This house on Funda: https://www.funda.nl/en/detail/koop/etten-leur/huis-achter-de-molen-60/43148465/

Description
Deze prachtig gelegen 2 onder 1 kapwoning met 4 slaapkamers, riante oprit, grote garage en zonnige achtertuin op het zuiden is vele jaren met veel liefde bewoond geweest. De woning is nu op zoek naar nieuwe eigenaren die de woning naar de huidige tijd renoveren en moderniseren, zodat ook zij vele jaren woonplezier kunnen beleven op deze mooie lommerrijke locatie "achter" de Bisschopsmolen. Het ruim opgezette straatbeeld met vrij uitzicht maakt dit een fantastisch plekje om te wonen. De woning ligt op korte afstand van een brede school, een middelbare school en De Kerkwerve met o.a. supermarkt en drogisterij. Binnen enkele minuten sta je in het gezellige centrum met winkels, terrassen, bioscoop en theater. Ook huisartsenpraktijk De Wiek, praktijk Kluiskenshof met fysiotherapie en osteopathie, en buurtcentrum Banakkers zijn thans binnen handbereik. In 2023 is de woning voorzien van spouwmuurisolatie.
BEGANE GRONDDe hal is voorzien van de meterkast (7 groepen, glasvezel), een trapkast, het deels betegelde toilet met fonteintje en de trapopgang naar de 1e verdieping. De hal biedt toegang tot de L-vormige woonkamer en de keuken. De woonkamer van ca. 35,5m² heeft diverse raampartijen. De haard zorgt voor een knusse sfeer. De dichte keuken is ca. 8m² en heeft een rechte keukenopstelling en is voorzien van een spoelbak, close-in boiler, 4-pits inductiekookplaat, vlakscherm afzuigkap, kleine vaatwasser, koelkast en vriezer. Via de keuken is de achtertuin bereikbaar.
1e VERDIEPINGDe overloop biedt toegang tot 3 slaapkamers en de badkamer en heeft een vaste trap naar de 2e verdieping. De achterslaapkamer van ca. 7m² heeft toegang tot een balkon. De andere achterslaapkamer is ca. 14m². De voorslaapkamer van ca. 11m² heeft een wastafelmeubel en beschikt ook over een balkon. De ruime, volledig betegelde badkamer van ca. 6m² is uitgerust met een royale douchecabine, toilet en wastafelmeubel. Ook de aansluiting voor de wasmachine bevindt zich hier. De badkamer beschikt over elektrische vloerverwarming en een designradiator en het kunststof plafond is voorzien van inbouwspots.
2e VERDIEPING
Via de vaste trap is de voorzolder te bereiken. De voorzolder is voorzien van 2 topgevelramen en de
HR combi cv-ketel. Aansluitend bevindt zich de 4e slaapkamer van ca. 15,5m², voorzien van een dakkapel met kunststof kozijn en een cv-radiator.
OVERIGE
De woning beschikt over een riante oprit met buitenkraantje, geschikt voor het parkeren van meerdere auto’s.
e grote garage van ca. 19m² is uitgerust met een elektrisch bedienbare deur en een loopdeur naar de achtertuin.
De zonnige achtertuin, gelegen op het zuiden, is ingericht met een terras, een gazon en een natuurlijke, deels houten en deels stenen erfafscheiding.
Aan de achterzijde van de woonkamer bevindt zich een elektrisch bedienbaar zonnescherm.
De woning is voorzien van houten kozijnen met grotendeels dubbele beglazing, de dakkapel beschikt over een kunststof kozijn.
De woning is op de begane grond voorzien van een betonvloer, de 1e en 2e verdieping zijn voorzien van een houten verdiepingsvloer.
De woning is in 2023 voorzien van spouwmuurisolatie.
WONEN IN ‘ACHTER DE MOLEN’
Deze kleine woonwijk is gelegen aan de zuidrand van Etten-Leur. Aan het begin van de wijk staat de in 1744 gebouwde Bisschopsmolen. Een groot deel van de wijk is gebouwd in de jaren ’70. Typerend in deze periode zijn de royale huizen, ruim opgezette, rustige straten met veel groen en veel parkeergelegenheid. Halverwege de jaren ’90 is de wijk uitgebreid met een mooie villawijk waarin door zelfbouw veel diversiteit aan woningentypen gerealiseerd is. De winkels van buurtcentrum De Kerkwerve zijn op loopafstand bereikbaar. Hier is ook een basisschool gevestigd. Op korte afstand gelegen zijn er twee scholengemeenschappen. De rustige ligging van de wijk en de nabijheid van het centrum maakt dat deze erg geliefd is.
WAARBORGSOM OF BANKGARANTIE
Omdat Zegers Makelaardij is aangesloten bij de NVM wordt gebruik gemaakt van de modelkoopovereenkomst voor een bestaande eengezinswoning zoals deze is vastgesteld door de NVM, de Consumentenbond en de Vereniging Eigen Huis. In deze koopakte wordt door ons standaard opgenomen een waarborgsom of een bankgarantie ter grootte van 10% van de koopsom.
RECHTSGELDIGE KOOPOVEREENKOMST PAS NA ONDERTEKENING
Een mondelinge overeenstemming tussen de particuliere verkoper en de particuliere koper is niet rechtsgeldig. Met andere woorden: er is geen koop. Er is pas sprake van een rechtsgeldige koop als de particuliere verkoper en de particuliere koper de koopovereenkomst hebben ondertekend. Dit vloeit voort uit artikel 7:2 Burgerlijk Wetboek. Een bevestiging van de mondelinge overeenstemming per e-mail of een toegestuurd concept van de koopovereenkomst wordt overigens niet gezien als een ‘ondertekende overeenkomst’.
ASBESTCLAUSULE
Bij woningen die voor 1 juli 1993 gebouwd zijn, bestaat het risico dat er asbesthoudende materialen verwerkt zijn in o.a. (rook)kanalen, dak(beschot), scheidingswanden, gevelpanelen, nabij verwarmings- en warmwatertoestellen en in de vloerbedekking. Het eventuele risico hiervan gaat na een verkoop over op de kopende partij, hetgeen wordt vastgelegd in de koopakte.
OUDERDOMSCLAUSULE
Bij woningen van meer dan 20 jaar oud zal de ouderdomsclausule in de koopakte worden opgenomen, wat betekent dat de koper verklaart ermee bekend te zijn dat de betreffende woning meer dan 20 jaar oud is en dat de eisen die aan de bouwkwaliteit mogen worden gesteld aanzienlijk lager liggen dan bij nieuwe(re) woningen. Tenzij de verkoper de kwaliteit hiervan gegarandeerd heeft, staat hij niet in voor de funderingen, de daken, goten, de muren/gevels, kozijnen, de vloeren, de isolatie, de schoorstenen, de leidingen voor de elektriciteit, water en gas, de riolering, de afwezigheid van enig ongedierte c.q. schimmels (zoals bijvoorbeeld houtworm, boktor, zwam etc.) en de aanwezigheid van doorslaand of optrekkend vocht. In afwijking van artikel 6.3 van deze koopakte en artikel 7:17 lid 1 en 2 BW komt het geheel of ten dele ontbreken van één of meer eigenschappen van de onroerende zaak voor normaal en bijzonder gebruik en het eventueel anderszins niet-beantwoorden van de zaak aan de overeenkomst voor rekening en risico van koper. Koper vrijwaart verkoper en diens makelaar voor iedere aansprakelijkheid jegens het verkochte. Het is koper bovendien bekend dat de woning geheel gemoderniseerd en gerenoveerd dient te worden.
MEETINSTRUCTIE NEN2580
De Meetinstructie gebruiksoppervlakte woningen is gebaseerd op de NEN2580. De Meetinstructie is bedoeld om een meer eenduidige manier van meten toe te passen voor het geven van een indicatie van de gebruiksoppervlakte en inhoud. De Meetinstructie sluit verschillen in meetuitkomsten niet volledig uit, door bijvoorbeeld interpretatieverschillen, afrondingen of beperkingen bij het uitvoeren van de meting. Uitgangspunt blijft altijd; “wat u ziet is wat u koopt” en de objectinformatie is van lagere prioriteit. Partijen verklaren dat eventuele afwijkingen met de werkelijke situatie nimmer tot aansprakelijkheid van verkoper of diens makelaar kunnen leiden, noch kunnen deze afwijkingen van invloed zijn op de in deze koopovereenkomst genoemde prijs.
AANVULLEND ARTIKEL DAT IN DE KOOPAKTE VAN DEZE WONING ZAL WORDEN OPGENOMEN:
Verkoper/gevolmachtigde heeft het verkochte nooit/of langere tijd niet zelf feitelijk gebruikt en kan koper derhalve niet informeren over eigenschappen respectievelijk gebreken aan het verkochte waarvan verkoper/gevolmachtigde op de hoogte zou kunnen zijn geweest als hij het verkochte wel zelf (recenter) feitelijk had gebruikt. In verband hiermee komen partijen, in afwijking van artikel 6.3. van de koopakte en artikel 7:17 lid 1 en 2 BW, overeen dat dergelijke eigenschappen respectievelijk gebreken voor rekening en risico van koper komen. Koper vrijwaart verkoper/gevolmachtigde voor alle eventuele aanspraken van derden.
VERKOOPDOCUMENTATIE
Deze informatie is door ons met de nodige zorgvuldigheid samengesteld. Onzerzijds wordt echter geen enkele aansprakelijkheid aanvaard voor enige onvolledigheid, onjuistheid of anderszins, dan wel de gevolgen daarvan. Alle opgegeven maten en oppervlakten zijn indicatief.
Features
Transfer of ownership
- Listed since
- Acceptance
- Available in consultation
- Asking price
- € 475,000 kosten koper
- Asking price per m²
- € 3,770
- Status
- Sold under reservation
Construction
- Kind of house
- Single-family home, double house
- Building type
- Resale property
- Year of construction
- 1973
- Type of roof
- Gable roof covered with roof tiles
Surface areas and volume
- Areas
- Living area
- 126 m²
- Exterior space attached to the building
- 10 m²
- External storage space
- 19 m²
- Plot size
- 311 m²
- Volume in cubic meters
- 446 m³
Layout
- Number of rooms
- 5 rooms (4 bedrooms)
- Number of bath rooms
- 1 bathroom and 1 separate toilet
- Bathroom facilities
- Shower, toilet, and washstand
- Number of stories
- 3 stories
- Facilities
- Outdoor awning
Energy
- Energy label
- C
- Insulation
- Partly double glazed and insulated walls
- Heating
- CH boiler
- Hot water
- CH boiler
- CH boiler
- HR (gas-fired combination boiler from 2019, in ownership)
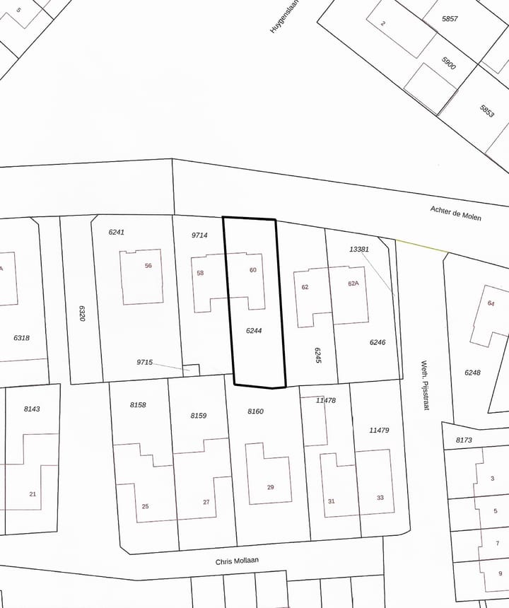
Cadastral data
- ETTEN-LEUR L 6244
- Cadastral map
- Area
- 311 m²
- Ownership situation
- Full ownership
Exterior space
- Location
- In residential district
- Garden
- Back garden and front garden
- Back garden
- 143 m² (15.00 metre deep and 9.50 metre wide)
- Garden location
- Located at the south
- Balcony/roof terrace
- Balcony present
Garage
- Type of garage
- Detached brick garage
- Capacity
- 1 car
- Facilities
- Electrical door
Parking
- Type of parking facilities
- Parking on private property
Photos 42
Floorplans 4
© 2001-2025 funda













































