
Omschrijving
Gebouwd in 1910 met een grootscheepse renovatie in 1990 waar feitelijk alleen de voorgevel is blijven staan.
Een klassieke uitstraling met de gemakken van het moderne wonen.
Uitstekend geïsoleerd, fraai gemoderniseerd en uitstekend verduurzaamd (oa 10 zonnepanelen).
Met een ca 131m2 woonoppervlakte op een kavel van 583m2 tegen de rand van het tegenover liggende Paleispark.
Een prachtig natuurgebied waar je naar hartenlust kunt wandelen en fietsen.
Een dubbele carport, een stenen atelier/ verwarmde werkplek/ schuur met zolder (pannen gedekt), een veranda/ terrasoverkapping, een verwarmd zwembad en een royale berging met filtersysteem, machine- en bergruimte maken het geheel compleet.
Indeling: entree/ hal vv plavuizenvloer met comfortabele vloerverwarming.
Modern toilet, trapopgang met vide.
Royale L-vormige woonkamer met openslaande deuren naar tuin. Ruime keuken met aansluitend de bijkeuken/ achterom vv. pellet-CV installatie, 80L. boiler. De woning is van het gas af.
De keuken is vv. van alle mogelijke functionele apparatuur.
Naast de entree staat een solide veranda met afsluitbare zijkanten.
Verdieping: 3 slaapkamers van royaal formaat, dakkapel en loggia.
De badkamer heeft een inloopdouche, dubbele wastafel en een sauna.
De 2e toilet is separaat vanuit de hal bereikbaar.
Vlizotrap naar ruime bergzolder.
Wenum-Wiesel is één van de meest geliefde woonomgevingen in de buurt van Apeldoorn.
Een afwisselend landschap met veel variatie in bebouwing, veel ruimte en groen en vlakbij alle voorzieningen van het om de hoek gelegen Apeldoorn.
Een heerlijke plek om te wonen.
Ben je gek op de natuur? Dan woon je hier ook op een toplocatie.
Interesse in dit huis? Schakel direct uw eigen NVM aankoopmakelaar in.
Uw NVM aankoopmakelaar komt op voor uw belang en bespaart u tijd, geld en zorgen.
Kenmerken
Overdracht
- Laatste vraagprijs
- € 650.000 kosten koper
- Vraagprijs per m²
- € 5.159
- Status
- Verkocht
Bouw
- Soort woonhuis
- Eengezinswoning, 2-onder-1-kapwoning
- Soort bouw
- Bestaande bouw
- Bouwjaar
- 1990
- Soort dak
- Dwarskap bedekt met pannen
Oppervlakten en inhoud
- Gebruiksoppervlakten
- Wonen
- 126 m²
- Gebouwgebonden buitenruimte
- 34 m²
- Externe bergruimte
- 66 m²
- Perceel
- 583 m²
- Inhoud
- 475 m³
Indeling
- Aantal kamers
- 5 kamers (3 slaapkamers)
- Aantal badkamers
- 1 badkamer en 2 aparte toiletten
- Badkamervoorzieningen
- Sauna, douche, en dubbele wastafel
- Aantal woonlagen
- 2 woonlagen
- Voorzieningen
- Sauna, TV kabel, zonnepanelen, en zwembad
Energie
- Energielabel
- Isolatie
- HR-glas en volledig geïsoleerd
- Verwarming
- Pelletkachel en gedeeltelijke vloerverwarming
- Warm water
- Elektrische boiler
Kadastrale gegevens
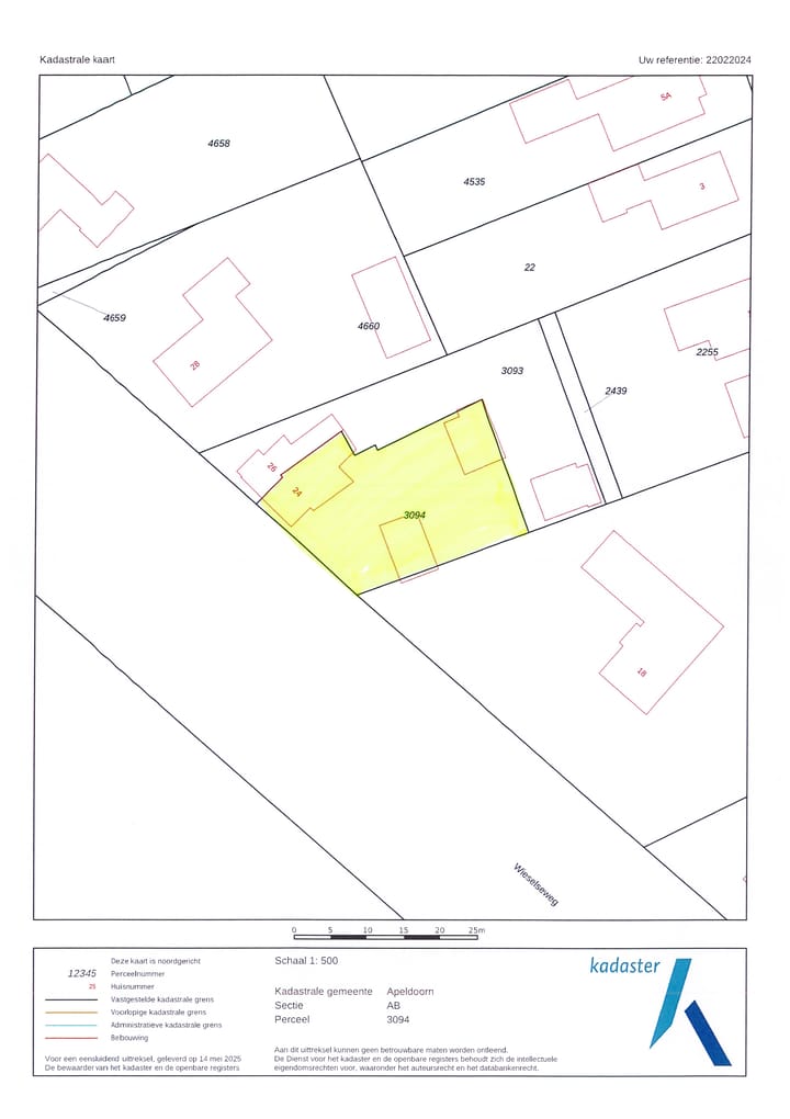
- APELDORN AB 3094
- Kadastrale kaart
- Oppervlakte
- 583 m²
- Eigendomssituatie
- Volle eigendom
Buitenruimte
- Ligging
- Aan bosrand, in bosrijke omgeving, landelijk gelegen en vrij uitzicht
- Tuin
- Achtertuin
- Achtertuin
- 204 m² (17,00 meter diep en 12,00 meter breed)
- Ligging tuin
- Gelegen op het zuidoosten
Bergruimte
- Schuur/berging
- Vrijstaande houten berging
- Voorzieningen
- Elektra en stromend water
Garage
- Soort garage
- Carport, parkeerplaats en vrijstaande stenen garage
- Capaciteit
- 1 auto
- Voorzieningen
- Vliering en elektra
Parkeergelegenheid
- Soort parkeergelegenheid
- Op eigen terrein
Foto's 45
© 2001-2026 funda












































