Dit huis op Funda: https://www.funda.nl/detail/koop/veghel/huis-spoorven-66/43091454/

Omschrijving
Ruime hoekwoning met 6 slaapkamers in geliefde wijk 't Ven – Spoorven 66, Veghel
Ben je op zoek naar een instapklare woning met volop ruimte voor het hele gezin? Deze goed onderhouden hoekwoning aan het Spoorven 66 in Veghel biedt alles wat je zoekt: maar liefst zes slaapkamers, een fijne overkapping in de tuin, een stenen berging én een heerlijke ligging in de populaire woonwijk ’t Ven.
Kenmerken in het kort
Bouwjaar: 1995
Woonoppervlakte: ca. 142 m²
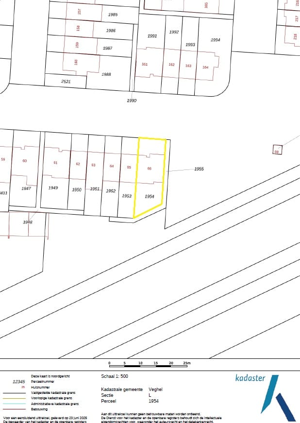
Perceelgrootte: 204 m²
Inhoud: 527 m³
Indeling van de woning
Begane grond
Via de hal betreed je de woning met hier het toilet, de meterkast en trapopgang naar de eerste verdieping.
De begane grond is grotendeels afgewerkt met een donkere natuurstenen tegelvloer met vloerverwarming en stucwerk wanden en plafonds.
De ruime, lichte woonkamer is een fijne plek om samen te komen, en verdeel in een zit- en eetgedeelte. Via de loopdeur is er toegang tot de achtertuin.
De inbouwkeuken staat in open verbinding met de woonkamer en is compleet ingericht met een natuurstenen werkblad, 5-pits gaskookplaat, afzuigkap, oven en een vaatwasser.
De voormalige garage aan de voorzijde van de woning is geheel afgewerkt en ingericht als woonkamer.
Eerste verdieping
Op de eerste verdieping bevinden zich maar liefst vijf slaapkamers, alle voorzien van vloerbedekking. Een van de kamers is in gebruik als 'wasruimte' met hier de witgoedaansluitingen en kastruimte.
De moderne, geheel betegelde badkamer is voorzien van een ligbad, inloopdouche, dubbele wastafel, toilet, design radiator en een dakraam.
Tweede verdieping
Op zolder is een zesde slaapkamer gerealiseerd, goed te gebruiken als bijvoorbeeld logeerkamer of werkruimte. Voorzien van diverse knieschotten die zorgen voor extra opbergruimte, mooi uit het zicht.
Tuin en buitenruimte
De zonnige achtertuin is onderhoudsvriendelijk aangelegd en beschikt over een fijne overkapping waar je heerlijk kunt genieten van het buitenleven. De tuin is uitgevoerd met terras tegels, kunstgras, border met beplanting, een houten schutting en poort met toegang tot eigen achterom.
Aan de achterzijde van de woning bevindt zich een luifel waarmee je op warme dagen de zon buiten houdt.
Achterin de tuin vind je een stenen berging voorzien van elektra – ideaal voor fietsen, gereedschap of tuinmeubilair.
Wonen in een rustige en kindvriendelijke buurt
De woning is gelegen in een rustige straat in de geliefde wijk ’t Ven, een van de meest gewilde woonlocaties in Veghel. Hier woon je op korte afstand van scholen, winkels, sportvoorzieningen en openbaar vervoer. De groene omgeving en het vriendelijke karakter van de wijk maken dit de ideale plek voor gezinnen.
Klaar voor een nieuwe stap?
Spoorven 66 is een woning waar je zó in kunt trekken. De ruimte, de ligging en het onderhoudsniveau maken het tot een perfecte gezinswoning. Interesse? Neem snel contact met ons op voor een bezichtiging.
Kenmerken
Overdracht
- Laatste vraagprijs
- € 450.000 kosten koper
- Vraagprijs per m²
- € 3.169
- Status
- Verkocht
Bouw
- Soort woonhuis
- Eengezinswoning, hoekwoning
- Soort bouw
- Bestaande bouw
- Bouwjaar
- 1995
Oppervlakten en inhoud
- Gebruiksoppervlakten
- Wonen
- 142 m²
- Gebouwgebonden buitenruimte
- 16 m²
- Externe bergruimte
- 12 m²
- Perceel
- 264 m²
- Inhoud
- 527 m³
Indeling
- Aantal kamers
- 8 kamers (6 slaapkamers)
- Aantal badkamers
- 1 badkamer en 1 apart toilet
- Badkamervoorzieningen
- Dubbele wastafel, inloopdouche, ligbad, toilet, en wastafelmeubel
- Aantal woonlagen
- 3 woonlagen
Energie
- Energielabel
- Verwarming
- Cv-ketel
- Warm water
- Cv-ketel
- Cv-ketel
- Remeha (gas gestookt combiketel uit 2016, eigendom)
Kadastrale gegevens
- VEGHEL L 1954
- Kadastrale kaart
- Oppervlakte
- 204 m²
- Eigendomssituatie
- Volle eigendom
- VEGHEL L 1955
- Kadastrale kaart
- Oppervlakte
- 60 m²
- Eigendomssituatie
- Mandelig
Buitenruimte
- Tuin
- Achtertuin en voortuin
Bergruimte
- Schuur/berging
- Vrijstaande stenen berging
Parkeergelegenheid
- Soort parkeergelegenheid
- Op eigen terrein
Foto's 35
© 2001-2026 funda


































