
Omschrijving
Keurige 8-persoons recreatiewoning gelegen op het heuvelige en sfeervolle Landal de Lommerbergen.
Landal de Lommerbergen ligt op één van de mooiste plekjes aan de Maas in Limburg. Dit veelzijdige recreatiepark is gelegen in een heuvelachtige en bosrijke omgeving en nodigt daarmee het hele jaar door uit tot vermaak in de buitenlucht. Met 500 accommodaties is dit één van de grotere vakantieparken van Landal GreenParks. Er is dan ook voldoende te beleven voor jong en oud. Neem een duik in het subtropische zwemparadijs, beleef avonturen op het multifunctioneel sportveld, speel een potje tennis op de vernieuwde tennisbaan óf huur een fiets om de omgeving te ontdekken. Shopliefhebbers kunnen daarnaast in Roermond en Venlo uitgebreid op koopjesjacht gaan of breng een bezoek aan het attractiepark Toverland.
Deze recreatiewoning is geschikt voor maximaal 8 personen en beschikt over 4 slaapkamers en 2 badkamers. De bungalow dateert uit 1988 en is door de jaren heen flink gerenoveerd, medio 2021 is de gehele woning vernieuwd. Denk hierbij aan een nieuwe keuken, nieuw sanitair en een nieuwe inventaris. Dit geeft het geheel weer een fris en modern karakter.
De woning is gelegen aan de rand van het recreatiepark, op een perceel eigen grond van 459m2. De woning wordt gedurende het gehele jaar recreatief verhuurd via Landal GreenParks. Als woningeigenaar heeft u uiteraard ook mogelijk om de woning zelf te bezoeken, zie hiervoor de uitgebreide verkoopbrochure.
Indeling:
Entree, toilet, lichte woonkamer met open haard, eethoek, open keuken, vier slaapkamers, badkamer met ligbad dubbele wastafel en toilet, badkamer met inloopdouche en wastafel, berging.
Kenmerken:
- Recreatiewoning gelegen op perceel eigen grond;
- Recreatiewoning met aantrekkelijk verhuurrendement;
- Volledig eigen gebruik en/of gemeentelijke inschrijving is niet mogelijk op Landal de Lommerbergen.
Benieuwd als deze recreatiewoning aan uw wensen voldoet? Neem contact op voor meer informatie en/of het inplannen van een bezichtiging!
Kenmerken
Overdracht
- Laatste vraagprijs
- € 150.000 kosten koper
- Status
- Verkocht
- Permanente bewoning
- Permanente bewoning is niet toegestaan
Bouw
- Soort woonhuis
- Bungalow, geschakelde woning
- Soort bouw
- Bestaande bouw
- Bouwjaar
- 1988
- Specifiek
- Gemeubileerd en gestoffeerd
- Soort dak
- Plat dak bedekt met bitumineuze dakbedekking
Oppervlakten en inhoud
- Gebruiksoppervlakten
- Wonen
- 90 m²
- Perceel
- 459 m²
- Inhoud
- 316 m³
Indeling
- Aantal kamers
- 5 kamers (4 slaapkamers)
- Aantal badkamers
- 2 badkamers en 1 apart toilet
- Badkamervoorzieningen
- Ligbad, toilet, 2 wastafels, en douche
- Aantal woonlagen
- 1 woonlaag
- Voorzieningen
- Rookkanaal en TV kabel
Energie
- Energielabel
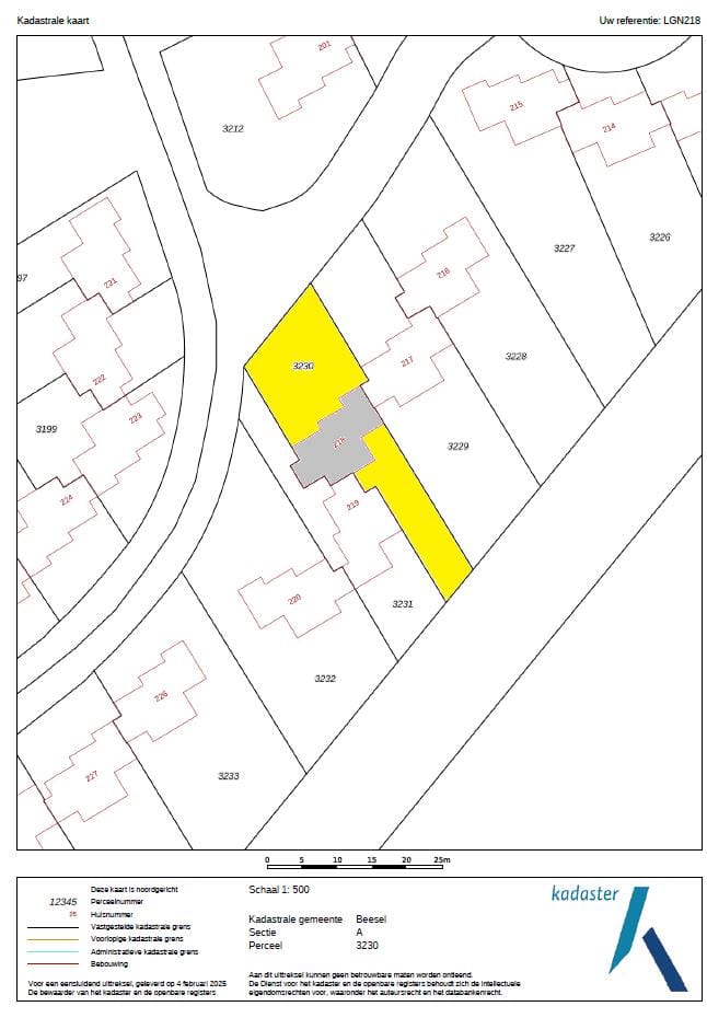
Kadastrale gegevens
- BEESEL A 3230
- Kadastrale kaart
- Oppervlakte
- 459 m²
- Eigendomssituatie
- Volle eigendom
Buitenruimte
- Ligging
- Aan park, aan rustige weg en in recreatiepark
- Tuin
- Achtertuin en voortuin
Bergruimte
- Schuur/berging
- Inpandig
Parkeergelegenheid
- Soort parkeergelegenheid
- Openbaar parkeren
Foto's 28
© 2001-2026 funda



























