This house on Funda: https://www.funda.nl/en/detail/koop/hilversum/huis-floris-vosstraat-8/43715073/

Floris Vosstraat 81222 HD HilversumErfgooiersbuurt
€ 2,000,000 k.k.
Description
Ondernemers en ontwikkelaars opgelet!
Dit project ligt op een goed bereikbare locatie in Hilversum Noord. Het is daarom een ideaal project voor:
- het combineren van wonen en bedrijvigheid
- het ontwikkelen van woningen (let op: u dient zelf een omgevingsvergunning aan te vragen)
- het realiseren van uw eigen visie... de mogelijkheden zijn legio!
De gecombineerde perceelgrootte is:
Wonen: 215 m2
Bedrijven: 1.134 m2
Totaal: 1.349 m2
In één koop wordt aangeboden:
Perceel Hilversum R 5969
Kadastrale grootte: 115 m2
Floris Vosstraat 10, hoekwoning;
Bestemming: Wonen
Woonoppervlak: 166 m2
Overige inpandige ruimte: 0 m2
Gebouw gebonden buitenruimte: 16 m2
Externe bergruimte: 231 m2
Perceel Hilversum R 5970
Kadastrale grootte: 100 m2
Adres: Floris Vosstraat 8, tussenwoning;
Woonoppervlak: 107 m2
Overige inpandige ruimte: 0 m2
Gebouw gebonden buitenruimte: 14 m2
Externe bergruimte: 0 m2
Perceel Hilversum R 5813
Kadastrale grootte: 673 m2
Adres: Floris Vosstraat 10A, achterterrein met opstal
Bestemming: Bedrijf (bedrijfsactiviteiten tot en met categorie 2)
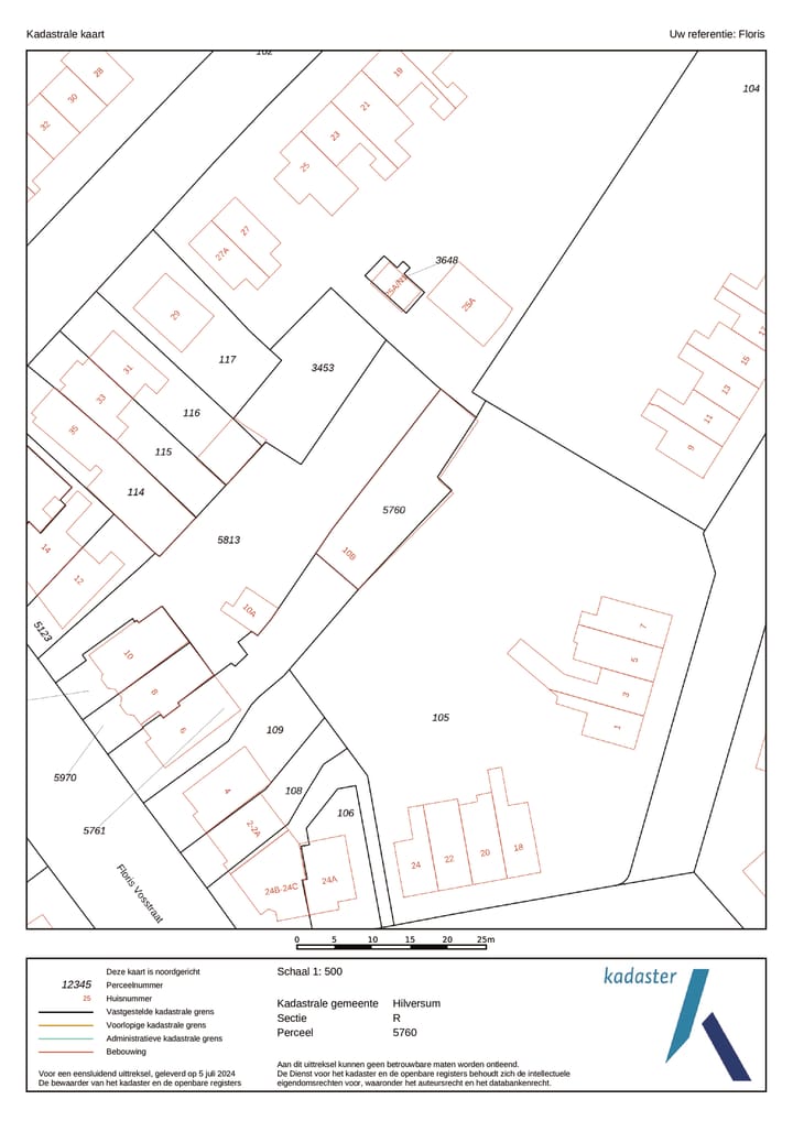
Perceel Hilversum R 5760
Kadastrale grootte: 228 m2
Bestemming: Bedrijf (bedrijfsactiviteiten tot en met categorie 2)
Betreft: achterterrein met opstal, adres Floris Vosstraat 10B
Perceel Hilversum R 3453
Kadastrale grootte: 233 m2
Bestemming: Bedrijf (bedrijfsactiviteiten tot en met categorie 2)
Betreft: achterterrein
Bedrijfsactiviteiten tot en met categorie 2 zijn onder andere:
- Groothandel
- Hoveniersbedrijf
- Drukkerij
- Media (divers)
... en vele andere. Op de website van het Omgevingsloket vindt u een uitgebreid overzicht.
De woningen (huisnummer 8 en 10) zijn met elkaar verbonden. De tweede verdieping van nummer 10 is momenteel onderdeel van nummer 8.
Op het achterterrein was voorheen een groothandel in metalen gevestigd en een aannemersbedrijf.
In 2020 is een verkennend bodemonderzoek uitgevoerd om in kaart te brengen of er verontreiniging in de bodem aanwezig is. Het rapport hiervan is inzichtelijk ten kantore van de makelaar.
De woningen bevinden zich in een redelijk tot goede conditie.
De overige opstallen bevinden zich in een matig tot redelijke conditie.
Dit project wordt verkocht met de conditie 'as is, where is'.
Features
Transfer of ownership
- Listed since
- Acceptance
- Available in consultation
- Asking price
- € 2,000,000 kosten koper
- Asking price per m²
- € 7,326
- Status
- Available
Construction
- Kind of house
- Single-family home, corner house
- Building type
- Resale property
- Year of construction
- 1927
- Specific
- Double occupancy possible
- Type of roof
- Gable roof covered with roof tiles
Surface areas and volume
- Areas
- Living area
- 273 m²
- Exterior space attached to the building
- 30 m²
- External storage space
- 231 m²
- Plot size
- 1,349 m²
- Volume in cubic meters
- 973 m³
Layout
- Number of rooms
- 3 rooms (2 bedrooms)
- Number of bath rooms
- 1 bathroom and 1 separate toilet
- Bathroom facilities
- Shower, bath, toilet, sink, and washstand
- Number of stories
- 2 stories
- Facilities
- Optical fibre and flue
Energy
- Energy label
- D
- Insulation
- Double glazing and energy efficient window
- Heating
- CH boiler
- Hot water
- CH boiler
- CH boiler
- Nefit Topline (gas-fired combination boiler, in ownership)
Cadastral data
- HILVERSUM R 5969
- Cadastral map
- Area
- 115 m²
- Ownership situation
- Full ownership
- HILVERSUM R 5970
- Cadastral map
- Area
- 100 m²
- Ownership situation
- Full ownership
- HILVERSUM R 5760
- Cadastral map
- Area
- 228 m²
- Ownership situation
- Full ownership
- HILVERSUM R 5813
- Cadastral map
- Area
- 673 m²
- Ownership situation
- Full ownership
- HILVERSUM R 3453
- Cadastral map
- Area
- 233 m²
- Ownership situation
- Full ownership
Exterior space
- Location
- Alongside a quiet road and in residential district
- Garden
- Front garden and sun terrace
Garage
- Type of garage
- Not yet present but possible
Parking
- Type of parking facilities
- Parking on private property and public parking
Photos 30
Floorplans 7
© 2001-2025 funda




































