This house on Funda: https://www.funda.nl/en/detail/koop/aardenburg/huis-binnenweg-4/89140721/

Binnenweg 44527 ED AardenburgVerspreide huizen Aardenburg
€ 3,250,000 k.k.
Description
Welcome to Rodenburgh Estate. Hidden, yet centrally located, we find this rural construction on an exceptional estate of over six hectares. The level of peace and privacy you will find here is truly unique.
The long driveway leads you to a picturesque facade. The stately country house in rural style dates from 2007. You will enjoy spacious living spaces, sublime natural light, and breathtaking views over the surrounding polder landscape.
Once you step into the living room from the entrance hall, the first thing you see is naturally green as far as the eye can see. The windows and Afzelia wooden shutters ensure that your attention is immediately drawn outside. The living room is the central space in the house and provides access to a separate room that can serve as a lounge or office, and a bright dining room that is connected to the kitchen.
On the first floor, you will find two bathrooms and three spacious bedrooms. The master bedroom has its own dressing room.
Adjacent to the private kitchen, there are spaces set up as a Bed & Breakfast. Directly next to the private kitchen is a breakfast room where guests can start their day. Spread over the ground floor and first floor, there are three bedrooms with private bathrooms, each accessible through a central entrance hall on the east side of the house.
In the middle of this plan, there is a carport that can accommodate two cars. On the garden side, there is another section that can be used as a practice space with a bathroom with a bathtub. This space can also be arranged as an extra bedroom. The staircase here also provides access to an additional space that can be arranged as a sauna room.
Above the house and the Bed & Breakfast section, there are spacious attics, where a large part of the installation technology is housed.
The outdoor space has been left largely untouched, in all its beauty. The estate of over six hectares around the house, on the other hand, has been beautifully landscaped and further cultivated. In addition to the gravel driveways, there is a suitable gray natural stone 'platines' around the house. The large terrace at the back of the house, as well as the guest terrace of the Bed & Breakfast, are constructed with this material.
Behind the house, you will find a well-equipped heated swimming pool with a pool house and a warm outdoor shower, located to the south. This has been recently realized and seamlessly blends in with the surroundings.
Special features:
Rodenburgh Estate has a estate status and, due to its NSW status, has several tax benefits. The estate can be purchased without transfer tax, there is no gift or inheritance tax due upon transfer, and the annual costs are also limited. However, the realized nature must be managed for at least 25 years.
Features:
• Fully insulated;
• 37 solar panels;
• Hot water boiler (160 liters);
• Hybrid heat pump (2023);
• Swimming pool with mechanical cover, outdoor shower, and pool house (2022).
This building and its landscaped surroundings are truly unique in our region! We are happy to provide you with more information and arrange a visit with you.
Features
Transfer of ownership
- Listed since
- Acceptance
- Available in consultation
- Asking price
- € 3,250,000 kosten koper
- Asking price per m²
- € 6,109
- Status
- Available
Construction
- Kind of house
- Country estate, detached residential property
- Building type
- Resale property
- Year of construction
- 2007
- Type of roof
- Combination roof
Surface areas and volume
- Areas
- Living area
- 532 m²
- Other space inside the building
- 98 m²
- Exterior space attached to the building
- 10 m²
- External storage space
- 30 m²
- Plot size
- 60,000 m²
- Volume in cubic meters
- 1,307 m³
Layout
- Number of rooms
- 7 rooms (6 bedrooms)
- Number of bath rooms
- 2 separate toilets
- Number of stories
- 3 stories
- Facilities
- Mechanical ventilation, solar panels, and swimming pool
Energy
- Energy label
- Insulation
- Double glazing and completely insulated
- Heating
- CH boiler and heat pump
- Hot water
- CH boiler
- CH boiler
- 2020
Cadastral data
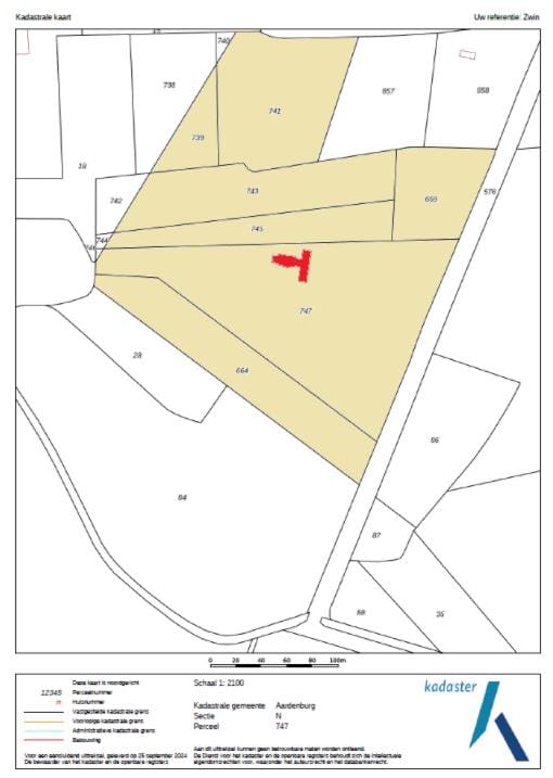
- AARDENBURG N 747
- Cadastral map
- Area
- 21,760 m²
- Ownership situation
- Full ownership
- AARDENBURG N 659
- Cadastral map
- Area
- 4,795 m²
- Ownership situation
- Full ownership
- AARDENBURG N 664
- Cadastral map
- Area
- 8,630 m²
- Ownership situation
- Full ownership
- AARDENBURG N 739
- Cadastral map
- Area
- 2,139 m²
- Ownership situation
- Full ownership
- AARDENBURG N 741
- Cadastral map
- Area
- 9,460 m²
- Ownership situation
- Full ownership
- AARDENBURG N 743
- Cadastral map
- Area
- 8,455 m²
- Ownership situation
- Full ownership
- AARDENBURG N 745
- Cadastral map
- Area
- 4,761 m²
- Ownership situation
- Full ownership
Exterior space
- Location
- Alongside a quiet road, alongside waterfront, sheltered location, outside the built-up area, in wooded surroundings, rural and unobstructed view
- Garden
- Surrounded by garden
Garage
- Type of garage
- Carport and parking place
Parking
- Type of parking facilities
- Parking on private property
Photos 52
Floorplans 2
© 2001-2026 funda





















































