Dit huis op Funda: https://www.funda.nl/detail/koop/zevenaar/huis-pelgromstraat-7/43194703/

BlikvangerVrijstaande woning met ruimte, comfort en volop mogelijkheden!
Omschrijving
Vrijstaande woning met ruimte, comfort en volop mogelijkheden!
Ben je op zoek naar een vrijstaande woning met veel leefruimte, een fijne tuin én mogelijkheden om je eigen woonwensen door te voeren? Dan is deze woning aan de Pelgromstraat 7 in Zevenaar zeker een bezoek waard! Met een woonoppervlakte van 123,2 m², vier slaapkamers en diverse recente verbeteringen biedt dit huis een solide basis om naar eigen smaak verder af te werken.
Pluspunten op een rij:
• Ruime woonkamer met gestuukte wanden en plafonds
• Badkamer en toilet vernieuwd in 2022
• Keuken voorzien van nieuwe apparatuur, kasten en tegelvloer
• Vier volwaardige slaapkamers
• Kleine kelder aanwezig voor extra bergruimte
• Zoldervliering aanwezig (dakbeschot bevat asbest)
• Grotendeels kunststof kozijnen met HR++ glas
• Wanden en vloer na geïsoleerd in 2023
• Overkapping in de achtertuin gerealiseerd in 2024
• Airco aanwezig
• HR107 combiketel uit 2010
• Energielabel D
De basis van de woning is sterk en veel belangrijke onderdelen zijn al aangepakt. Zo profiteer je van moderne sanitaire voorzieningen, de verbeterde isolatie en een keuken die recent deels is vernieuwd. Er blijft tegelijkertijd ruimte om het huis naar eigen smaak verder te moderniseren.
De tuin rondom de woning is voorzien van een praktische overkapping: dé plek voor gezellige avonden buiten. Dankzij de vrijstaande ligging geniet je bovendien van veel privacy. De kelder biedt extra opbergmogelijkheden, terwijl de vliering handige bergruimte toevoegt.
Ligging
De Pelgromstraat ligt op een bijzonder gunstige locatie. Op loopafstand vind je het station van Zevenaar, waarmee je in korte tijd in Arnhem of Doetinchem bent. Ook het bruisende centrum van Zevenaar ligt vlakbij, met een breed aanbod aan winkels, restaurants, cafés en culturele voorzieningen zoals het theater en de bioscoop. Daarnaast zijn scholen, sportfaciliteiten en uitvalswegen snel en eenvoudig bereikbaar. Hier woon je rustig, maar toch met alles wat je nodig hebt binnen handbereik.
Kortom: een leuke vrijstaande woning met comfort, gemoderniseerde voorzieningen én ruimte om er jouw ideale thuis van te maken!
Meer informatie op Pelgromstraat7.nl
Interesse in dit huis? Schakel direct uw eigen NVM-aankoopmakelaar in. Uw NVM-aankoopmakelaar komt op voor uw belang en bespaart u tijd en zorgen. Adressen van collega NVM-aankoopmakelaars vindt u op Funda
Kenmerken
Overdracht
- Oorspronkelijke vraagprijs
- € 489.000 kosten koper
- Aangeboden sinds
- Aanvaarding
- In overleg
- Vraagprijs
- € 425.000 kosten koper
- Vraagprijs per m²
- € 3.455
- Status
- Verkocht onder voorbehoud
Bouw
- Soort woonhuis
- Eengezinswoning, vrijstaande woning
- Soort bouw
- Bestaande bouw
- Bouwjaar
- 1961
- Soort dak
- Zadeldak bedekt met pannen
- Keurmerken
- Energie Prestatie Advies
Oppervlakten en inhoud
- Gebruiksoppervlakten
- Wonen
- 123 m²
- Overige inpandige ruimte
- 33 m²
- Gebouwgebonden buitenruimte
- 20 m²
- Perceel
- 231 m²
- Inhoud
- 551 m³
Indeling
- Aantal kamers
- 5 kamers (3 slaapkamers)
- Aantal badkamers
- 1 badkamer en 1 apart toilet
- Badkamervoorzieningen
- Douche, toilet, en wastafel
- Aantal woonlagen
- 2 woonlagen, een vliering, en een kelder
- Voorzieningen
- Airconditioning, natuurlijke ventilatie, rolluiken, en TV kabel
Energie
- Energielabel
- Isolatie
- Dubbel glas, grotendeels dubbelglas, muurisolatie en vloerisolatie
- Verwarming
- Cv-ketel
- Warm water
- Cv-ketel
- Cv-ketel
- HR 107 (gas gestookt combiketel uit 2010, eigendom)
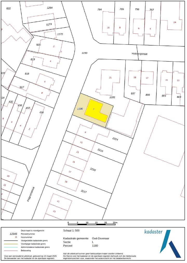
Kadastrale gegevens
- OUD-ZEVENAAR L 1180
- Kadastrale kaart
- Oppervlakte
- 231 m²
- Eigendomssituatie
- Volle eigendom
Buitenruimte
- Ligging
- In centrum en in woonwijk
- Tuin
- Tuin rondom
- Balkon/dakterras
- Balkon aanwezig
Bergruimte
- Schuur/berging
- Aangebouwde houten berging
Garage
- Soort garage
- Parkeerplaats
Parkeergelegenheid
- Soort parkeergelegenheid
- Openbaar parkeren
Foto's 51
Plattegronden 4
© 2001-2026 funda






















































