Dit huis op Funda: https://www.funda.nl/detail/koop/zwolle/huis-schumannlaan-161/43212816/

Schumannlaan 1618031 EZ ZwolleHoltenbroek I
€ 390.000 k.k.
Omschrijving
Comfortabel wonen in Holtenbroek, met het centrum van Zwolle op fietsafstand
In een rustige en centraal gelegen straat in de wijk Holtenbroek staat deze goed onderhouden tussenwoning met aangebouwde serre en vrijstaande berging. Een ideale woning voor wie op zoek is naar extra ruimte, comfort en een fijne woonomgeving. Het bruisende centrum van Zwolle bereik je al binnen 10 minuten fietsen, terwijl alle dagelijkse voorzieningen zich op loopafstand bevinden.
De woning is gebouwd in 2005, in 2015 uitgebreid met een royale serre en in 2019 gemoderniseerd met een nieuwe cv-ketel en mechanische ventilatie. Dit zorgt voor een prettige, energiezuinige basis.
De serre vormt een heerlijke extra leefruimte en is uitgevoerd met een vlondervloer en glazen schuifdeuren naar de tuin – ideaal om het hele jaar door van binnen en buiten te genieten.
Pluspunten
- aangebouwde serre als verlengstuk van de woonkamer;
- drie slaapkamers;
- verzorgd aangelegde achtertuin met achterom;
- gunstige ligging in de wijk én nabij het centrum van Zwolle;
Indeling
Begane grond: Hal/entree | Toilet | Keuken | Woonkamer | Trapkast
Verdieping: Drie slaapkamers | Badkamer | CV-ruimte | Waskast
Bijzonderheden & voorzieningen
- warm water en verwarming via de CV-ketel (2019);
- woonkamer met laminaatvloer en deur naar de serre;
- keuken met inbouwkeuken (L-opstelling) en apparatuur;
- ruime serre met vlonder en glazen schuifdeuren naar de tuin;
- vrijstaande houten berging met luifel en zonnescherm;
- drie slaapkamers op de verdieping waarvan één over de volle breedte;
- badkamer met dubbele wastafel, toilet en douchehoek;
- keurig aangelegde achtertuin met achterom en grenzend aan een mandelig terrein;
Kortom: een comfortabele en complete gezinswoning op een uitstekende locatie. Ideaal voor wie de volgende stap wil zetten en op zoek is naar ruimte, licht en woonplezier in Zwolle.
Kenmerken
Overdracht
- Aangeboden sinds
- Aanvaarding
- In overleg
- Vraagprijs
- € 390.000 kosten koper
- Vraagprijs per m²
- € 4.062
- Status
- Beschikbaar
Bouw
- Soort woonhuis
- Eengezinswoning, tussenwoning
- Soort bouw
- Bestaande bouw
- Bouwjaar
- 2005
- Specifiek
- Gedeeltelijk gestoffeerd
- Soort dak
- Plat dak bedekt met bitumineuze dakbedekking
Oppervlakten en inhoud
- Gebruiksoppervlakten
- Wonen
- 96 m²
- Gebouwgebonden buitenruimte
- 15 m²
- Externe bergruimte
- 9 m²
- Perceel
- 130 m²
- Inhoud
- 339 m³
Indeling
- Aantal kamers
- 4 kamers (3 slaapkamers)
- Aantal badkamers
- 1 badkamer en 1 apart toilet
- Badkamervoorzieningen
- Douche, dubbele wastafel, en toilet
- Aantal woonlagen
- 2 woonlagen
- Voorzieningen
- Mechanische ventilatie en TV kabel
Energie
- Energielabel
- Isolatie
- Dakisolatie, HR-glas, muurisolatie en vloerisolatie
- Verwarming
- Cv-ketel
- Warm water
- Cv-ketel
- Cv-ketel
- Intergas HR (gas gestookt combiketel uit 2019, eigendom)
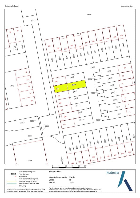
Kadastrale gegevens
- ZWOLLE H 2674
- Kadastrale kaart
- Oppervlakte
- 130 m²
- Eigendomssituatie
- Volle eigendom
Buitenruimte
- Ligging
- In woonwijk
- Tuin
- Achtertuin
- Achtertuin
- 66 m² (12,00 meter diep en 5,50 meter breed)
- Ligging tuin
- Gelegen op het oosten bereikbaar via achterom
Bergruimte
- Schuur/berging
- Vrijstaande houten berging
- Voorzieningen
- Elektra
Parkeergelegenheid
- Soort parkeergelegenheid
- Op afgesloten terrein en openbaar parkeren
Foto's 33
Plattegronden 3
© 2001-2026 funda



































