This house on Funda: https://www.funda.nl/en/detail/koop/hapert/huis-ganzestraat-30/43264063/

Ganzestraat 305527 CB HapertHapert Zuid-West
€ 779,000 k.k.
Eye-catcherZeer ruime vrijstaande woning (320 m²) op een perceel van ca. 650 m²
Description
Op een prachtige, brede laan met een veelzijdige mix aan bebouwing staat deze bijzonder royale vrijstaande woning op een schitterend perceel van circa 650 m². Met maar liefst 320 m² gebruiksoppervlakte, een verrassende indeling én een heerlijke tuin is dit een huis dat je echt gezien moet hebben.
Deze degelijk gebouwde woning is in de loop der jaren met zorg uitgebouwd en grotendeels gemoderniseerd. Dankzij het complete isolatiepakket en 24 zonnepanelen beschikt het huis over energielabel B: comfortabel én duurzaam. De vele verschillende ruimtes maken dit een ideale woning voor grote gezinnen, maar ook voor wie droomt van een kantoor of praktijk aan huis, een hobbyruimte of zelfs mantelzorg. En alsof dat nog niet genoeg is, vind je in het souterrain een fantastische mancave en buiten een riante, zonnige achtertuin op het zuidwesten met fraaie terrasoverkapping.
Indeling:
Begane grond:
Bij binnenkomst in de ruime entreehal valt direct het gevoel van ruimte op. De hal is afgewerkt met een tegelvloer en beschikt over een garderobenis, meterkast en toegang tot een manshoge kelder. Vanaf hier leidt een hardhouten trap naar de eerste verdieping.
De royale woonkamer vormt een sfeervolle leefruimte met een tegelvloer, grof gestucte wanden, schoonmetselwerk en een robuust balkenplafond. Door de grote ramen aan de voorzijde geniet je van een vrij uitzicht over de brede straat. Via een brede harmonicadeur is de tuinkamer bereikbaar. Deze lichte en gezellige ruimte, voorzien van een eikenhouten vloer, lichte schoonmetselwerkwanden en een stucwerkplafond met sierlijst, heeft openslaande deuren die toegang geven tot de zonnige achtertuin.
Grenzend aan de woonkamer bevindt zich een fijne kantoor- of speelkamer. Deze ruimte heeft een tegelvloer, grof gestucte wanden en een sfeervol kraaldelen plafond, waardoor hij zich uitstekend leent als werkplek, speelkamer of bibliotheek. Vanuit het portaal, dat eveneens op de begane grond ligt, zijn de carport en het modern uitgevoerde toilet bereikbaar. Het toilet is volledig betegeld en voorzien van een wandcloset en fonteintje.
De riante leefkeuken vormt het hart van het huis. Dankzij twee lichtkoepels en openslaande deuren naar de tuin is het een heerlijk lichte plek waar gezin en vrienden graag samenkomen. De landelijke keukenopstelling beschikt over een terrazzo werkblad, een hardstenen schouw met afzuigkap en diverse inbouwapparatuur, waaronder een koelkast en vaatwasser.
Aansluitend bevindt zich de volledig betegelde bijkeuken, voorzien van een uitstortgootsteen, wasmachineaansluiting en toegang tot het souterrain.
Ook de grote inpandige berging is vanaf deze zijde bereikbaar. Deze praktische ruimte beschikt over een tegelvloer, uitstortgootsteen, een extra toiletruimte en een vaste trap naar de verdieping boven de aanbouw.
Achter in de woning ligt nog een tweede portaal met toegang tot het souterrain en een extra badkamer, volledig betegeld en uitgerust met een douche en wastafel.
Eerste verdieping – hoofdbouw:
De overloop op de eerste verdieping is voorzien van een marmoleumvloer en geeft toegang tot drie slaapkamers, de gemoderniseerde badkamer en een separate toiletruimte.
De badkamer is volledig betegeld en uitgerust met een ruime inloopdouche, een modern wastafelmeubel, een designradiator en een Velux dakvenster dat zorgt voor daglicht en natuurlijke ventilatie.
De zeer royale masterbedroom heeft een sfeervol balkenplafond met kraaldelen, een dakkapel, vloerbedekking en een vaste kastenwand. Vanuit deze kamer leidt een vaste trap naar de tweede verdieping, waarbij de trapopgang desgewenst kan worden afgescheiden om de doorgang via de slaapkamer te voorkomen.
De tweede en derde slaapkamer zijn beide ruim van formaat en hebben een marmoleumvloer, stucwerkwanden en een balkenplafond met kraaldelen.
Eerste verdieping – aanbouw:
Via een vaste trap vanuit het portaal op de begane grond bereik je de verdieping boven de aanbouw. Hier bevindt zich een royale hobbyruimte met vloerbedekking en een dakkapel, waardoor de ruimte zeer geschikt is als atelier, muziekkamer of fitnessruimte. Vanuit deze ruimte is bovendien een toegangsluik naar het platte dak aanwezig.
Op deze verdieping liggen ook een bergruimte met de cv-installatie voor de aanbouw en het souterrain, evenals een vierde slaapkamer met een sfeervolle houten vloer en een deur naar het balkon aan de achterzijde van de woning.
Tweede verdieping:
Via de vaste trap in de masterbedroom kom je op de ruime zolderverdieping met stahoogte. Deze verdieping huisvest de cv-installatie voor de hoofdbouw en biedt daarnaast volop mogelijkheden voor opslag, hobby of het creëren van een extra slaapkamer.
Souterrain:
Het indrukwekkende souterrain onder de aanbouw is een van de grootste verrassingen van de woning. Met een afmeting van bijna 10 bij 4,5 meter is het momenteel ingericht als gezellige mancave met een bar, biljart en twee voormalige bedstedes als trapkasten. Dankzij de ruime opzet en goede toegankelijkheid leent deze verdieping zich ook uitstekend voor hobby’s, een thuisbioscoop, fitnessruimte of praktijk aan huis.
Exterieur:
De woning beschikt over een smaakvol aangelegde voortuin met diverse beplanting en een brede oprit die, samen met de carport, plaats biedt aan meerdere auto’s.
De royale achtertuin, gelegen op het zonnige zuidwesten, is fraai aangelegd met een gazon, volwassen beplanting en nette bestrating. De grote terrasoverkapping maakt het mogelijk om het hele jaar door van het buitenleven te genieten. Een achterom met poort zorgt voor extra gemak en bereikbaarheid.
Algemeen:
- bouwjaar 1984.
- perceeloppervlakte 650 m².
- inhoud 1.134 m³.
- gebruiksoppervlakte wonen 320 m².
- overige inpandige ruimte 19 m².
- overige inpandige ruimte 67 m².
- de woning is voorzien van dak-, spouwmuur- en vloerisolatie.
- de woning is voorzien van hardhouten kozijnen met isolerende en HR++ beglazing.
- verwarming en warmwatervoorziening door middel van 2 Rehema c.v. combi-ketels (bouwjaar 2010).
- woonkamer, kantoor, keuken alsmede badkamer op de 1e verdieping zijn voorzien van vloerverwarming.
- de woning is voorzien van 24 zonnepanelen (400 Wp per stuk).
- het buitenschilderwerk wordt doorlopend onderhouden, voor het laatst in 2023.
- natuurlijk lees je vaker bij woningpresentaties: "deze woning dien je beslist van binnen te zien om een juiste indruk te krijgen". Als deze tekst nou ergens van toepassing is dan is dat wel bij deze woning aan de Ganzestraat 30 in Hapert!
- prettige ligging aan een mooie brede straat aan de rand van het dorp waarbij je direct het buitengebied in wandelt, maar aan de andere kant ook op fietsafstand van centrumvoorzieningen.
Features
Transfer of ownership
- Listed since
- Acceptance
- Available in consultation
- Asking price
- € 779,000 kosten koper
- Asking price per m²
- € 2,434
- Status
- Available
Construction
- Kind of house
- Single-family home, detached residential property
- Building type
- Resale property
- Year of construction
- 1984
- Type of roof
- Gable roof covered with roof tiles
Surface areas and volume
- Areas
- Living area
- 320 m²
- Other space inside the building
- 19 m²
- Exterior space attached to the building
- 67 m²
- Plot size
- 666 m²
- Volume in cubic meters
- 1,134 m³
Layout
- Number of rooms
- 10 rooms (4 bedrooms)
- Number of bath rooms
- 2 bathrooms and 2 separate toilets
- Bathroom facilities
- Shower, sink, walk-in shower, underfloor heating, and washstand
- Number of stories
- 2 stories, an attic, and a basement
Energy
- Energy label
- B
- Insulation
- Roof insulation, double glazing, energy efficient window, insulated walls and floor insulation
- Heating
- CH boiler and partial floor heating
- Hot water
- CH boiler
- CH boiler
- Remeha (gas-fired combination boiler from 2010, in ownership)
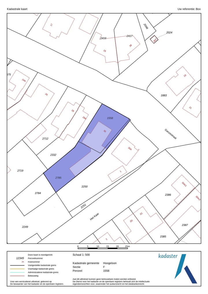
Cadastral data
- HOOGELOON F 1558
- Cadastral map
- Area
- 315 m²
- Ownership situation
- Full ownership
- HOOGELOON F 2785
- Cadastral map
- Area
- 351 m²
- Ownership situation
- Full ownership
Exterior space
- Location
- In residential district and unobstructed view
- Garden
- Back garden, front garden and side garden
- Back garden
- 311 m² (27.00 metre deep and 11.50 metre wide)
- Garden location
- Located at the southwest with rear access
- Balcony/roof terrace
- Balcony present
Storage space
- Shed / storage
- Built-in
Garage
- Type of garage
- Carport
Parking
- Type of parking facilities
- Parking on private property
Photos 80
Floorplans 7
© 2001-2025 funda






















































































