This house on Funda: https://www.funda.nl/en/detail/koop/etten-leur/huis-koperwiek-28/43829618/

Description
** geschakelde semi-bungalow ** levensloopbestendig ** aanpandige garage ** behoeft modernisatie ** twee slaapkamers ** ruim ** licht ** Hooghuis **
Gelegen in de rustige en kindvriendelijke woonwijk Hooghuis ligt deze levensloopbestendige hoekwoning, type geschakelde semi-bungalow met aangebouwde stenen garage. Een woning met potentie voor wie graag de handen uit de mouwen steekt en er helemaal zijn eigen plek van wil maken! Dankzij de slaap- en badkamer op de begane grond is dit huis levensloopbestendig, terwijl de ruime tuin en lichte leefruimtes zorgen voor prettig woongenot. Zie jij de mogelijkheden? Bel/app dan met ons kantoor, we laten het je graag zien!
Bijzonderheden:
- Levensloopbestendige woning met veel potentie;
- Toegankelijk voor ouderen en minder validen;
- Behoeft modernisatie en verduurzaming;
- Aangebouwde stenen garage voorzien van water en elektra;
- Voorzien van dak-, muur- en vloerisolatie;
- Voorzien van houten kozijnen;
- Deels van dubbele beglazing (m.u.v. eerste verdieping);
- Rustige, groene en autoluwe buurt.
Begane grond
Je komt de woning binnen in de hal met lichtkoepel. Vanuit hier heb je toegang tot de meterkast, het toilet en de woonkamer. De woonkamer is prettig van formaat en staat in open verbinding met de keuken. De zithoek is gelegen aan de achterzijde van de kamer en is voorzien van een sfeervolle openhaard. Dankzij de grote raampartij beschik je hier over veel natuurlijk lichtinval en heb je een fraai uitzicht over de tuin. De schuifpui biedt ontsluiting tot de tuin.
De keuken is gelegen aan de voorzijde van de kamer en is ingericht in een hoekopstelling met diverse boven- en onderkasten. Aan apparatuur is aanwezig een fornuis, afzuigkap, oven en koel-vriescombinatie.
Op de begane grond bevindt zich een slaapkamer met badkamer ensuite. De slaapkamer is respectievelijk ca. 14 m2 groot en voorzien van een praktische inbouwkast. De badkamer is volledig betegeld en ingericht met een ligbad, douche, dubbele wastafel en tweede toilet in huis.
Verdieping
Middels de trapopgang kom je de verdieping boven op de ruime overloop. Vanuit hier heb je toegang tot een royale tweede slaapkamer (ca. 18 m2) welke is voorzien van een wastafel. De C.V.-ketel is gesitueerd op de overloop.
Buiten en garage
De zonnige achtertuin, gelegen op het zuidoosten, biedt volop mogelijkheden om van het buitenleven te genieten. Dankzij de gunstige ligging geniet je hier al vroeg in het seizoen van de eerste zonnestralen. Dankzij de begroeiing in de tuin beschik je hier over veel privacy.
De garage (ca. 17 m2) is bereikbaar vanuit de tuin en is voorzien van water en elektra. Tevens bevinden zich hier de aansluitingen voor de wasapparatuur.
Locatie
De woonwijk Hooghuis, gelegen aan de oost kant van Etten-Leur, wordt gekenmerkt door een grote wijk met verschillende type woningen gebouwd in de jaren ’80, gelegen in hofjes. Het is een wijk met groenzones, diverse speeltuintjes en heeft een park. Daarnaast is er in de wijk een brede school, bushaltes en een klein wijkwinkelcentrum met o.a. een supermarkt. In de buurt is een tuincentrum en bouwmarkt. Verder is het Liesbos binnen 10 minuten bereikbaar en het station is goed bereikbaar zowel per fiets als per auto. Gunstig gelegen nabij snelwegen.
Features
Transfer of ownership
- Last asking price
- € 425,000 kosten koper
- Asking price per m²
- € 3,829
- Status
- Sold
Construction
- Kind of house
- Bungalow, corner house (semi-bungalow)
- Building type
- Resale property
- Year of construction
- 1988
- Type of roof
- Flat roof
- Accessibility
- Accessible for people with a disability and accessible for the elderly
Surface areas and volume
- Areas
- Living area
- 111 m²
- Other space inside the building
- 20 m²
- Plot size
- 240 m²
- Volume in cubic meters
- 480 m³
Layout
- Number of rooms
- 3 rooms (2 bedrooms)
- Number of bath rooms
- 1 bathroom and 1 separate toilet
- Bathroom facilities
- Shower, double sink, bath, and toilet
- Number of stories
- 2 stories
- Facilities
- Outdoor awning, passive ventilation system, flue, sliding door, and TV via cable
Energy
- Energy label
- C
- Insulation
- Roof insulation, mostly double glazed, insulated walls and floor insulation
- Heating
- CH boiler and fireplace
- Hot water
- CH boiler
- CH boiler
- Remeha avanta 28c (gas-fired combination boiler from 2007, in ownership)
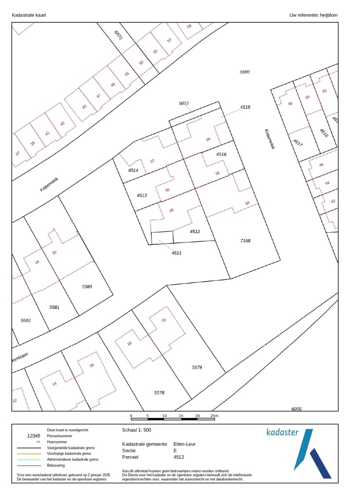
Cadastral data
- ETTEN-LEUR E 4512
- Cadastral map
- Area
- 240 m²
- Ownership situation
- Full ownership
Exterior space
- Location
- Alongside a quiet road and in residential district
- Garden
- Front garden and side garden
- Side garden
- 82 m² (7.45 metre deep and 11.00 metre wide)
- Garden location
- Located at the southeast
Garage
- Type of garage
- Attached brick garage
- Capacity
- 1 car
- Facilities
- Electricity and running water
Parking
- Type of parking facilities
- Public parking
Photos 36
© 2001-2025 funda



































