This house on Funda: https://www.funda.nl/en/detail/89304687/

Description
Ruime tussenwoning te koop op een gunstige locatie nabij het centrum van Ommen. De woning is uitgebouwd aan de achterkant en heeft in totaal 126m² aan woonoppervlakte.
De woning is gelegen op een perceel van 198m² en is flink verduurzaamd door het plaatsen van 12 zonnepanelen, en is voorzien van kunststof kozijnen met HR+++ glas.
Aan de binnenkant is de woning erg strak en modern afgewerkt, tevens is er over de gehele begane grond vloerverwarming aangelegd.
Op loopafstand vind je het multifunctionele gebouw 'De Carroussel' met zwembad, sporthal, bibliotheek en cultureel centrum. Ook zijn het centrum, basisscholen en supermarkten op korte afstand gelegen.
Indeling van de woning
Begane grond: Via de entree is het toilet, de meterkast, een trapkast, de trapopgang naar boven en de keuken te bereiken. De keuken ligt voor een gedeelte in de uitbouw en grenst aan de woonkamer. De woonkamer ligt aan de voorkant van de woning en is voorzien van een erker met veel glas wat voor veel lichtinval zorgt. Aan de achterzijde is een grote nieuwe pui geplaatst met openslaande deuren naar buiten. Zo loop je vanuit de woonkamer zo de achtertuin in en kunnen de deuren zomers heerlijk open staan. De keuken is voorzien van inbouwapparatuur zoals een combi-oven/magnetron, vaatwasser en kookplaat. Vanuit de keuken is de bijkeuken te bereiken. De bijkeuken is voorzien van de witgoedaansluiting en een extra keukenblok. Ook geeft de bijkeuken toegang tot de achtertuin.
1e verdieping: Via de overloop zijn 3 slaapkamers en de badkamer te bereiken. Eén van de slaapkamers geeft toegang tot het balkon welke gelegen is op het westen.
De badkamer is voorzien van een bad/douche combinatie, een toilet, een wandradiator en een enkele wastafel met meubel.
2e verdieping: Via de overloop, waar ook de cv installatie geïnstalleerd is, is de ruime 4e slaapkamer te vinden. De slaapkamer is voorzien van een dakkapel wat de kamer heel ruimtelijk maakt.
Buiten: De achtertuin is gelegen op het oosten en biedt veel privacy om lekker te bbq'en en van de zon te genieten.
Ook is de achtertuin voorzien van een overkapping en een schuur welke ideaal is voor het stallen van de fietsen. De tuin is ook achterom te bereiken.
Bijzonderheden:
- Gelegen op een kavel van 198 m²;
- De woning is voorzien van energielabel B;
- De woning is uitgebouwd en voorzien van een dakkapel;
- Voorzien van 12 zonnepanelen;
- Vloerverwarming over de gehele begane grond;
- De hele woning is voorzien van kunststof kozijnen en HR+++ glas;
- De tuin is ook achterom bereikbaar;
- Op loopafstand van supermarkt, centrum en andere voorzieningen.
Features
Transfer of ownership
- Last asking price
- € 325,000 kosten koper
- Asking price per m²
- € 2,579
- Status
- Sold
Construction
- Kind of house
- Single-family home, row house
- Building type
- Resale property
- Year of construction
- 1970
- Type of roof
- Gable roof covered with roof tiles
Surface areas and volume
- Areas
- Living area
- 126 m²
- Other space inside the building
- 9 m²
- Exterior space attached to the building
- 9 m²
- Plot size
- 198 m²
- Volume in cubic meters
- 459 m³
Layout
- Number of rooms
- 6 rooms (4 bedrooms)
- Number of bath rooms
- 1 bathroom and 1 separate toilet
- Bathroom facilities
- Shower, bath, toilet, sink, and washstand
- Number of stories
- 3 stories
- Facilities
- Optical fibre, mechanical ventilation, passive ventilation system, and solar panels
Energy
- Energy label
- B
- Insulation
- Roof insulation, energy efficient window and insulated walls
- Heating
- CH boiler and complete floor heating
- Hot water
- CH boiler and electrical boiler
- CH boiler
- Nefit (gas-fired from 2016, in ownership)
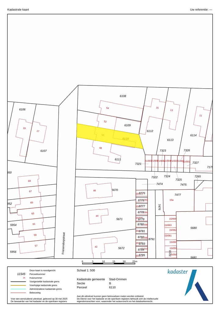
Cadastral data
- OMMEN B 6110
- Cadastral map
- Area
- 198 m²
- Ownership situation
- Full ownership
Exterior space
- Location
- In residential district
- Garden
- Back garden and front garden
Storage space
- Shed / storage
- Attached brick storage
Parking
- Type of parking facilities
- Public parking
Photos 55
© 2001-2025 funda






















































