tuin
- Achtertuin
- Achtertuin
- 48 m² (7,30 meter diep en 6,60 meter breed)
- Ligging tuin
- Gelegen op het noordwesten bereikbaar via achterom
Bergruimte
- Schuur/berging
- Vrijstaande stenen berging
Parkeergelegenheid
- Soort parkeergelegenheid
- Op eigen terrein en openbaar parkeren
Foto's 26
© 2001-2026 funda

























