This house on Funda: https://www.funda.nl/en/detail/koop/hank/bouwgrond-buitendijk/43493802/

Buitendijk4273 GD HankHank
€ 475,000 k.k.
Description
Buitendijk 63 ong. te Hank
BOUWKAVEL gelegen aan de Buitendijk te Hank, op een schitterende locatie aan de rand van de Biesbosch, maar ook op loopafstand van primaire voorzieningen.
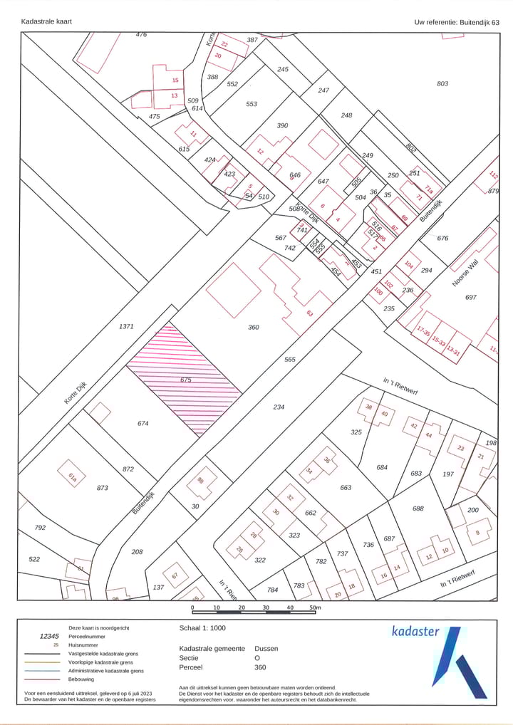
Het perceel meet 1068 m² (ca. 25 x 42 meter).
De bouwkavel is gelegen aan de rand van het dorp Hank en kijkt daarom kilometers ver weg over de weilanden.
Hank is een levendig dorp aan A27 tussen Gorinchem en Breda. Het heeft meerdere sportverenigingen, scholen en winkel.
Vanaf de woning is de supermarkt is te bereiken in 7 minuten fietsen. Dus ondanks dat de woning rustig buiten het dorp is gelegen zijn dagelijkse voorzieningen nog aardig in de buurt. De omgeving bestaat voornamelijk uit veel groen en water en ook nationaal park De Biesbosch is dichtbij.
Features
Transfer of ownership
- Listed since
- Acceptance
- Available in consultation
- Asking price
- € 475,000 kosten koper
- Status
- Available
Construction
- Type of property
- Building plot
- Ready for construction
- No
Layout
- Plot size
- 1,068 m²
Cadastral data
- DUSSEN O 675
- Cadastral map
- Area
- 1,068 m²
- Ownership situation
- Full ownership
Exterior space
- Location
- Rural and unobstructed view
Photos 6
© 2001-2025 funda





