This house on Funda: https://www.funda.nl/en/detail/koop/apeldoorn/huis-kayersdijk-122/43734279/

Kayersdijk 1227332 AS ApeldoornRivierenkwartier
€ 1,300,000 k.k.
Eye-catcherUniek woon-/werkpand op mooie locatie en dichtbij ontsluitingswegen!
Description
Uniek woon-werk pand gelegen op een prachtige locatie aan twee beekjes met waterval en een zonnige rustig gelegen tuin met vijver en eigen stukje bos.
Het pand betreft de voormalige forellenkwekerij en heeft zeer veel woon/werkruimte en is geschikt voor diverse bedrijfsactiviteiten aan huis.
Gebruiksoppervlakte wonen: 358m².
Inpandige bedrijfsruimte: 186m².
Perceeloppervlakte: 910m².
Indeling woning:
Begane grond: entree/hal, twee ruime slaapkamers, moderne badkamer voorzien van douche, toilet en wastafelmeubel, separaat 2e toilet, twee vaste kasten met o.a. opstelling cv-ketel, moderne woonkeuken voorzien van granieten aanrechtblad en diverse inbouwapparatuur, gang met achterentree, ruime tuingerichte woonkamer met sfeervolle haard, veel lichtinval en aangebouwde serre.
De gehele woning is voorzien van vloerverwarming.
Via een tussenhal is de bedrijfsruimte bereikbaar.
Indeling bedrijfsruimte:
Kantoorkamer aan de voorzijde met vlizotrap naar bergzolder, grote werkruimte met schuifdeuren, moderne keuken met inbouwapparatuur. Trapopgang naar de verdieping.
Zeer veel opslagruimte, verdeelt in meerdere ruimtes, met opstelling cv-installatie en boilers. Voorzien van een systeemplafond, rookmelders, blusapparaten, ventilatiesysteem
1e verdieping: overloop, ruime woon-/eetkamer met keukenblokje, ruime slaapkamer met kastenwand, vlizotrap naar een ruime bergzolder en een moderne badkamer voorzien van inloopdouche, toilet en wastafelmeubel.
Het pand is in 2005 gerenoveerd en is in zeer goede staat van onderhoud, o.a. in 2024 geschilderd door een schilderbedrijf. Verwarming middels twee HR cv-ketels, drie airco units (warmen en koelen) en is voorzien van 54 zonnepanelen met 2 accu’s voor energieopslag.
De bestemming is Agrarisch-Viskwekerij, maar andere beroepsuitoefeningen aan huis en niet-publieksgerichte bedrijfsmatige activiteiten aan huis zijn ook toegestaan.
Mooie ligging aan twee beekjes met wandelgebied en goede ontsluiting naar knooppunt Beekbergen, rijksweg A1 en A50.
Features
Transfer of ownership
- Listed since
- Acceptance
- Available in consultation
- Asking price
- € 1,300,000 kosten koper
- Asking price per m²
- € 3,631
- Status
- Available
Construction
- Kind of house
- Bungalow, detached residential property (official/company house or apartment)
- Building type
- Resale property
- Year of construction
- 1896
- Specific
- Monumental building
- Type of roof
- Flat roof covered with asphalt roofing
- Quality marks
- Energie Prestatie Advies
- Accessibility
- Accessible for people with a disability and accessible for the elderly
Surface areas and volume
- Areas
- Living area
- 358 m²
- Other space inside the building
- 186 m²
- Exterior space attached to the building
- 21 m²
- Plot size
- 910 m²
- Volume in cubic meters
- 1,884 m³
Layout
- Number of rooms
- 7 rooms (3 bedrooms)
- Number of bath rooms
- 2 bathrooms and 1 separate toilet
- Bathroom facilities
- 2 showers, 2 walk-in showers, 2 toilets, underfloor heating, 2 washstands, and sink
- Number of stories
- 2 stories and a loft
- Facilities
- Air conditioning, alarm installation, skylight, mechanical ventilation, sliding door, TV via cable, and solar panels
Energy
- Energy label
- C
- Insulation
- Roof insulation, double glazing, mostly double glazed, energy efficient window, insulated walls and floor insulation
- Heating
- CH boiler, gas heater, partial floor heating and heat pump
- Hot water
- CH boiler, electrical boiler and solar boiler
- CH boiler
- Nefit Auris 24C (gas-fired combination boiler from 2005, in ownership)
Cadastral data
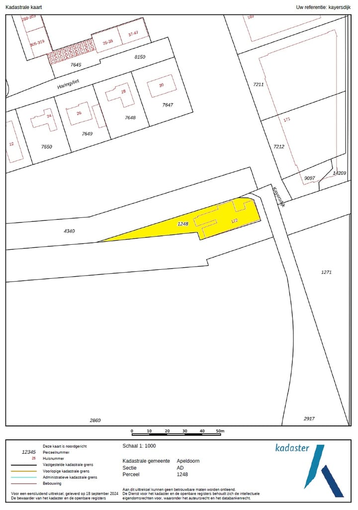
- APELDOORN AD 1248
- Cadastral map
- Area
- 910 m²
- Ownership situation
- Full ownership
Exterior space
- Location
- On the edge of a forest, alongside busy road and sheltered location
- Garden
- Back garden, front garden and side garden
- Back garden
- 550 m² (55.00 metre deep and 10.00 metre wide)
- Garden location
- Located at the southwest with rear access
Storage space
- Shed / storage
- Built-in
- Facilities
- Loft, electricity, heating and running water
Garage
- Type of garage
- Parking place
Parking
- Type of parking facilities
- Parking on private property
Photos 109
Floorplans 4
© 2001-2025 funda
















































































































