Dit huis op Funda: https://www.funda.nl/detail/koop/venlo/huis-mahoniestraat-11/43209792/

Mahoniestraat 115925 HD VenloKlingerberg-Noord
€ 375.000 k.k.
Omschrijving
Twee onder een kapwoning met grote tuin inclusief overkapping, voorzien van achterom en zeer grote garage. Deze woning omvat diverse extra’s zoals een luxe moderne keuken (2021), nieuw toilet (2022) diverse airco’s (2023), kunststof kozijnen met HR ++ glas en een grote zolder met dakkapel. Deze woning ligt lekker rustig in kindvriendelijke woonwijk.
Begane grond:
Hal, toilet (2022), trapopgang (trap in 2021 gerenoveerd), meterkast (2021), ruime woonkamer met veel lichtinval, gashaard, airco (2023), PVC klikvloer (er is nog een houten vloer onder de PVC-vloer aanwezig), open keuken met moderne inbouwcombinatie (2021) voorzien van inductiekookplaat, afzuigkap, vaatwasser, koelkast en combi oven. De begane grond is geheel voorzien van rolluiken. De verlengde garage biedt ruimte om 2 auto’s te parkeren. De rolpoort aan de straatzijde functioneert niet, de garage is via een loopdeur vanuit de tuinzijde bereikbaar.
1e Verdieping:
Overloop, 3 slaapkamers, de ouderslaapkamer is voorzien van airco (2023) en een schuifkast. Badkamer met ligbad (bubbelbad), douche, wastafel met meubel en toilet. Alle slaapkamers en de badkamer zijn voorzien van rolluiken.
2e Verdieping:
Via vaste trap bereikbaar. Grote zolderruimte met dakkapel. Hier kunnen nog extra slaapkamers gemaakt worden. CV Nefit HR combiketel bjr. 2021 vaste schuifkasten en wasmachine aansluiting.
Tuin:
Direct aan de woning is de overkapping (2025) bereikbaar, hier kun je heerlijk beschut zitten. De tuin is lekker ruim en voorzien van een achterom. Aan de achterzijde van de woning ligt een groenvoorziening er zijn dus geen directe achterburen. Achter in de tuin staat een berging/tuinhuis.
Algemeen:
Rolluiken m.u.v. zolderverdieping. Begane grond en eerste verdieping zijn voorzien van HR ++ glas in kunststof kozijnen. Deze woning ligt aan een rustige woonstraat en aan de achterzijde van de woning ligt een groenvoorziening. Kindvriendelijke omgeving dichtbij scholen en winkels.
• Bouwjaar: 1987
• Perceeloppervlakte: ca. 230m²
• Gebruiksoppervlakte wonen: ca. 119 m²
• Oppervlakte overige inpandige ruimte: ca. 28 m²
• Oppervlakte gebouw gebonden buitenruimte: ca. 18 m²
• Oppervlakte externe bergruimte: ca. 17 m²
• Inhoud: ca. 476 m³
• Energielabel: C
Kenmerken
Overdracht
- Aangeboden sinds
- Aanvaarding
- In overleg
- Vraagprijs
- € 375.000 kosten koper
- Vraagprijs per m²
- € 3.151
- Status
- Beschikbaar
Bouw
- Soort woonhuis
- Eengezinswoning, 2-onder-1-kapwoning
- Soort bouw
- Bestaande bouw
- Bouwjaar
- 1987
- Soort dak
- Zadeldak bedekt met pannen
Oppervlakten en inhoud
- Gebruiksoppervlakten
- Wonen
- 119 m²
- Overige inpandige ruimte
- 28 m²
- Gebouwgebonden buitenruimte
- 18 m²
- Externe bergruimte
- 17 m²
- Perceel
- 230 m²
- Inhoud
- 476 m³
Indeling
- Aantal kamers
- 5 kamers (4 slaapkamers)
- Aantal badkamers
- 1 badkamer en 1 apart toilet
- Badkamervoorzieningen
- Douche, ligbad, toilet, wastafel, wastafelmeubel, en whirlpool
- Aantal woonlagen
- 3 woonlagen
- Voorzieningen
- Airconditioning, rolluiken, en rookkanaal
Energie
- Energielabel
- Isolatie
- Dakisolatie, dubbel glas, muurisolatie en vloerisolatie
- Verwarming
- Cv-ketel
- Warm water
- Cv-ketel
- Cv-ketel
- Nefit HR (gas gestookt combiketel uit 2021, eigendom)
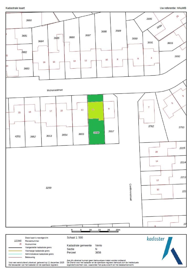
Kadastrale gegevens
- VENLO N 3656
- Kadastrale kaart
- Oppervlakte
- 230 m²
- Eigendomssituatie
- Volle eigendom
Buitenruimte
- Ligging
- Aan rustige weg en in woonwijk
- Tuin
- Achtertuin, voortuin en zijtuin
- Achtertuin
- 104 m² (13,00 meter diep en 8,00 meter breed)
- Ligging tuin
- Gelegen op het zuiden bereikbaar via achterom
Bergruimte
- Schuur/berging
- Vrijstaande houten berging
Garage
- Soort garage
- Aangebouwde stenen garage
- Capaciteit
- 2 auto's
- Voorzieningen
- Elektra
Parkeergelegenheid
- Soort parkeergelegenheid
- Op eigen terrein en openbaar parkeren
Foto's 32
Plattegronden 4
© 2001-2026 funda



































