Dit huis op Funda: https://www.funda.nl/detail/koop/zoetermeer/huis-bunuelstrook-75/43886283/

Omschrijving
***** Indien u deze mooie woning wilt bezichtigen dan verzoeken wij u vriendelijk om niet meer naar kantoor te bellen maar om ons te mailen. U kunt uw mail richten aan ons info adres. Wij zullen uw mail dan beantwoorden met uitleg over de procedure die we zullen volgen. Alle gegadigden krijgen van ons een eerlijke kans om deze woning te kopen. We zien uw mail graag tegemoet. *****
Met een vrij uitzicht op de groenstrook ligt deze goed onderhouden eengezinswoning met een tuingerichte woonkamer, nette keuken, drie slaapkamers op de eerste verdieping, goed sanitair, een royale tweede verdieping met dakkapel voor en achter en een fraai uitzicht op het groen. De ligging is goed met belangrijke voorzieningen in de buurt o.a. het Stadshart van Zoetermeer met een ruime keuze uit het winkelaanbod, het wijkwinkelcentrum, openbaar vervoer, scholen, parken en uitvalswegen naar het hoofdwegennet binnen enkele minuten te bereiken.
Deze woning beschikt verder over een eigen oprit en openbaar parkeergelegenheid in de directe omgeving.
Woonbeleving van de eigenaar:
"Wij hebben de woning in Januari 1986 aangekocht en wonen dus nu al zo'n 39 jaar met veel plezier in dit huis. Enkele voordelen zijn de rustige kindvriendelijke wijk, de eigen parkeerplaats, de zonnige tuin met achteruitgang naar het speelveld en de ruimte in de woning. De ruimte hebben we in 1996 uitgebreid door (tegelijk met de buren) de 2e verdieping door een aannemer te laten bouwen. Onze kinderen zijn hier opgegroeid en nu al een aantal jaren het huis uit, reden voor ons dat het nu tijd is om kleiner en gelijkvloers te gaan wonen."
Indeling:
Begane grond:
Bestrate voortuin voorzien van grote lichte siertegels en diverse beplantingen. Zij-entree met een opstelplaats voor een wasmachine en/of droger en een vliering voor extra bergruimte. Aan de voorzijde de keuken 2.60x2.53 in een hoekopstelling voorzien van diverse inbouwapparatuur o.a. een 4 pits gaskookplaat met wokbrander, afzuigkap, vaatwasser, oven en veel bergruimte door de goede opstelling van de keuken. Verder is de keuken voorzien van fraaie composieten werkbladen en diverse inbouwverlichting. Aan de voorzijde veel lichtinval door de verschillende ramen. Meterkast (5-groepen en een aardlekschakelaar). Tuingerichte woonkamer 6.38/4.53x4.91 met veel lichtinval door het grote raam en uitzicht op de tuin. De zonnige achtertuin is gelegen op het zuidoosten en is ca. 10,5 m diep. Aan de gevel hangt een woningbreed zonnescherm. De tuin is verder voorzien van sierbestrating, verschillende onderhoudsvriendelijke beplantingen, een berging voor uw tuinspullen, elektra aansluiting achter in de tuin en een achterom naar het grote achtergelegen speelveld. Tussenliggende gesloten trapopgang en een separate toiletruimte met fonteintje. De begane grond is grotendeels voorzien van een lichte laminaatvloer.
1e Verdieping:
Overloop, hoofdslaapkamer 3.42x2.69 aan de voorzijde met elektrische rolluik en uitzicht over de omgeving. Geheel betegelde badkamer 2.13x1.61 voorzien van een verlaagd plafond met spots. De badkamer beschikt verder over een douchegelegenheid, wastafel, badkamerkast, spiegel met verlichting, zwevend toilet en een handdoekradiator. Tweede slaapkamer met dakraam 4.67x2.69 ingericht als werkkamer met uitzicht op de groenstrook. Derde slaapkamer 3.70x2.12 met dakraam ingericht als kastenkamer maar zeer geschikt als logeer of kinderkamer.
Separate bergkast met de opstelplaats voor de cv-ketel (Intergas HRE 28/24A uit juli 2024).
2e Verdieping:
Multifunctionele ruimte van 4.04x5.12 met mogelijkheid voor het maken van één of twee slaapkamers. Zowel de voor als achterzijde is voorzien van een dakkapel (geheel van kunststof) waardoor er extra ruimte is gecreëerd van ca. 26 m² en veel lichtinval door de verschillen ramen. Vouwtrap naar bevloerde bergzolder over de volledige breedte van de woning voorzien van elektra en veel bergruimte. Daarnaast veel bergruimte achter de knieschotten.
Kortom heerlijk wonen in deze grote eengezinswoning gelegen binnen de rustige populaire wijk De Leyens met vrij uitzicht op de groenstrook en een eigen oprit.
Omgevingskenmerken:
De rustige ligging in deze mooie omgeving zorgt voor veel woonplezier. Faciliteiten zoals een groot speelveld, recreatieve voorzieningen, scholen en openbaar vervoer liggen in de directe nabijheid, evenals het Stadshart van Zoetermeer en het station. Tevens op korte afstand van het hoofdwegennet.
Bijzonderheden:
Bouwjaar 1978.
Woonoppervlakte ca. 114 m².
Berging: 1 m².
Inhoud ca. 395 m³.
135 m² eigen grond.
De plattegrond achteraan de fotoserie is indicatief. Deze kan afwijken van de feitelijke situatie en is uitsluitend bedoeld om u een idee te geven van de indeling.
Voorzien van dak en muurisolatie.
Geheel voorzien van dubbel glas m.u.v. het zijraam bij de entree.
De 1e en 2e verdieping zijn geheel voorzien van kunststof kozijnen.
Definitief energielabel: C; geldig tot 26-04-2034.
De buitenmuren zijn in 2021 gereinigd, geïmpregneerd en voorzien van nieuw voegwerk.
Buitenschilderwerk uitgevoerd in 2023.
Aanvaarding: in overleg.
Bij de verkopende NVM makelaar kunt u de volgende stukken opvragen:
• De door verkoper ingevulde vragenlijst
• De Lijst van Roerende Zaken
• Algemene voorwaarden van de NVM
• Gebruikelijke Algemene Voorwaarden van de verkopende NVM makelaar
Deze informatie is door ons met de nodige zorgvuldigheid samengesteld, maar er kunnen geen rechten aan worden ontleend. Onzerzijds wordt geen enkele aansprakelijkheid aanvaard voor enige onvolledigheid, onjuistheid of anderszins, dan wel de gevolgen daarvan. Alle opgegeven maten en oppervlakten zijn indicatief. Van toepassing zijn de NVM voorwaarden, alsmede de gebruikelijke Algemene Voorwaarden van de verkopende NVM makelaar.
Heeft u vragen over deze woning of over onze dienstverlening neem dan gerust contact met ons op.
Kenmerken
Overdracht
- Laatste vraagprijs
- € 425.000 kosten koper
- Vraagprijs per m²
- € 3.728
- Status
- Verkocht
Bouw
- Soort woonhuis
- Eengezinswoning, tussenwoning
- Soort bouw
- Bestaande bouw
- Bouwjaar
- 1978
- Soort dak
- Zadeldak bedekt met pannen
Oppervlakten en inhoud
- Gebruiksoppervlakten
- Wonen
- 114 m²
- Externe bergruimte
- 1 m²
- Perceel
- 135 m²
- Inhoud
- 395 m³
Indeling
- Aantal kamers
- 5 kamers (4 slaapkamers)
- Aantal badkamers
- 1 badkamer en 1 apart toilet
- Badkamervoorzieningen
- Douche, toilet, en wastafel
- Aantal woonlagen
- 3 woonlagen en een vliering
- Voorzieningen
- Buitenzonwering, dakraam, rolluiken, en TV kabel
Energie
- Energielabel
- Isolatie
- Dakisolatie, dubbel glas en muurisolatie
- Verwarming
- Cv-ketel
- Warm water
- Cv-ketel
- Cv-ketel
- Intergas HRE 28/24A (gas gestookt combiketel uit 2024, eigendom)
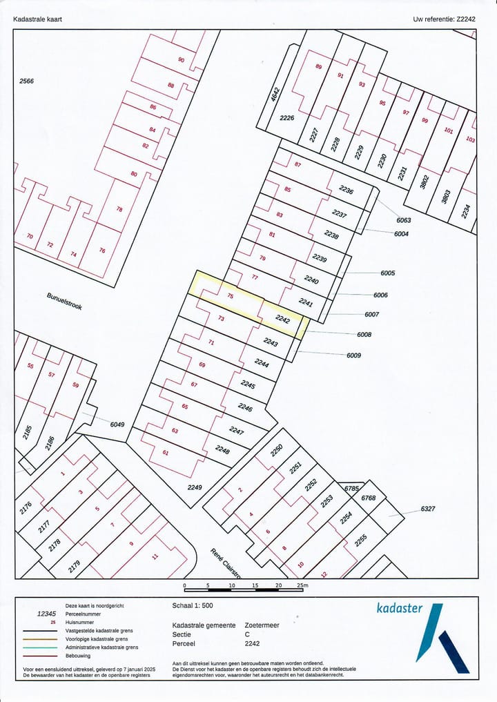
Kadastrale gegevens
- ZOETERMEER C 2242
- Kadastrale kaart
- Oppervlakte
- 127 m²
- Eigendomssituatie
- Volle eigendom
- ZOETERMEER C 6008
- Kadastrale kaart
- Oppervlakte
- 8 m²
- Eigendomssituatie
- Volle eigendom
Buitenruimte
- Ligging
- Aan rustige weg, in woonwijk en vrij uitzicht
- Tuin
- Achtertuin en voortuin
- Achtertuin
- 52 m² (10,50 meter diep en 5,00 meter breed)
- Ligging tuin
- Gelegen op het zuidoosten bereikbaar via achterom
Bergruimte
- Schuur/berging
- Aangebouwde stenen berging
Garage
- Soort garage
- Parkeerplaats
Parkeergelegenheid
- Soort parkeergelegenheid
- Op eigen terrein en openbaar parkeren
Foto's 41
© 2001-2026 funda








































