Dit huis op Funda: https://www.funda.nl/detail/koop/verkocht/bergeijk/huis-loo-66/89271055/

Omschrijving
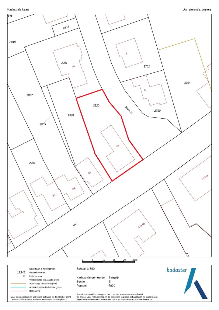
Zeer ruim vrijstaand woonhuis met inpandige garage/berging op een perceel van maar liefst 678 m2 aan het Loo 66 te Bergeijk. Op deze kavel zijn er tal van opties mogelijk o.a. het bouwen van een vrijstaande garage met in-/oprit aan de Breerijt, maar ook uitbouw op de bestaande inrit aan het Loo behoort tot de mogelijkheden. Daarnaast beschikt de woning op dit moment over 6 slaapkamers met de mogelijkheid tot uitbreiding naar 7 slaapkamers waarvan 2 op de begane grond. De woning c.q. kavel is uitermate geschikt voor het creëren van een mantelzorgwoning, omdat er een extra inrit gerealiseerd mag worden aan de 'Breerijt'.
Indeling:
Begane grond:
Via de hal/entree met meterkast (5 groepen en krachtstroom) heeft u toegang tot de woonkamer, toegang tot de ruime slaapkamer (eventueel te splitsen in 2 slaapkamers) en toegang tot de woonkeuken. Deze woonkeuken is in feite het middelpunt met uitvalsmogelijkheden naar de rest van de woning
De ruime woonkeuken heeft veel natuurlijk lichtinval, een dubbele RVS spoelbak, 4-pits gasstel, afzuigkap, en voldoende kastruimte. In de keuken bevindt zich een inbouwkast en de toegang tot de ruime kelder. Via de woonkeuken komt u in de woonkamer met ook weer veel natuurlijk lichtinval en een schouw met de mogelijkheid tot een open haard. Verder loopt u vanuit de keuken in de ruime slaapkamer met zitgedeelte. Ook de slaapkamer beschikt over voldoende natuurlijk lichtinval. Teruggekeerd in de keuken komt u in de bijkeuken met een beperkte tochtvang. In deze tochtvang bevindt zich de achterdeur welke naar de achtertuin leidt en het toilet. Verder bevindt zich in de bijkeuken de badkamer met vaste wastafel, ligbad en inloopdouche. Verder zitten hier de aansluitingen wasmachine en droger, een extra gasaansluiting en een spoelbak met warm- en koud water. Vervolgens kunt u vanuit de bijkeuken naar de inpandige garage/berging.
1e verdieping:
Teruggekeerd in de woonkeuken gaan we via een vaste trap naar de 1e verdieping. Aan de ruime overloop liggen 5 ruime slaapkamers met veel natuurlijk lichtinval waarbij 4 slaapkamers zijn uitgerust met een inbouwkast.
2e verdieping:
Op de overloop van de 1e verdieping kunt u via vlizotrap naar de 2e verdieping, hier treft u een ruime bergzolder aan met de Cv-installatie (Nefit trendline HRC 30CW5 van 2016).
Buitengebeuren:
Volledig omheinde achtertuin met gazon, struiken en vaste planten. Ruime bestrate oprit met diverse parkeerplaatsen op eigen terrein. De voor- en zijtuin hebben een natuurlijke erfafscheiding met vaste planten.
Algemeen:
- Volledig voorzien van spouwmuurisolatie.
- Gedeeltelijk voorzien van dubbele beglazing.
- Eternietplaten als dakbeschot.
- Ruime oprit.
- Mogelijkheid tot het realiseren van een garage met op-/uitrit aan de Breerijt.
- Mogelijkheid tot uitbouw van de bestaande woning op diverse plaatsen.
- Mogelijkheid tot het realiseren van een 7e slaapkamer.
- Achtertuin is NOORD gelegen.
Bijzonderheden
Voor een volgende eigenaar bestaat er de mogelijkheid tot het kosteloos laten aanbrengen van geluidwerende voorzieningen en ventilatievoorzieningen in opdracht van de gemeente Bergeijk. Voor deze woning ligt er een voorstel voor het kosteloos aanbrengen van nieuwe kunststof kozijnen voor de bovenverdieping en enkele glasdelen op de begane grond. De nieuwe eigenaar kan kiezen om deze overeenkomst over te nemen en akkoord gaan met de uitvoering hiervan. Eventuele extra wensen zijn af te spreken met de uitvoerende aannemer.
Kenmerken
Overdracht
- Laatste vraagprijs
- € 459.000 kosten koper
- Vraagprijs per m²
- € 2.608
- Status
- Verkocht
Bouw
- Soort woonhuis
- Eengezinswoning, vrijstaande woning
- Soort bouw
- Bestaande bouw
- Bouwjaar
- 1955
- Soort dak
- Zadeldak
Oppervlakten en inhoud
- Gebruiksoppervlakten
- Wonen
- 176 m²
- Overige inpandige ruimte
- 93 m²
- Perceel
- 678 m²
- Inhoud
- 840 m³
Indeling
- Aantal kamers
- 8 kamers (6 slaapkamers)
- Aantal woonlagen
- 3 woonlagen
Energie
- Energielabel
- Niet beschikbaar
- Isolatie
- Gedeeltelijk dubbel glas en muurisolatie
- Verwarming
- Cv-ketel
- Cv-ketel
- 2016
Kadastrale gegevens
- BERGEIJK E 2820
- Kadastrale kaart
- Oppervlakte
- 678 m²
- Eigendomssituatie
- Volle eigendom
Buitenruimte
- Ligging
- Aan drukke weg
- Tuin
- Tuin rondom
Garage
- Soort garage
- Inpandig en parkeerplaats
- Capaciteit
- 1 auto
Foto's 41
© 2001-2026 funda








































