
Omschrijving
Aan de westkant van Apeldoorn op een kindvriendelijke locatie gelegen, gemoderniseerd en uitgebouwd helft van dubbel woonhuis met aanpandige garage (v.v. zolder) en een vrije fraai aangelegde tuin op het zuiden en grenzend aan een mooi park.
Woonoppervlakte: 143m². Garage: 26m². Perceeloppervlakte: 240m².
Indeling
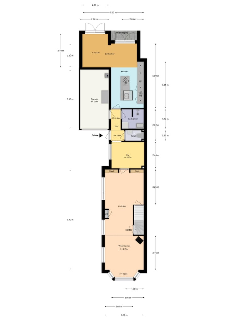
Begane grond: entreehal, modern wandcloset met fonteintje, ruime hal met garderobe, ruime en sfeervolle woonkamer met veel lichtinval, erker, glas in loodramen, houtkachel, kastenwand, houten vloer en toegang tot de provisiekelder (ca. 6m² en stahoogte 1,86m).
Zeer luxe tuingerichte woon-/eetkeuken met kookeiland en kastenwand (hoogglans wit Poggenpohl) voorzien van inductiekookplaat, afzuigkap (geïntegreerd in plafond), vaatwasser, koel-/vriescombinatie, oven, RVS werkblad, vloerverwarming en openslaande deuren naar het terras.
Moderne badkamer voorzien van vloerverwarming, inloop regendouche, wastafelmeubel en aansluiting wasapparatuur.
Vanuit de hal is er toegang tot de garage.
1e verdieping: overloop voorzien van dakkapel (2017), royale slaapkamer aan de voorzijde, moderne badkamer met inloopdouche, 2e toilet en wastafelmeubel met dubbele kranen.
Ruime hoofdslaapkamer aan de achterzijde met vaste kastenwand, deur naar het dakterras en een trap naar de entresol met werkruimte.
2e verdieping: overloop met vaste kast en 2 slaapkamers voorzien van dakramen.
Bouwjaar: 1935. De woning is in 2014 fors uitgebouwd en is volledig voorzien van dubbel glas, vloer-/ muur- en dakisolatie. 22 zonnepanelen, HR cv-combiketel CW5. Energielabel B.
De woning is voorzien van rolluiken op de begane grond en verdieping en de garage is voorzien van een elektrische deur en ruime zolder.
De tuin biedt veel privacy en ligt heerlijk in het groen met zonnige terrassen gesitueerd op het zuiden en toegang naar het park met diverse beekjes en speelvoorzieningen.
Een mooie ligging dichtbij de bossen en diverse voorzieningen zoals sportverenigingen, het centrum van Apeldoorn en uitvalswegen zijn in de directe omgeving.
Interesse in deze woning? Schakel direct uw eigen NVM aankoopmakelaar in. Uw NVM aankoopmakelaar komt op voor uw belang en bespaart u tijd, geld en zorgen.
Kenmerken
Overdracht
- Laatste vraagprijs
- € 639.500 kosten koper
- Vraagprijs per m²
- € 4.472
- Status
- Verkocht
Bouw
- Soort woonhuis
- Eengezinswoning, 2-onder-1-kapwoning
- Soort bouw
- Bestaande bouw
- Bouwjaar
- 1935
- Soort dak
- Zadeldak bedekt met pannen
- Keurmerken
- Energie Prestatie Advies
Oppervlakten en inhoud
- Gebruiksoppervlakten
- Wonen
- 143 m²
- Overige inpandige ruimte
- 26 m²
- Gebouwgebonden buitenruimte
- 3 m²
- Perceel
- 240 m²
- Inhoud
- 583 m³
Indeling
- Aantal kamers
- 7 kamers (4 slaapkamers)
- Aantal badkamers
- 2 badkamers en 1 apart toilet
- Badkamervoorzieningen
- 2 douches, 2 inloopdouches, 2 toiletten, vloerverwarming, dubbele wastafel, en wastafelmeubel
- Aantal woonlagen
- 3 woonlagen
- Voorzieningen
- Dakraam, glasvezelkabel, rolluiken, rookkanaal, TV kabel, en zonnepanelen
Energie
- Energielabel
- Isolatie
- Dakisolatie, dubbel glas, HR-glas, muurisolatie, vloerisolatie en volledig geïsoleerd
- Verwarming
- Cv-ketel, houtkachel en gedeeltelijke vloerverwarming
- Warm water
- Cv-ketel
- Cv-ketel
- Intergas cw5 (gas gestookt combiketel uit 2020, eigendom)
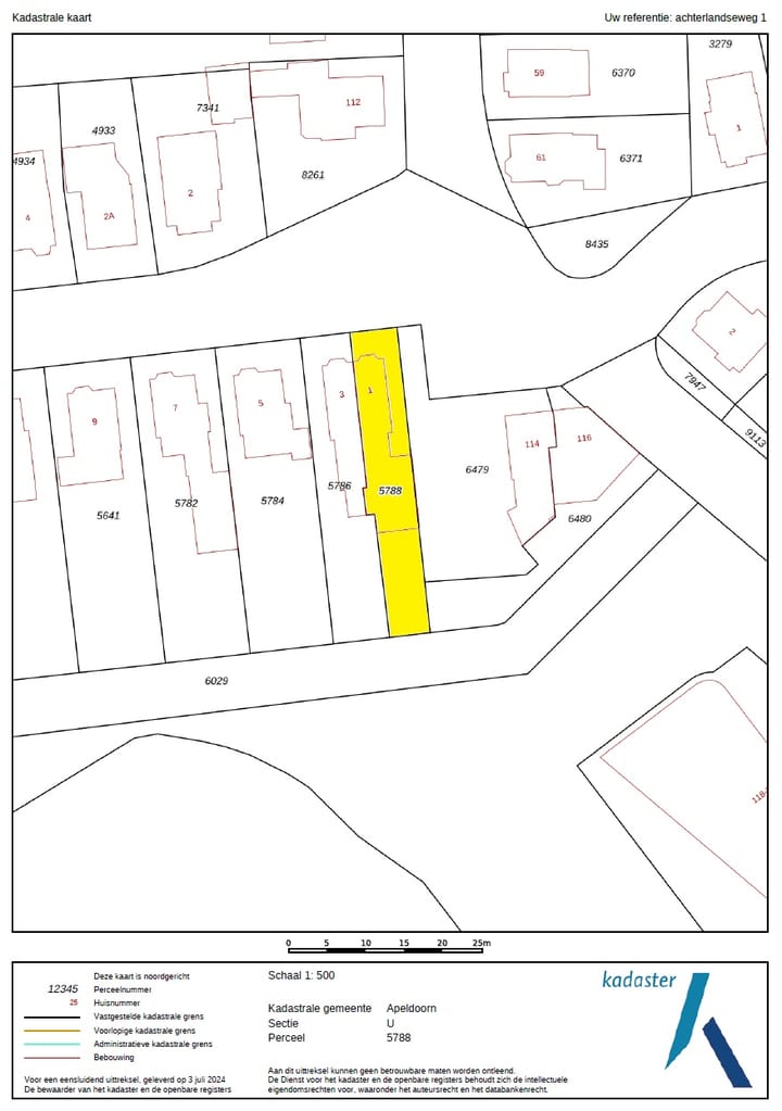
Kadastrale gegevens
- APELDOORN U 5788
- Kadastrale kaart
- Oppervlakte
- 240 m²
- Eigendomssituatie
- Volle eigendom
Buitenruimte
- Ligging
- Aan rustige weg en in woonwijk
- Tuin
- Achtertuin, voortuin en zijtuin
- Achtertuin
- 69 m² (13,00 meter diep en 5,30 meter breed)
- Ligging tuin
- Gelegen op het zuiden bereikbaar via achterom
Garage
- Soort garage
- Aangebouwde stenen garage en parkeerplaats
- Capaciteit
- 1 auto
- Voorzieningen
- Elektrische deur, vliering, elektra, verwarming en stromend water
- Isolatie
- Dakisolatie
Parkeergelegenheid
- Soort parkeergelegenheid
- Op eigen terrein
Foto's 70
© 2001-2026 funda





































































